Log In/Sign Up
Your email has been sent.
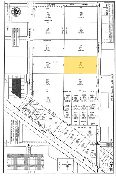
Sherman Rd 4.8 Acres of Industrial Land


About SHERMAN RD , ROMOLAND , CA 92585
| Price | Not Individually For Sale | Property Subtype | Industrial |
| Property Type | Land | Total Lot Size | 4.80 AC |
| Price | Not Individually For Sale |
| Property Type | Land |
| Property Subtype | Industrial |
| Total Lot Size | 4.80 AC |
1 of 3
Videos
Matterport 3D Exterior
Matterport 3D Tour
Photos
Street View
Street
Map
