Property Record
0 Bauer Rd, Cypress, TX 77433
Property Detail
0 Bauer Rd
Houston-Pasadena-The Woodlands, TX
TR 2 ABST 585 W MCCANN
0440110000002
HARRIS
Agriculturalland
Texas
B and X Area of moderate flood hazard, usually the area between the limits of the 100-year and 500-year floods.
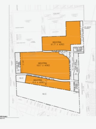
63.74 AC
2024
Northwest Outlier
2025
Houston
543004
NEARBY LISTINGS FOR SALE OR LEASE
DEMOGRAPHICS near 0 Bauer Rd
1 mile
3 mile
5 mile
2025 Total Population
4,114
32,348
67,007
2030 Population
4,601
35,209
73,130
Pop Growth 2025-2030
+ 11.84%
+ 8.84%
+ 9.14%
Average Age
34
35
35
2025 Total Households
1,275
10,073
20,672
HH Growth 2025-2030
+ 12.47%
+ 9.08%
+ 9.38%
Median Household Inc
$119,854
$121,342
$126,361
Avg Household Size
3.20
3.20
3.20
2025 Avg HH Vehicles
2.00
2.00
2.00
Median Home Value
$349,223
$360,968
$365,413
Median Year Built
2011
2009
2010
Nearby Places
Map Layers
Listings with unknown addresses are not visible on the map
- Restaurants
- Banks
- Shops
- Fitness
- Groceries
PUBLIC TRANSPORTATION
AIRPORT
George Bush Intcntl/Houston
Drive
Walk
Distance
George Bush Intcntl/Houston
47 min
33.8 mi
Freight Ports
Port of Houston
Drive
Walk
Distance
Port of Houston
58 min
42.6 mi
SALE & LEASE HISTORY
LISTING DATE
SALE/LEASE
Nearby Properties
Address
Land Use
TOTAL SIZE
Lot Size
Zoning
Address
Land Use
TOTAL SIZE
Lot Size
Zoning
621,523 SF
66.99 AC
Address
Land Use
TOTAL SIZE
Lot Size
Zoning
270,794 SF
30.38 AC
Address
Land Use
TOTAL SIZE
Lot Size
Zoning
277,343 SF
12.79 AC
Address
Land Use
TOTAL SIZE
Lot Size
Zoning
290,379 SF
17.81 AC
Address
Land Use
TOTAL SIZE
Lot Size
Zoning
119,810 SF
14.25 AC
Address
Land Use
TOTAL SIZE
Lot Size
Zoning
81,933 SF
9.38 AC
Address
Land Use
TOTAL SIZE
Lot Size
Zoning
1,207.31 AC
Address
Land Use
TOTAL SIZE
Lot Size
Zoning
61,242 SF
30 AC
Address
Land Use
TOTAL SIZE
Lot Size
Zoning
108.28 AC
Address
Land Use
TOTAL SIZE
Lot Size
Zoning
280.90 AC
Address
Land Use
TOTAL SIZE
Lot Size
Zoning
45,632 SF
4.04 AC
Address
Land Use
TOTAL SIZE
Lot Size
Zoning
71,736 SF
5.50 AC
Address
Land Use
TOTAL SIZE
Lot Size
Zoning
568.93 AC
Address
Land Use
TOTAL SIZE
Lot Size
Zoning
34,298 SF
28.42 AC
Address
Land Use
TOTAL SIZE
Lot Size
Zoning
191,008 SF
20.47 AC
Address
Land Use
TOTAL SIZE
Lot Size
Zoning
60,800 SF
1.93 AC
Address
Land Use
TOTAL SIZE
Lot Size
Zoning
238.57 AC
Address
Land Use
TOTAL SIZE
Lot Size
Zoning
156.25 AC
Address
Land Use
TOTAL SIZE
Lot Size
Zoning
245.22 AC
Address
Land Use
TOTAL SIZE
Lot Size
Zoning
20,967 SF
2.32 AC
Address
Land Use
TOTAL SIZE
Lot Size
Zoning
22,400 SF
2.94 AC
Address
Land Use
TOTAL SIZE
Lot Size
Zoning
157.95 AC
Address
Land Use
TOTAL SIZE
Lot Size
Zoning
149.01 AC
Address
Land Use
TOTAL SIZE
Lot Size
Zoning
21,710 SF
3.16 AC
Address
Land Use
TOTAL SIZE
Lot Size
Zoning
43,724 SF
2.91 AC
Address
Land Use
TOTAL SIZE
Lot Size
Zoning
60,390 SF
13.71 AC
Address
Land Use
TOTAL SIZE
Lot Size
Zoning
17,248 SF
5.10 AC
Address
Land Use
TOTAL SIZE
Lot Size
Zoning
25,408 SF
11.80 AC
Address
Land Use
TOTAL SIZE
Lot Size
Zoning
22.72 AC
Address
Land Use
TOTAL SIZE
Lot Size
Zoning
54,630 SF
4 AC






