Property Record
1012 Highway 98 E, Destin, FL 32541
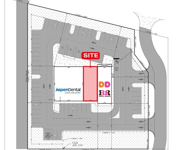
Current Lease Availabilities
Property Detail
1012 Highway 98 E
00-2S-22-0000-0015-0000
COM NW COR OF DESTIN TOWERS CONDO S 76 DEG E 47.89 FT TO POB S 296 FT E 71.08 FT E 173. 41 FT N 155 FT N 36 DEG W 46.8 FT N 50 FT TO S R/W HWY 98 N 76 DEG W ALG R/W 222.97 FT TO POB
Storemultistory
Okaloosa
C and X Area of minimal flood hazard, usually depicted on FIRMs as above the 500-year flood level.
Florida
2025
1.42 AC
2025
Other Market Areas
023303
Crestview-Fort Walton Beach-Destin, FL
8,618 SF
NEARBY LISTINGS FOR SALE OR LEASE
DEMOGRAPHICS near 1012 Highway 98 E
1 mile
3 mile
5 mile
2025 Total Population
7,790
22,632
29,533
2030 Population
8,858
24,969
32,776
Pop Growth 2025-2030
+ 13.71%
+ 10.33%
+ 10.98%
Average Age
46
45
45
2025 Total Households
3,670
10,272
13,387
HH Growth 2025-2030
+ 14.14%
+ 10.76%
+ 11.38%
Median Household Inc
$94,630
$96,456
$98,238
Avg Household Size
2.10
2.20
2.20
2025 Avg HH Vehicles
2.00
2.00
2.00
Median Home Value
$522,463
$512,837
$587,308
Median Year Built
1995
1995
1996
Nearby Places
Map Layers
Listings with unknown addresses are not visible on the map
- Restaurants
- Banks
- Shops
- Fitness
- Groceries
PUBLIC TRANSPORTATION
AIRPORT
Eglin AFB/Destin-Ft Walton Beach
Drive
Walk
Distance
Eglin AFB/Destin-Ft Walton Beach
47 min
19.5 mi
Freight Ports
Port of Panama City
Drive
Walk
Distance
Port of Panama City
75 min
49.0 mi
Nearby Properties
Address
Land Use
TOTAL SIZE
Lot Size
Zoning
Address
Land Use
TOTAL SIZE
Lot Size
Zoning
233,598 SF
213.03 AC
Address
Land Use
TOTAL SIZE
Lot Size
Zoning
619,795 SF
47.80 AC
Address
Land Use
TOTAL SIZE
Lot Size
Zoning
110,181 SF
3.48 AC
Address
Land Use
TOTAL SIZE
Lot Size
Zoning
335,190 SF
10.36 AC
Address
Land Use
TOTAL SIZE
Lot Size
Zoning
148,945 SF
12.83 AC
Address
Land Use
TOTAL SIZE
Lot Size
Zoning
125,459 SF
12.57 AC
Address
Land Use
TOTAL SIZE
Lot Size
Zoning
29,385 SF
211.96 AC
Address
Land Use
TOTAL SIZE
Lot Size
Zoning
181,240 SF
11.20 AC
Address
Land Use
TOTAL SIZE
Lot Size
Zoning
164,408 SF
7.98 AC
Address
Land Use
TOTAL SIZE
Lot Size
Zoning
53,437 SF
29.97 AC
Address
Land Use
TOTAL SIZE
Lot Size
Zoning
92.71 AC
Address
Land Use
TOTAL SIZE
Lot Size
Zoning
223,790 SF
20.75 AC
Address
Land Use
TOTAL SIZE
Lot Size
Zoning
195,622 SF
17.68 AC
Address
Land Use
TOTAL SIZE
Lot Size
Zoning
124,578 SF
13.85 AC
Address
Land Use
TOTAL SIZE
Lot Size
Zoning
135,154 SF
15.22 AC
Address
Land Use
TOTAL SIZE
Lot Size
Zoning
56,375 SF
3.51 AC
Address
Land Use
TOTAL SIZE
Lot Size
Zoning
28,327 SF
1.45 AC
Address
Land Use
TOTAL SIZE
Lot Size
Zoning
113,053 SF
7.25 AC
Address
Land Use
TOTAL SIZE
Lot Size
Zoning
36,890 SF
2.23 AC
Address
Land Use
TOTAL SIZE
Lot Size
Zoning
13.42 AC
Address
Land Use
TOTAL SIZE
Lot Size
Zoning
231,112 SF
23.03 AC
Address
Land Use
TOTAL SIZE
Lot Size
Zoning
95,621 SF
21.62 AC
Address
Land Use
TOTAL SIZE
Lot Size
Zoning
6,630 SF
25.69 AC
Address
Land Use
TOTAL SIZE
Lot Size
Zoning
49,123 SF
2.36 AC
Address
Land Use
TOTAL SIZE
Lot Size
Zoning
3.85 AC
Address
Land Use
TOTAL SIZE
Lot Size
Zoning
201,131 SF
11.29 AC
Address
Land Use
TOTAL SIZE
Lot Size
Zoning
33,420 SF
2.56 AC
Address
Land Use
TOTAL SIZE
Lot Size
Zoning
56,505 SF
2.34 AC
Address
Land Use
TOTAL SIZE
Lot Size
Zoning
78,590 SF
11.24 AC
Address
Land Use
TOTAL SIZE
Lot Size
Zoning
1,768 SF
7.20 AC








