Your email has been sent.
Tara Blvd - 10.7 Acres - Tara Boulevard & Batiste Park Rd 10.7 Acres of Commercial Land Offered at $1,650,000 in Jonesboro, GA 30237



Investment Highlights
- Two points of egress
- Ample frontage on Tara Boulevard
- Ideal for Live-Work-Play
Executive Summary
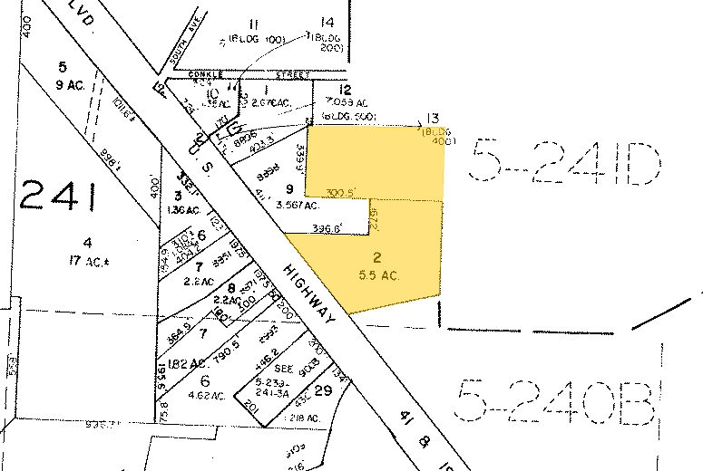
Located in the City of Jonesboro, this 10-acre assemblage of two parcels offers a rare opportunity for transformative development along one of South Metro Atlanta’s busiest corridors. With ample frontage on Tara Boulevard and two additional points of egress, the site ensures high visibility and seamless access for future commercial or residential use.
Currently zoned C-2 (General Commercial) and R-2 (Residential), the property presents a compelling case for rezoning to a mixed-use standard, allowing developers to capitalize on the area's growth and evolving land use trends. All utilities are available, streamlining the path to construction.
Surrounded by retail, residential, and institutional anchors, this site is ideally positioned for a live-work-play concept, medical office development, or multifamily with commercial frontage.
Priced to sell at $1,650,000, it offers exceptional value at the intersection of access, flexibility, and future upside.
Property Facts
1 Lot Available
Lot
| Price | $1,650,000 | Lot Size | 10.70 AC |
| Price Per AC | $154,205.61 |
| Price | $1,650,000 |
| Price Per AC | $154,205.61 |
| Lot Size | 10.70 AC |
10-acre assemblage with Mixed-Use Potential – Tara Boulevard Frontage, Jonesboro, GA 2 Additional points of Egress Zoned C-2 and R-2 All utilities are available
Description
Located in the City of Jonesboro, this 10-acre assemblage of two parcels offers a rare opportunity for transformative development along one of South Metro Atlanta’s busiest corridors. With ample frontage on Tara Boulevard and two additional points of egress, the site ensures high visibility and seamless access for future commercial or residential use. Currently zoned C-2 (General Commercial) and R-2 (Residential), the property presents a compelling case for rezoning to a mixed-use standard, allowing developers to capitalize on the area's growth and evolving land use trends. All utilities are available, streamlining the path to construction. Surrounded by retail, residential, and institutional anchors, this site is ideally positioned for a live-work-play concept, medical office development, or multifamily with commercial frontage. Priced to sell at $1,650,000, it offers exceptional value at the intersection of access, flexibility, and future upside.
Presented by
Tara Blvd - 10.7 Acres - Tara Boulevard & Batiste Park Rd
Hmm, there seems to have been an error sending your message. Please try again.
Thanks! Your message was sent.

