Log In/Sign Up
Your email has been sent.
Wellness Way
Findlay, OH 45840
Lot A · Land For Sale
·
2.81 AC


Investment Highlights
- Development Opportunity
Executive Summary
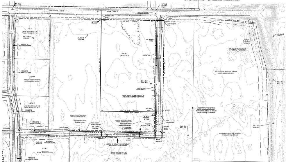
20-acre commercial development opportunity at the southwest corner of the I-75 and County Rd 99 interchange in Findlay (Hancock County), OH. The Interstate 75 and County Road 99 interchange will be reconfigured to a Diverging Diamond Interchange by fall of 2025. Traffic will be maintained during construction. 1,650 feet of frontage on County Road 99. The available land is adjacent to the planned Blanchard Valley Health System medical campus.
Property Facts
1 Lot Available
Lot
| Price | $491,750 | Lot Size | 2.81 AC |
| Price Per AC | $175,000.00 |
| Price | $491,750 |
| Price Per AC | $175,000.00 |
| Lot Size | 2.81 AC |
Property Taxes
| Parcel Number | 69-0001019424 | Improvements Assessment | $0 |
| Land Assessment | $29,590 | Total Assessment | $29,590 |
Property Taxes
Parcel Number
69-0001019424
Land Assessment
$29,590
Improvements Assessment
$0
Total Assessment
$29,590
1 of 3
Videos
Matterport 3D Exterior
Matterport 3D Tour
Photos
Street View
Street
Map
