Log In/Sign Up
Your email has been sent.
Executive Summary
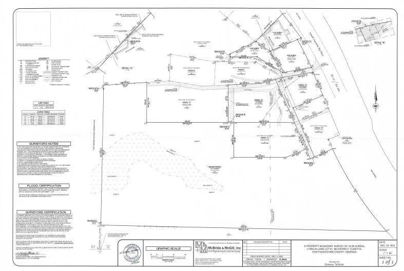
This rural 19.36 acre property is located in Cusseta, Georgia. The property consists of 4 separate parcels: A, B, C, and D. Parcel A is 1.35 acres, Parcel B is 0.86 acres, Parcel C is 1.44 acres, and parcel D is 15.71 acres. These parcels may be purchased individually or as a whole. To the East of this property is the South Cusseta By-Pass, US 27/US 280. The Fort Moore Military Reservation (Fort Benning) is located to the West of this property. Single story warehouse buildings are located on Parcels A and B. Parcel D is a heavily wooded lot. A Family Dollar, Dollar Tree, and a Dollar General are all located roughly a block away. This property is also located across the street from Gas and Go, a new truck stop/general store.
This rural 19.36+/- acre property is located in Cusseta, Georgia. The property consists of 4 separate parcels: A, B, C, and D. Parcel A is 1.35 acres, Parcel B is 0.86 acres, Parcel C is 1.44 acres, and parcel D is 15.71 acres. These parcels may be purchased individually or as a whole. The property may be purchased in total for $1,000,000.00. The listing price for Parcel A is $380,000.00. The listing price for Parcel B is $350,000.00. The listing price for Parcel C is $30,000.00. The listing price for Parcel D is $240,000.00.
- Parcel A: 1.35 acres; listing price of $475,000.00.
- Tax #: C01 0030: 0.48 acres.
- Tax #: C01 0031IN: 0.53 acres.
- Tax #: C01 0031OUT: 0.34 acres; includes a single story 8,827 SF warehouse building, billboard not included.
- Parcel B: 0.86 acres; listing price of $350,000.00.
- Tax #: C01 0057: includes a single story 6,912 SF warehouse building, billboard not included.
- Parcel C: 1.44 acres; listing price of $40,000.00.
- Tax #: C01 0029OUT (PARTIAL)
- Parcel D: 15.71 acres; listing price of $320,000.00.
- Tax #: C01 0029IN
- Tax #: C01 0029OUT (PARTIAL)
This rural 19.36+/- acre property is located in Cusseta, Georgia. The property consists of 4 separate parcels: A, B, C, and D. Parcel A is 1.35 acres, Parcel B is 0.86 acres, Parcel C is 1.44 acres, and parcel D is 15.71 acres. These parcels may be purchased individually or as a whole. The property may be purchased in total for $1,000,000.00. The listing price for Parcel A is $380,000.00. The listing price for Parcel B is $350,000.00. The listing price for Parcel C is $30,000.00. The listing price for Parcel D is $240,000.00.
- Parcel A: 1.35 acres; listing price of $475,000.00.
- Tax #: C01 0030: 0.48 acres.
- Tax #: C01 0031IN: 0.53 acres.
- Tax #: C01 0031OUT: 0.34 acres; includes a single story 8,827 SF warehouse building, billboard not included.
- Parcel B: 0.86 acres; listing price of $350,000.00.
- Tax #: C01 0057: includes a single story 6,912 SF warehouse building, billboard not included.
- Parcel C: 1.44 acres; listing price of $40,000.00.
- Tax #: C01 0029OUT (PARTIAL)
- Parcel D: 15.71 acres; listing price of $320,000.00.
- Tax #: C01 0029IN
- Tax #: C01 0029OUT (PARTIAL)
Property Facts
| Price | $1,000,000 | Number of Properties | 4 |
| Sale Type | Investment or Owner User | Individually For Sale | 0 |
| Status | Active | Total Land Area | 19.36 AC |
| Price | $1,000,000 |
| Sale Type | Investment or Owner User |
| Status | Active |
| Number of Properties | 4 |
| Individually For Sale | 0 |
| Total Land Area | 19.36 AC |
Properties
| Property Name / Address | Property Type | Size | Individual Price |
|---|---|---|---|
|
Parcel D
402 Old Louvale Road, Cusseta, GA 31805 |
Land | 15.71 AC | - |
|
Parcel C
109 Oakdale st, Cusseta, GA 31805 |
Land | 1.44 AC | - |
|
Parcel A
102 Thompson Street, Cusseta, GA 31805 |
Land | 1.35 AC | - |
|
Parcel B
128 GA 520 hwy, Cusseta, GA 31805 |
Land | 0.86 AC | - |
1 1
1 of 14
Videos
Matterport 3D Exterior
Matterport 3D Tour
Photos
Street View
Street
Map
1 of 1
Presented by
Wilson Cusseta Properties
Already a member? Log In
Hmm, there seems to have been an error sending your message. Please try again.
Thanks! Your message was sent.



