Property Record
100 Central Ave, Roselle, IL 60172
Property Detail
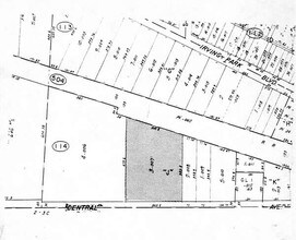
100 Central Ave
02-03-114-007
TREPANIERS PLAT OF SURVEY
Industrialgeneral
DuPage
I
Illinois
B and X Area of moderate flood hazard, usually the area between the limits of the 100-year and 500-year floods.
3
2024
2.72 AC
2024
North DuPage
841104
Chicago
41,264 SF
Chicago-Naperville-Elgin, IL-IN
NEARBY LISTINGS FOR SALE OR LEASE
DEMOGRAPHICS near 100 Central Ave
1 mile
3 mile
5 mile
2025 Total Population
9,640
101,841
290,464
2030 Population
9,764
102,726
292,291
Pop Growth 2025-2030
+ 1.29%
+ 0.87%
+ 0.63%
Average Age
42
43
41
2025 Total Households
3,623
38,064
105,938
HH Growth 2025-2030
+ 1.27%
+ 0.72%
+ 0.49%
Median Household Inc
$103,280
$102,995
$98,999
Avg Household Size
2.60
2.60
2.70
2025 Avg HH Vehicles
2.00
2.00
2.00
Median Home Value
$352,976
$352,625
$320,934
Median Year Built
1974
1977
1977
Nearby Places
Map Layers
Listings with unknown addresses are not visible on the map
- Restaurants
- Banks
- Shops
- Fitness
- Groceries
PUBLIC TRANSPORTATION
TRANSIT/SUBWAY
Roselle Station (Milwaukee District West Line - Northeast Illinois Regional Commuter Railroad (Metra))
Drive
Walk
Distance
Roselle Station (Milwaukee District West Line - Northeast Illinois Regional Commuter Railroad (Metra))
4 min
19 min
1.0 mi
COMMUTER RAIL
Roselle Station (Milwaukee District West Line - Northeast Illinois Regional Commuter Railroad (Metra))
Drive
Walk
Distance
Roselle Station (Milwaukee District West Line - Northeast Illinois Regional Commuter Railroad (Metra))
4 min
19 min
1.0 mi
Medinah Station (Milwaukee District West Line - Northeast Illinois Regional Commuter Railroad (Metra))
Drive
Walk
Distance
Medinah Station (Milwaukee District West Line - Northeast Illinois Regional Commuter Railroad (Metra))
6 min
2.3 mi
AIRPORT
Chicago O'Hare International
Drive
Walk
Distance
Chicago O'Hare International
26 min
15.0 mi
Chicago Midway International
Drive
Walk
Distance
Chicago Midway International
40 min
27.4 mi
Nearby Properties
Address
Land Use
TOTAL SIZE
Lot Size
Zoning
Address
Land Use
TOTAL SIZE
Lot Size
Zoning
345,600 SF
23.40 AC
M
Address
Land Use
TOTAL SIZE
Lot Size
Zoning
457,762 SF
23 AC
M
Address
Land Use
TOTAL SIZE
Lot Size
Zoning
24.82 AC
Address
Land Use
TOTAL SIZE
Lot Size
Zoning
24.82 AC
Address
Land Use
TOTAL SIZE
Lot Size
Zoning
489,153 SF
18.90 AC
I
Address
Land Use
TOTAL SIZE
Lot Size
Zoning
226,069 SF
14.85 AC
Address
Land Use
TOTAL SIZE
Lot Size
Zoning
492,570 SF
22.46 AC
I
Address
Land Use
TOTAL SIZE
Lot Size
Zoning
306,870 SF
31.76 AC
I
Address
Land Use
TOTAL SIZE
Lot Size
Zoning
356,177 SF
18.27 AC
I
Address
Land Use
TOTAL SIZE
Lot Size
Zoning
320,504 SF
17.60 AC
I
Address
Land Use
TOTAL SIZE
Lot Size
Zoning
361,130 SF
19.91 AC
I
Address
Land Use
TOTAL SIZE
Lot Size
Zoning
320,430 SF
16.56 AC
I
Address
Land Use
TOTAL SIZE
Lot Size
Zoning
345,881 SF
12.66 AC
I
Address
Land Use
TOTAL SIZE
Lot Size
Zoning
71,184 SF
22.49 AC
Address
Land Use
TOTAL SIZE
Lot Size
Zoning
Address
Land Use
TOTAL SIZE
Lot Size
Zoning
211,392 SF
11.94 AC
R
Address
Land Use
TOTAL SIZE
Lot Size
Zoning
101,282 SF
2.34 AC
Address
Land Use
TOTAL SIZE
Lot Size
Zoning
24.08 AC
Address
Land Use
TOTAL SIZE
Lot Size
Zoning
357,241 SF
25.69 AC
Address
Land Use
TOTAL SIZE
Lot Size
Zoning
216,238 SF
13.52 AC
Address
Land Use
TOTAL SIZE
Lot Size
Zoning
346,165 SF
3.15 AC
Address
Land Use
TOTAL SIZE
Lot Size
Zoning
66,774 SF
3.46 AC
Address
Land Use
TOTAL SIZE
Lot Size
Zoning
60,372 SF
8.99 AC
I
Address
Land Use
TOTAL SIZE
Lot Size
Zoning
229,759 SF
12.90 AC
I
Address
Land Use
TOTAL SIZE
Lot Size
Zoning
217,550 SF
5.18 AC
I
Address
Land Use
TOTAL SIZE
Lot Size
Zoning
250,000 SF
12.44 AC
I
Address
Land Use
TOTAL SIZE
Lot Size
Zoning
244,888 SF
12.19 AC
I
Address
Land Use
TOTAL SIZE
Lot Size
Zoning
254,758 SF
9.90 AC
I
Address
Land Use
TOTAL SIZE
Lot Size
Zoning
242,800 SF
16.43 AC
Address
Land Use
TOTAL SIZE
Lot Size
Zoning
207,296 SF
10.42 AC
I







