Property Record
305 Westfield Rd, Knoxville, TN 37919
This Property Is For Sale
NEARBY LISTINGS FOR SALE OR LEASE
Property Detail
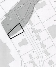
305 Westfield Rd
Knoxville, TN
A David White
120DD-007
SUBDIVISIONNAME A DAVID WHITE MAPPLATB 16 MAPPLATP 12 D IMENSIONS 84.3 X 181 X IRR
Vacantlandnec
Knox
AE
Tennessee
47093C0267G
7
2025
0.35 AC
2025
Bearden/Papermill/W Town
004404
Knoxville
DEMOGRAPHICS near 305 Westfield Rd
1 Mile
3 Mile
5 Mile
2024 Total Population
5,152
59,323
149,774
2029 Population
5,533
64,155
162,068
Pop Growth 2024-2029
+ 7.40%
+ 8.15%
+ 8.21%
Average Age
38
39
37
2024 Total Households
2,501
26,905
61,453
HH Growth 2024-2029
+ 7.36%
+ 8.30%
+ 8.60%
Median Household Inc
$57,961
$65,242
$63,159
Avg Household Size
2.00
2.10
2.30
2024 Avg HH Vehicles
2.00
2.00
2.00
Median Home Value
$320,297
$288,705
$270,436
Median Year Built
1977
1980
1983
Nearby Places
Map Layers
- Restaurants
- Banks
- Shops
- Fitness
- Groceries
PUBLIC TRANSPORTATION
AIRPORT
McGhee Tyson
DRIVE
WALK
Distance
McGhee Tyson
28 min
16.5 mi
Nearby Properties
Address
Land Use
TOTAL SIZE
Lot Size
Zoning
Address
Land Use
TOTAL SIZE
Lot Size
Zoning
92,820 SF
6.10 AC
Address
Land Use
TOTAL SIZE
Lot Size
Zoning
6,072 SF
20.14 AC
Address
Land Use
TOTAL SIZE
Lot Size
Zoning
89,714 SF
9.98 AC
Address
Land Use
TOTAL SIZE
Lot Size
Zoning
444,544 SF
44.83 AC
Address
Land Use
TOTAL SIZE
Lot Size
Zoning
63,562 SF
9.32 AC
Address
Land Use
TOTAL SIZE
Lot Size
Zoning
71,762 SF
5.97 AC
Address
Land Use
TOTAL SIZE
Lot Size
Zoning
179,690 SF
3.24 AC
Address
Land Use
TOTAL SIZE
Lot Size
Zoning
483 SF
15.56 AC
Address
Land Use
TOTAL SIZE
Lot Size
Zoning
13,078 SF
28.97 AC
Address
Land Use
TOTAL SIZE
Lot Size
Zoning
204,085 SF
4.70 AC
Address
Land Use
TOTAL SIZE
Lot Size
Zoning
3,263 SF
29.37 AC
Address
Land Use
TOTAL SIZE
Lot Size
Zoning
5,149 SF
15.35 AC
Address
Land Use
TOTAL SIZE
Lot Size
Zoning
15,348 SF
15.99 AC
Address
Land Use
TOTAL SIZE
Lot Size
Zoning
107,893 SF
9.21 AC
Address
Land Use
TOTAL SIZE
Lot Size
Zoning
2,019 SF
20.59 AC
Address
Land Use
TOTAL SIZE
Lot Size
Zoning
22,044 SF
15.47 AC
Address
Land Use
TOTAL SIZE
Lot Size
Zoning
93,238 SF
13.73 AC
Address
Land Use
TOTAL SIZE
Lot Size
Zoning
50,438 SF
7.84 AC
Address
Land Use
TOTAL SIZE
Lot Size
Zoning
116,552 SF
18.87 AC
Address
Land Use
TOTAL SIZE
Lot Size
Zoning
94,026 SF
5.07 AC
Address
Land Use
TOTAL SIZE
Lot Size
Zoning
10,557 SF
16.99 AC
Address
Land Use
TOTAL SIZE
Lot Size
Zoning
102,094 SF
4.90 AC
Address
Land Use
TOTAL SIZE
Lot Size
Zoning
40.18 AC
Address
Land Use
TOTAL SIZE
Lot Size
Zoning
Address
Land Use
TOTAL SIZE
Lot Size
Zoning
4,606 SF
11.02 AC
Address
Land Use
TOTAL SIZE
Lot Size
Zoning
62,688 SF
4.08 AC
Address
Land Use
TOTAL SIZE
Lot Size
Zoning
28,227 SF
20.02 AC
Address
Land Use
TOTAL SIZE
Lot Size
Zoning
84,205 SF
4.80 AC
Address
Land Use
TOTAL SIZE
Lot Size
Zoning
28,824 SF
14.73 AC
Address
Land Use
TOTAL SIZE
Lot Size
Zoning
231,685 SF
17.95 AC




