Property Record
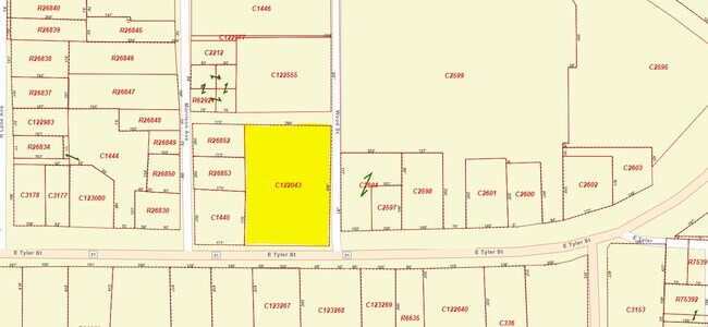
1007 E Tyler St, Athens, TX 75751
Property Detail
1007 E Tyler St
Athens, TX
AB 171 R A CLARK SUR, WALGREEN SUBD LT 1, (RE: ATHENS OT BLK 118 LTS, 1 & 2B & MORRISON LTS A & B)
4481-0000-0010-01
Henderson
Commercialnec
Texas
B and X Area of moderate flood hazard, usually the area between the limits of the 100-year and 500-year floods.
1
2024
2.60 AC
2025
Henderson County
951300
Dallas/Ft Worth
14,964 SF
NEARBY LISTINGS FOR SALE OR LEASE
DEMOGRAPHICS near 1007 E Tyler St
1 mile
3 mile
5 mile
2025 Total Population
2,739
13,246
17,138
2030 Population
2,815
13,628
17,664
Pop Growth 2025-2030
+ 2.77%
+ 2.88%
+ 3.07%
Average Age
41
40
40
2025 Total Households
1,095
4,891
6,424
HH Growth 2025-2030
+ 2.56%
+ 2.74%
+ 2.97%
Median Household Inc
$54,300
$58,276
$58,644
Avg Household Size
2.10
2.50
2.50
2025 Avg HH Vehicles
1.00
2.00
2.00
Median Home Value
$243,362
$213,944
$218,986
Median Year Built
1973
1977
1980
Nearby Places
Map Layers
Listings with unknown addresses are not visible on the map
- Restaurants
- Banks
- Shops
- Fitness
- Groceries
PUBLIC TRANSPORTATION
AIRPORT
Tyler Pounds Regional
Drive
Walk
Distance
Tyler Pounds Regional
44 min
32.6 mi
Freight Ports
Port of Shreveport
Drive
Walk
Distance
Port of Shreveport
163 min
141.4 mi
Nearby Properties
Address
Land Use
TOTAL SIZE
Lot Size
Zoning
Address
Land Use
TOTAL SIZE
Lot Size
Zoning
119,750 SF
37.85 AC
Address
Land Use
TOTAL SIZE
Lot Size
Zoning
1,197 SF
18.53 AC
Address
Land Use
TOTAL SIZE
Lot Size
Zoning
40.91 AC
Address
Land Use
TOTAL SIZE
Lot Size
Zoning
9.88 AC
Address
Land Use
TOTAL SIZE
Lot Size
Zoning
8.02 AC
Address
Land Use
TOTAL SIZE
Lot Size
Zoning
43,612 SF
15.43 AC
Address
Land Use
TOTAL SIZE
Lot Size
Zoning
702,506 SF
35 AC
Address
Land Use
TOTAL SIZE
Lot Size
Zoning
1,736 SF
10 AC
Address
Land Use
TOTAL SIZE
Lot Size
Zoning
49,353 SF
37.85 AC
Address
Land Use
TOTAL SIZE
Lot Size
Zoning
154,664 SF
64.73 AC
Address
Land Use
TOTAL SIZE
Lot Size
Zoning
14,475 SF
12.39 AC
Address
Land Use
TOTAL SIZE
Lot Size
Zoning
13.89 AC
Address
Land Use
TOTAL SIZE
Lot Size
Zoning
17.50 AC
Address
Land Use
TOTAL SIZE
Lot Size
Zoning
29,984 SF
7.79 AC
Address
Land Use
TOTAL SIZE
Lot Size
Zoning
47,400 SF
15.33 AC
Address
Land Use
TOTAL SIZE
Lot Size
Zoning
69,056 SF
16.02 AC
Address
Land Use
TOTAL SIZE
Lot Size
Zoning
56,433 SF
5.17 AC
Address
Land Use
TOTAL SIZE
Lot Size
Zoning
140,660 SF
36.75 AC
Address
Land Use
TOTAL SIZE
Lot Size
Zoning
32,077 SF
0.25 AC
Address
Land Use
TOTAL SIZE
Lot Size
Zoning
83,122 SF
5.42 AC
Address
Land Use
TOTAL SIZE
Lot Size
Zoning
38,975 SF
4.61 AC
Address
Land Use
TOTAL SIZE
Lot Size
Zoning
60,558 SF
7.37 AC
Address
Land Use
TOTAL SIZE
Lot Size
Zoning
2.09 AC
Address
Land Use
TOTAL SIZE
Lot Size
Zoning
11,145 SF
188.42 AC
Address
Land Use
TOTAL SIZE
Lot Size
Zoning
14,765 SF
110.29 AC
Address
Land Use
TOTAL SIZE
Lot Size
Zoning
38,979 SF
2 AC
Address
Land Use
TOTAL SIZE
Lot Size
Zoning
40,549 SF
9.36 AC
Address
Land Use
TOTAL SIZE
Lot Size
Zoning
59,394 SF
8.18 AC
Address
Land Use
TOTAL SIZE
Lot Size
Zoning
28,963 SF
10.11 AC
Address
Land Use
TOTAL SIZE
Lot Size
Zoning
265,494 SF
10.99 AC






