Specter Properties, Inc. - Chesterfield, VA
9401 Courthouse Rd Suite C Chesterfield, VA 23832 (804) 777-7070
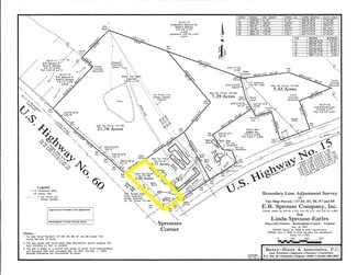
Specter Properties, Inc.’s office is located in the Centre Court building in Chesterfield County, VA. They specialize in the sale and leasing of commercial and industrial real estate in Chesterfield County, city of Colonial Heights, city of Petersburg, city of Hopewell, Dinwiddle County, Sussex County, Prince George County, city of Richmond, and Midlothian. Their Brokers are responsible for assisting clients and customers with acquisitions, dispositions and leasing a variety of commercial real estate ranging from office buildings, restaurants, warehouses, retail, and more. The Brokers strive to provide a high quality of service, put client’s interest first, and have gained trust from developing long-term relationships.
View More
Specter Properties, Inc. Contacts
Specter Properties, Inc. Listings
Map Layers
Listings with unknown addresses are not visible on the map
Loading...
The following listings have unknown addresses
- 1
- 2













