Log In/Sign Up
Your email has been sent.
60440 Land Building Offered For Sale



Some information has been automatically translated.
Sale Notes
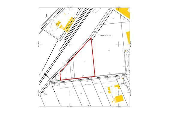
A municipal plot of land measuring 14,247 m² located in Nanteuil-le-Haudouin, near Crépy-en-Valois, is for sale. It is situated in the heart of the Ferrier business area and is available immediately.
Area: Land area: 14,247 m².
Price: Purchase/rental price: contact us
Vacant land
Area: Land area: 14,247 m².
Price: Purchase/rental price: contact us
Vacant land
Property Facts
| Sale Type | Owner User | Property Type | Land |
| Sale Type | Owner User |
| Property Type | Land |
About 60440
A municipal plot of 14,247 m² located in Nanteuil-le-Haudouin, near Crépy-en-Valois, is up for sale. It is situated in the heart of the Ferrier business park and is available immediately. Details: Land area: 14,247 m² Price: Purchase/rental price: Contact us for details
1 1
1 of 4
Videos
Matterport 3D Exterior
Matterport 3D Tour
Photos
Street View
Street
Map
1 of 1
Presented by
Pôle Implantation Entreprises
"60440 "
Already a member? Log In
Hmm, there seems to have been an error sending your message. Please try again.
Thanks! Your message was sent.
Your message has been sent!
Activate your LoopNet account now to track properties, get real-time alerts, save time on future inquiries, and more.
