Your email has been sent.
Investment Highlights
- Sale Includes Three Parcels. Total of +/- 16.49 Acres
- Parcel ID# 24-35-12-00-782: 649’ +/- Grissom. Depth 272’ to 355’ +/- (est. 4.81 Acres)
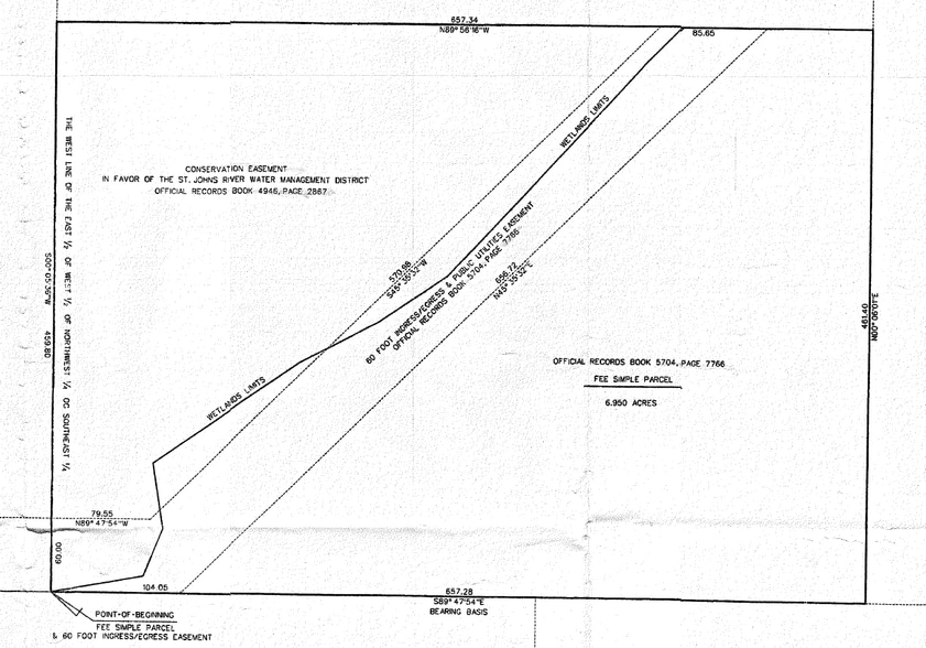
- Parcel ID# 24-35-12-00-755: est. 670’ x 460’ (est. 6.95 Acres). 3.50 Acre +/- Conservation Easement
- 1,234' +/- Total Frontage on Grissom Parkway. Maximum Depth 816' +/-
- Parcel ID# 24-35-12-00-758: 592’ +/- Grissom. Depth 338’ to 355’ +/- (est. 4.73 Acres)
- Utilities: City of Cocoa Water/Sewer, Natural Gas, FPL Electric
Executive Summary
• 3.50 Acre +/- Conservation Easement.
• 1,234' +/- Total Frontage on Grissom Parkway. Maximum Depth 816' +/-.
• Traffic Count Approximately 10,700 VPD on Grissom Parkway.
• Utilities: City of Cocoa Water/Sewer, Natural Gas, FPL Electric.
• 2025 Property Taxes: $21,678.00.
Property Facts
| Price | $5,350,000 | Property Subtype | Industrial |
| Sale Type | Investment or Owner User | Proposed Use | Industrial |
| No. Lots | 1 | Total Lot Size | 16.49 AC |
| Property Type | Land | ||
| Zoning | M2 - City of Cocoa Manufacturing and Industrial (M-2). Future Land Use: Industrial. | ||
| Price | $5,350,000 |
| Sale Type | Investment or Owner User |
| No. Lots | 1 |
| Property Type | Land |
| Property Subtype | Industrial |
| Proposed Use | Industrial |
| Total Lot Size | 16.49 AC |
| Zoning | M2 - City of Cocoa Manufacturing and Industrial (M-2). Future Land Use: Industrial. |
1 Lot Available
Lot
| Price | $5,350,000 | Lot Size | 16.49 AC |
| Price Per AC | $324,439.05 |
| Price | $5,350,000 |
| Price Per AC | $324,439.05 |
| Lot Size | 16.49 AC |
Parcel ID 24-35-12-00-782: 649’ +/- Grissom. Depth 272’ to 355’ +/- (est 4.81 Acres) Parcel ID 24-35-12-00-758: 592’ +/- Grissom. Depth 338’ to 355’ +/- (est 4.73 Acres) Parcel ID 24-35-12-00-755: est 670’ x 460’ (est 6.95 Acres).
Description
Strategically positioned just off of State Road 528 (Beachline Expressway), an immediate connector between Port Canaveral, US1, Interstate 95 and Orlando. Surrounding employers include Amazon, FedEx, SpaceX, Blue Origin and Cape Canaveral Space Force Station. Approximately 12-min drive to Port Canaveral. 20-min drive to Kennedy Space Center. 35-min drive to Orlando International Airport.
Property Taxes
| Parcel Number | 24-35-12-00-00782.0-0000.00 | Improvements Assessment | $0 |
| Land Assessment | $0 | Total Assessment | $839,840 |
Property Taxes
Presented by
TBA Grissom Pky
Hmm, there seems to have been an error sending your message. Please try again.
Thanks! Your message was sent.



