Your email has been sent.
Mirada Outparcels State Road 52 1,500 - 139,392 SF of Office/Retail Space Available in San Antonio, FL 33576



Highlights
- Greenlane, Mavis, and Fifth Third coming soon in outparcel 5!
- A new signal light is being installed, providing high visibility and easy access. We are the last available signaled hard corner in the area.
- The 15-acre Mirada Metro Lagoon is part of a community with over 6,700 Mirada homes, along with 400+ new homes by Dr. Horton coming soon!
- Pasco County is one of the largest retail areas in the Tampa region, fueled by a rapidly growing consumer spending rate and retail demand.
- Ideal for businesses, the site is 400 feet from Publix-anchored Market at Mirada, with AdventHealth, BayCare, and the Mirada Metro Lagoon nearby.
- Nearby Mirada Metro Lagoon enhances the investment potential in the area, drawing unmatched exposure from local residents and visitors.
Space Availability (1)
Display Rental Rate as
- Space
- Size
- Term
- Rental Rate
- Rent Type
| Space | Size | Term | Rental Rate | Rent Type | ||
| 1st Floor, Ste OP-3 | 1,500-139,392 SF | Negotiable | Upon Request Upon Request Upon Request Upon Request | Negotiable |
1st Floor, Ste OP-3
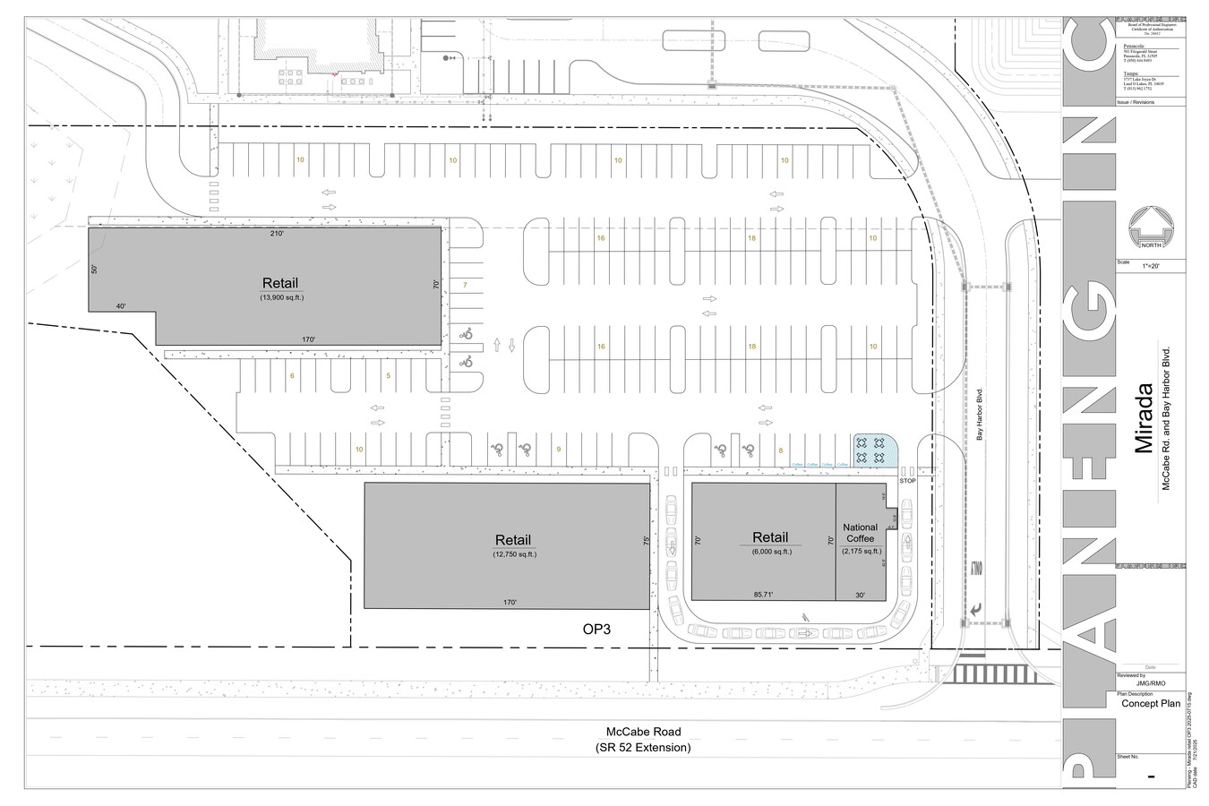
3.2 acres of prime commercial development along the new State Road 52.
Rent Types
The rent amount and type that the tenant (lessee) will be responsible to pay to the landlord (lessor) throughout the lease term is negotiated prior to both parties signing a lease agreement. The rent type will vary depending upon the services provided. For example, triple net rents are typically lower than full service rents due to additional expenses the tenant is required to pay in addition to the base rent. Contact the listing broker for a full understanding of any associated costs or additional expenses for each rent type.
1. Full Service: A rental rate that includes normal building standard services as provided by the landlord within a base year rental.
2. Double Net (NN): Tenant pays for only two of the building expenses; the landlord and tenant determine the specific expenses prior to signing the lease agreement.
3. Triple Net (NNN): A lease in which the tenant is responsible for all expenses associated with their proportional share of occupancy of the building.
4. Modified Gross: Modified Gross is a general type of lease rate where typically the tenant will be responsible for their proportional share of one or more of the expenses. The landlord will pay the remaining expenses. See the below list of common Modified Gross rental rate structures: 4. Plus All Utilities: A type of Modified Gross Lease where the tenant is responsible for their proportional share of utilities in addition to the rent. 4. Plus Cleaning: A type of Modified Gross Lease where the tenant is responsible for their proportional share of cleaning in addition to the rent. 4. Plus Electric: A type of Modified Gross Lease where the tenant is responsible for their proportional share of the electrical cost in addition to the rent. 4. Plus Electric & Cleaning: A type of Modified Gross Lease where the tenant is responsible for their proportional share of the electrical and cleaning cost in addition to the rent. 4. Plus Utilities and Char: A type of Modified Gross Lease where the tenant is responsible for their proportional share of the utilities and cleaning cost in addition to the rent. 4. Industrial Gross: A type of Modified Gross lease where the tenant pays one or more of the expenses in addition to the rent. The landlord and tenant determine these prior to signing the lease agreement.
5. Tenant Electric: The landlord pays for all services and the tenant is responsible for their usage of lights and electrical outlets in the space they occupy.
6. Negotiable or Upon Request: Used when the leasing contact does not provide the rent or service type.
7. TBD: To be determined; used for buildings for which no rent or service type is known, commonly utilized when the buildings are not yet built.
Site Plan
Property Facts
| Total Space Available | 139,392 SF | Gross Leasable Area | 471,754 SF |
| Min. Divisible | 1,500 SF | Year Built | 2027 |
| Property Type | Retail | Construction Status | Proposed |
| Total Space Available | 139,392 SF |
| Min. Divisible | 1,500 SF |
| Property Type | Retail |
| Gross Leasable Area | 471,754 SF |
| Year Built | 2027 |
| Construction Status | Proposed |
About the Property
Explore a rare investment opportunity with five distinct outparcels, ranging from 1.3 to 3.2 acres, situated prominently along the newly developed State Road 52 in bustling San Antonio, Florida. Ideal for build-to-suit development or ground-lease ventures, these parcels cater to businesses seeking expansion or new establishments in a rapidly growing locale. We are welcoming tenants from retail, office, and medical businesses. The site suits restaurants, shops, automotive services, and medical offices. Just 400 feet away, The Market at Mirada, anchored by Publix, attracts high foot traffic. Nearby are Advent Health Medical Group, BayCare hospital and the Mirada Metro Lagoon. Located 2 miles east of I-75, near major distribution hubs like Target and Amazon, this site offers strategic accessibility. Close to Saint Leo University and just 30 minutes north of Tampa, it provides easy access to Florida's attractions. This area is experiencing rapid economic growth, making it an ideal spot for business development.
- Air Conditioning
Presented by
Mirada Outparcels | State Road 52
Hmm, there seems to have been an error sending your message. Please try again.
Thanks! Your message was sent.

