Property Record
0 Export Rd, Crestview, FL 32539
Property Detail
0 Export Rd
Crestview-Fort Walton Beach-Destin, FL
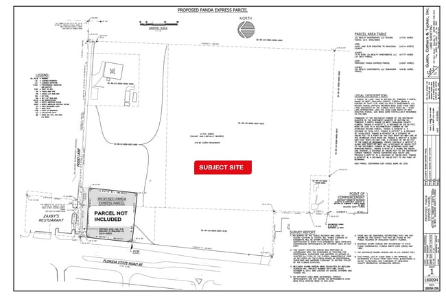
COM NE COR OF SW1/4 OF NE1/4 W 1448.34FT TO E R/W HWY 85 THC S 6 DEG W ALG R/W 215.04FT TO POB S 83 DEG E 191.57FT S 6 DEG W 216.01FT N 83 DEG W 191.57FT TO E R/W HWY 85 THC NELY ALG R/W 216FT TO POB
32-3N-23-0000-0037-0010
OKALOOSA
Commercialacreage
Florida
AE The base floodplain where base flood elevations are provided. AE Zones are now used on new format FIRMs instead of A1-A30 Zones.
120
2025
12.10 AC
2025
Fort Walton Beach
020702
Other Market Areas
984 SF
NEARBY LISTINGS FOR SALE OR LEASE
DEMOGRAPHICS near 0 Export Rd
1 mile
3 mile
5 mile
2025 Total Population
4,868
24,730
40,669
2030 Population
4,937
25,442
41,866
Pop Growth 2025-2030
+ 1.42%
+ 2.88%
+ 2.94%
Average Age
36
36
36
2025 Total Households
1,758
8,752
14,375
HH Growth 2025-2030
+ 1.31%
+ 2.78%
+ 2.85%
Median Household Inc
$88,947
$79,198
$78,203
Avg Household Size
2.70
2.70
2.60
2025 Avg HH Vehicles
2.00
2.00
2.00
Median Home Value
$335,028
$319,098
$309,245
Median Year Built
1997
2000
1999
Nearby Places
Map Layers
Listings with unknown addresses are not visible on the map
- Restaurants
- Banks
- Shops
- Fitness
- Groceries
PUBLIC TRANSPORTATION
AIRPORT
Eglin AFB/Destin-Ft Walton Beach
Drive
Walk
Distance
Eglin AFB/Destin-Ft Walton Beach
41 min
22.9 mi
Freight Ports
Port of Panama City
Drive
Walk
Distance
Port of Panama City
108 min
84.1 mi
SALE & LEASE HISTORY
LISTING DATE
SALE/LEASE
Nearby Properties
Address
Land Use
TOTAL SIZE
Lot Size
Zoning
Address
Land Use
TOTAL SIZE
Lot Size
Zoning
124,093 SF
6.94 AC
R-2
Address
Land Use
TOTAL SIZE
Lot Size
Zoning
188,733 SF
7.90 AC
R-1
Address
Land Use
TOTAL SIZE
Lot Size
Zoning
Address
Land Use
TOTAL SIZE
Lot Size
Zoning
76,136 SF
7.45 AC
Address
Land Use
TOTAL SIZE
Lot Size
Zoning
179,054 SF
22.90 AC
Address
Land Use
TOTAL SIZE
Lot Size
Zoning
97,538 SF
7.21 AC
Address
Land Use
TOTAL SIZE
Lot Size
Zoning
267,567 SF
66.39 AC
Address
Land Use
TOTAL SIZE
Lot Size
Zoning
233,285 SF
11.45 AC
C-1
Address
Land Use
TOTAL SIZE
Lot Size
Zoning
136,672 SF
13.63 AC
C-1
Address
Land Use
TOTAL SIZE
Lot Size
Zoning
61,672 SF
5.65 AC
Address
Land Use
TOTAL SIZE
Lot Size
Zoning
7,615 SF
70.60 AC
Address
Land Use
TOTAL SIZE
Lot Size
Zoning
99,035 SF
3.47 AC
Address
Land Use
TOTAL SIZE
Lot Size
Zoning
79,992 SF
7.26 AC
Address
Land Use
TOTAL SIZE
Lot Size
Zoning
24,868 SF
2.03 AC
Address
Land Use
TOTAL SIZE
Lot Size
Zoning
87,672 SF
15.69 AC
Address
Land Use
TOTAL SIZE
Lot Size
Zoning
179,963 SF
22.48 AC
Address
Land Use
TOTAL SIZE
Lot Size
Zoning
26,634 SF
2.72 AC
Address
Land Use
TOTAL SIZE
Lot Size
Zoning
106,131 SF
6.50 AC
Address
Land Use
TOTAL SIZE
Lot Size
Zoning
54,986 SF
2.84 AC
Address
Land Use
TOTAL SIZE
Lot Size
Zoning
51,432 SF
3.95 AC
Address
Land Use
TOTAL SIZE
Lot Size
Zoning
139,185 SF
14.95 AC
Address
Land Use
TOTAL SIZE
Lot Size
Zoning
28,363 SF
2.34 AC
Address
Land Use
TOTAL SIZE
Lot Size
Zoning
113,123 SF
20.45 AC
C-1
Address
Land Use
TOTAL SIZE
Lot Size
Zoning
35,898 SF
5.26 AC
Address
Land Use
TOTAL SIZE
Lot Size
Zoning
61,064 SF
4.80 AC
Address
Land Use
TOTAL SIZE
Lot Size
Zoning
53,892 SF
6.97 AC
Address
Land Use
TOTAL SIZE
Lot Size
Zoning
73,736 SF
6.24 AC
Address
Land Use
TOTAL SIZE
Lot Size
Zoning
55,211 SF
7.42 AC
Address
Land Use
TOTAL SIZE
Lot Size
Zoning
230,189 SF
23.11 AC
Address
Land Use
TOTAL SIZE
Lot Size
Zoning
26,514 SF
1.49 AC






