Foundry Commercial is a commercial real estate company driven by relationships and the passion to build something different. Their mission is to build a generational real estate company centered on people, purpose, and performance.
View More
Foundry Commercial Contacts
Foundry Commercial Listings
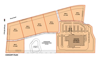
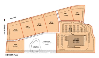
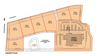
Map Layers
Loading...




















