Log In/Sign Up
Your email has been sent.
Investment Highlights
- U.S. Hwy 31 and AL Hwy 251 Road Frontage
- Located in Opportunity Zone
- High Growth Area Right Past New Publix
Property Facts
| Sale Type | Investment or Owner User | Property Subtype | Commercial |
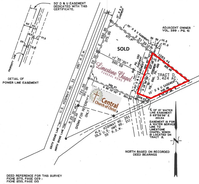
| No. Lots | 1 | Total Lot Size | 3.42 AC |
| Property Type | Land | Opportunity Zone |
Yes
|
| Sale Type | Investment or Owner User |
| No. Lots | 1 |
| Property Type | Land |
| Property Subtype | Commercial |
| Total Lot Size | 3.42 AC |
| Opportunity Zone |
Yes |
1 Lot Available
Lot
| Lot Size | 3.42 AC |
| Lot Size | 3.42 AC |
TRACT 2 AVAILABLE. Tract 2 consists of 3.42 acres with 550 feet of frontage along AL Hwy 251.
Description
-7.5 Acres Available in Athens, AL -Available as One or Two Tracts -Frontage along U.S. Hwy 31 and AL Hwy 251 -In High Growth Area Right Past New Publix -Located in Opportunity Zone -All Utilities Available -Less Than 2 Miles from Exit 354 on I-65
1 1
1 of 4
Videos
Matterport 3D Exterior
Matterport 3D Tour
Photos
Street View
Street
Map
1 of 1
Presented by
U.S. 31 N - 3.42 Acre Commercial Tract on AL-251
Already a member? Log In
Hmm, there seems to have been an error sending your message. Please try again.
Thanks! Your message was sent.
Your message has been sent!
Activate your LoopNet account now to track properties, get real-time alerts, save time on future inquiries, and more.



