Property Record
0000, Malibu, CA 00000
Property Detail
0000
4452-019-005
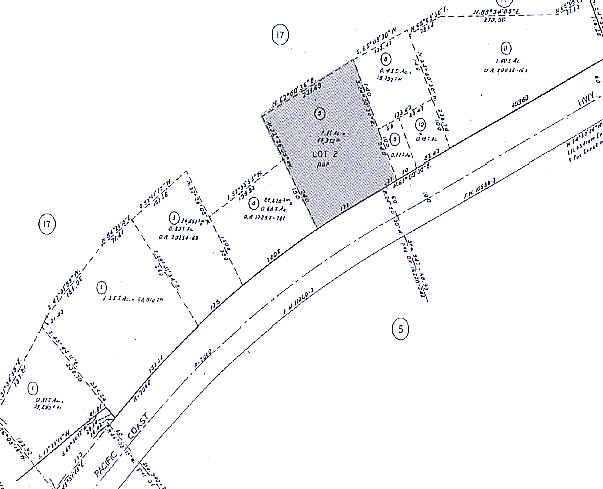
LAND OF MATTHEW KELLER IN THE RANCHO TOPANGA MALIBU SEQUIT 1.11 MORE OR LESS ACS ON NW LINE OF PACIFIC COAST HIGHWAY COM N 24 5030 W 60 FT AND N 65 0930 E 27 FT FROM ENGR STA 947 PLUS 68.93 IN E 240 FT TO BEG PART OF LOT 2
Parkinglot
LOS ANGELES
LCC3*
California
B and X Area of moderate flood hazard, usually the area between the limits of the 100-year and 500-year floods.
2
2024
1.20 AC
2025
Pacific Palisades/Malibu
800504
Los Angeles
16,000 SF
Los Angeles-Long Beach-Glendale, CA
NEARBY LISTINGS FOR SALE OR LEASE
-
-
View all Malibu listings for sale on LoopNet.com
DEMOGRAPHICS near 0000
1 mile
3 mile
5 mile
2025 Total Population
1,291
6,511
11,228
2030 Population
1,379
6,780
11,553
Pop Growth 2025-2030
+ 6.82%
+ 4.13%
+ 2.89%
Average Age
47
42
42
2025 Total Households
579
2,273
3,834
HH Growth 2025-2030
+ 6.56%
+ 5.06%
+ 3.60%
Median Household Inc
$205,068
$193,103
$186,807
Avg Household Size
2.20
2.30
2.30
2025 Avg HH Vehicles
2.00
2.00
2.00
Median Home Value
$1,141,404
$1,137,360
$1,138,420
Median Year Built
1975
1975
1975
Nearby Places
Map Layers
Listings with unknown addresses are not visible on the map
- Restaurants
- Banks
- Shops
- Fitness
- Groceries
PUBLIC TRANSPORTATION
AIRPORT
Los Angeles International
Drive
Walk
Distance
Los Angeles International
38 min
20.1 mi
Bob Hope
Drive
Walk
Distance
Bob Hope
51 min
35.2 mi
Long Beach (Daugherty Field)
Drive
Walk
Distance
Long Beach (Daugherty Field)
57 min
40.3 mi
Freight Ports
The Port of Hueneme
Drive
Walk
Distance
The Port of Hueneme
50 min
34.6 mi
Nearby Properties
Address
Land Use
TOTAL SIZE
Lot Size
Zoning
Address
Land Use
TOTAL SIZE
Lot Size
Zoning
92,514 SF
13.95 AC
LCC2*
Address
Land Use
TOTAL SIZE
Lot Size
Zoning
361,421 SF
33.54 AC
LCA11*
Address
Land Use
TOTAL SIZE
Lot Size
Zoning
39,481 SF
5.97 AC
LCC2*
Address
Land Use
TOTAL SIZE
Lot Size
Zoning
91,005 SF
5.48 AC
LCR112000-
Address
Land Use
TOTAL SIZE
Lot Size
Zoning
175,399 SF
3.01 AC
LCR112000-
Address
Land Use
TOTAL SIZE
Lot Size
Zoning
90,648 SF
41.55 AC
LCSRD-R3-R
Address
Land Use
TOTAL SIZE
Lot Size
Zoning
9,166 SF
0.63 AC
LCC2*
Address
Land Use
TOTAL SIZE
Lot Size
Zoning
22,165 SF
0.57 AC
LCC2*
Address
Land Use
TOTAL SIZE
Lot Size
Zoning
25,832 SF
2.40 AC
LCC3
Address
Land Use
TOTAL SIZE
Lot Size
Zoning
85,990 SF
2.36 AC
LCC3
Address
Land Use
TOTAL SIZE
Lot Size
Zoning
131,792 SF
3.74 AC
LCA11*
Address
Land Use
TOTAL SIZE
Lot Size
Zoning
7,407 SF
1.07 AC
LCC2*
Address
Land Use
TOTAL SIZE
Lot Size
Zoning
6,286 SF
0.55 AC
LCC2*
Address
Land Use
TOTAL SIZE
Lot Size
Zoning
21,094 SF
1.41 AC
LCC2YY
Address
Land Use
TOTAL SIZE
Lot Size
Zoning
4,628 SF
1.52 AC
LCC2*
Address
Land Use
TOTAL SIZE
Lot Size
Zoning
115,673 SF
13.33 AC
LCSRD*
Address
Land Use
TOTAL SIZE
Lot Size
Zoning
40,528 SF
2.89 AC
LCC2DP*
Address
Land Use
TOTAL SIZE
Lot Size
Zoning
4,800 SF
0.31 AC
LCC2*
Address
Land Use
TOTAL SIZE
Lot Size
Zoning
121,451 SF
5.19 AC
LCA11*
Address
Land Use
TOTAL SIZE
Lot Size
Zoning
2,468 SF
0.17 AC
LCR106
Address
Land Use
TOTAL SIZE
Lot Size
Zoning
19,885 SF
1.87 AC
LCC2*
Address
Land Use
TOTAL SIZE
Lot Size
Zoning
30,375 SF
1.48 AC
LCC3*
Address
Land Use
TOTAL SIZE
Lot Size
Zoning
6,791 SF
0.49 AC
LCC2*
Address
Land Use
TOTAL SIZE
Lot Size
Zoning
6,470 SF
0.34 AC
LCC2*
Address
Land Use
TOTAL SIZE
Lot Size
Zoning
6,981 SF
0.22 AC
LCC2*
Address
Land Use
TOTAL SIZE
Lot Size
Zoning
91,531 SF
2.21 AC
LCA11*
Address
Land Use
TOTAL SIZE
Lot Size
Zoning
24,739 SF
1.62 AC
LCC3*
Address
Land Use
TOTAL SIZE
Lot Size
Zoning
6,831 SF
1 AC
LCM1
Address
Land Use
TOTAL SIZE
Lot Size
Zoning
7.28 AC
LCC2-RR1*







