Property Record
0000, Arcadia, CA 00000
Current Lease Availabilities
Property Detail
0000
Los Angeles-Long Beach-Glendale, CA
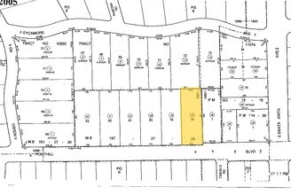
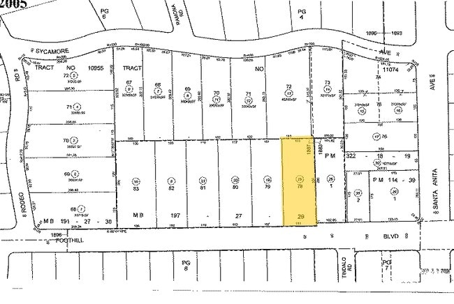
*TR=10074 LOT 78
5770-009-025
LOS ANGELES
Residentialacreage
California
ARR030000*
78
B and X Area of moderate flood hazard, usually the area between the limits of the 100-year and 500-year floods.
0.77 AC
2024
Western SGV
2025
Los Angeles
430600
NEARBY LISTINGS FOR SALE OR LEASE
DEMOGRAPHICS near 0000
1 mile
3 mile
5 mile
2025 Total Population
11,902
127,658
291,452
2030 Population
11,810
126,640
288,955
Pop Growth 2025-2030
(0.77%)
(0.80%)
(0.86%)
Average Age
44
43
43
2025 Total Households
4,189
45,627
100,269
HH Growth 2025-2030
(1.03%)
(1.02%)
(1.05%)
Median Household Inc
$136,375
$112,455
$107,351
Avg Household Size
2.80
2.70
2.80
2025 Avg HH Vehicles
2.00
2.00
2.00
Median Home Value
$1,121,233
$1,049,349
$1,006,030
Median Year Built
1957
1960
1958
Nearby Places
Map Layers
Listings with unknown addresses are not visible on the map
- Restaurants
- Banks
- Shops
- Fitness
- Groceries
PUBLIC TRANSPORTATION
COMMUTER RAIL
El Monte (San Bernardino Line - Southern California Regional Rail Authority (Metrolink))
Drive
Walk
Distance
El Monte (San Bernardino Line - Southern California Regional Rail Authority (Metrolink))
12 min
5.6 mi
Baldwin Park (San Bernardino Line - Southern California Regional Rail Authority (Metrolink))
Drive
Walk
Distance
Baldwin Park (San Bernardino Line - Southern California Regional Rail Authority (Metrolink))
16 min
9.5 mi
AIRPORT
Bob Hope
Drive
Walk
Distance
Bob Hope
31 min
23.2 mi
Ontario International
Drive
Walk
Distance
Ontario International
43 min
32.3 mi
Long Beach (Daugherty Field)
Drive
Walk
Distance
Long Beach (Daugherty Field)
44 min
33.6 mi
Freight Ports
Port of Long Beach
Drive
Walk
Distance
Port of Long Beach
51 min
39.4 mi
Nearby Properties
Address
Land Use
TOTAL SIZE
Lot Size
Zoning
Address
Land Use
TOTAL SIZE
Lot Size
Zoning
945,101 SF
38.07 AC
ARC2DH-S1-
Address
Land Use
TOTAL SIZE
Lot Size
Zoning
230,045 SF
3.20 AC
PSC*
Address
Land Use
TOTAL SIZE
Lot Size
Zoning
165,341 SF
2.70 AC
ARC2YY
Address
Land Use
TOTAL SIZE
Lot Size
Zoning
531,606 SF
8.20 AC
PSC*
Address
Land Use
TOTAL SIZE
Lot Size
Zoning
299,385 SF
4.37 AC
PSC*
Address
Land Use
TOTAL SIZE
Lot Size
Zoning
237,930 SF
2.98 AC
PSC*
Address
Land Use
TOTAL SIZE
Lot Size
Zoning
210,083 SF
9.61 AC
PSMG
Address
Land Use
TOTAL SIZE
Lot Size
Zoning
144,947 SF
19.93 AC
PSC*
Address
Land Use
TOTAL SIZE
Lot Size
Zoning
127,085 SF
1.97 AC
MOCG-P/QP*
Address
Land Use
TOTAL SIZE
Lot Size
Zoning
324,257 SF
7.97 AC
PSC*
Address
Land Use
TOTAL SIZE
Lot Size
Zoning
266,084 SF
3.71 AC
PSC*
Address
Land Use
TOTAL SIZE
Lot Size
Zoning
433,378 SF
8.27 AC
PSC*
Address
Land Use
TOTAL SIZE
Lot Size
Zoning
95,530 SF
1.27 AC
MOM*
Address
Land Use
TOTAL SIZE
Lot Size
Zoning
68,417 SF
0.78 AC
ARC2H*
Address
Land Use
TOTAL SIZE
Lot Size
Zoning
358,500 SF
5.11 AC
ARC2DH-S1-
Address
Land Use
TOTAL SIZE
Lot Size
Zoning
206,254 SF
0.77 AC
Address
Land Use
TOTAL SIZE
Lot Size
Zoning
255,384 SF
6.74 AC
ARC2*
Address
Land Use
TOTAL SIZE
Lot Size
Zoning
635,556 SF
11.05 AC
ARC2
Address
Land Use
TOTAL SIZE
Lot Size
Zoning
756,195 SF
15.48 AC
ARC2DH-S1-
Address
Land Use
TOTAL SIZE
Lot Size
Zoning
241,189 SF
0.90 AC
ARC2*
Address
Land Use
TOTAL SIZE
Lot Size
Zoning
24,015 SF
3.23 AC
ARCPD1*
Address
Land Use
TOTAL SIZE
Lot Size
Zoning
98,113 SF
6.07 AC
MOCG*
Address
Land Use
TOTAL SIZE
Lot Size
Zoning
465,988 SF
8.03 AC
MOM*
Address
Land Use
TOTAL SIZE
Lot Size
Zoning
53,306 SF
0.90 AC
ARC2
Address
Land Use
TOTAL SIZE
Lot Size
Zoning
134,018 SF
5.97 AC
MORH*
Address
Land Use
TOTAL SIZE
Lot Size
Zoning
69,352 SF
4.78 AC
ARC2
Address
Land Use
TOTAL SIZE
Lot Size
Zoning
54,546 SF
1 AC
MOM*
Address
Land Use
TOTAL SIZE
Lot Size
Zoning
220,753 SF
3.75 AC
ARCPD1*
Address
Land Use
TOTAL SIZE
Lot Size
Zoning
206,254 SF
0.60 AC
Address
Land Use
TOTAL SIZE
Lot Size
Zoning
205,013 SF
2.99 AC
MOP/QP*







