Property Record
1020 Nw 1St Ct, Hallandale Beach, FL 33009
Current Lease Availabilities
NEARBY LISTINGS FOR SALE OR LEASE
Property Detail
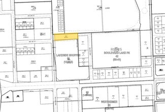
1020 Nw 1St Ct
Fort Lauderdale-Pompano Beach-Deerfield Beach, FL
Lakeside Shoppes Plat 133-23 B
51-42-28-56-0020
LAKESIDE SHOPPES PLAT 133-23 B N 77.50 OF PARCEL A AKA:N 77.50 OF W1/2 OF SW1/4 OF NE1/4 OF NW1/4 OF SEC 28
Warehouse
Broward
X
Florida
12011C0731J
a
2024
0.55 AC
2025
Southeast Broward
100400
South Florida
9,000 SF
DEMOGRAPHICS near 1020 Nw 1St Ct
1 Mile
3 Mile
5 Mile
2024 Total Population
17,721
234,943
497,126
2029 Population
17,908
238,148
501,191
Pop Growth 2024-2029
+ 1.06%
+ 1.36%
+ 0.82%
Average Age
40
43
42
2024 Total Households
6,624
99,610
197,895
HH Growth 2024-2029
+ 1.27%
+ 1.47%
+ 0.96%
Median Household Inc
$43,154
$54,729
$56,275
Avg Household Size
2.50
2.30
2.40
2024 Avg HH Vehicles
2.00
1.00
2.00
Median Home Value
$237,453
$330,740
$339,877
Median Year Built
1971
1975
1974
Nearby Places
- Restaurants
- Banks
- Shops
- Fitness
- Groceries
PUBLIC TRANSPORTATION
COMMUTER RAIL
Hollywood (Tri-County Commuter - South Florida Regional Transportation Authority (Tri-Rail))
DRIVE
WALK
Distance
Hollywood (Tri-County Commuter - South Florida Regional Transportation Authority (Tri-Rail))
5 min
2.3 mi
DRIVE
WALK
Distance
6 min
2.9 mi
AIRPORT
Fort Lauderdale/Hollywood International
DRIVE
WALK
Distance
Fort Lauderdale/Hollywood International
13 min
7.4 mi
Miami International
DRIVE
WALK
Distance
Miami International
37 min
21.8 mi
Nearby Properties
Address
Land Use
TOTAL SIZE
Lot Size
Zoning
Address
Land Use
TOTAL SIZE
Lot Size
Zoning
709,504 SF
9.91 AC
PD
Address
Land Use
TOTAL SIZE
Lot Size
Zoning
1,655,191 SF
33.20 AC
6400
Address
Land Use
TOTAL SIZE
Lot Size
Zoning
2,786,552 SF
25.77 AC
HD
Address
Land Use
TOTAL SIZE
Lot Size
Zoning
1,309,213 SF
15.40 AC
6000
Address
Land Use
TOTAL SIZE
Lot Size
Zoning
655,617 SF
16.35 AC
6574
Address
Land Use
TOTAL SIZE
Lot Size
Zoning
796,330 SF
3.79 AC
CCB
Address
Land Use
TOTAL SIZE
Lot Size
Zoning
841,690 SF
9.51 AC
6000
Address
Land Use
TOTAL SIZE
Lot Size
Zoning
387,151 SF
7 AC
6400
Address
Land Use
TOTAL SIZE
Lot Size
Zoning
594,393 SF
12.30 AC
6000
Address
Land Use
TOTAL SIZE
Lot Size
Zoning
600,923 SF
5 AC
6800
Address
Land Use
TOTAL SIZE
Lot Size
Zoning
502,888 SF
7.44 AC
CENTRAL RA
Address
Land Use
TOTAL SIZE
Lot Size
Zoning
327,371 SF
28.85 AC
6000
Address
Land Use
TOTAL SIZE
Lot Size
Zoning
478,740 SF
1.05 AC
YC
Address
Land Use
TOTAL SIZE
Lot Size
Zoning
635,906 SF
19.70 AC
3800
Address
Land Use
TOTAL SIZE
Lot Size
Zoning
579,420 SF
1.68 AC
ND-3
Address
Land Use
TOTAL SIZE
Lot Size
Zoning
427,936 SF
10.90 AC
4000
Address
Land Use
TOTAL SIZE
Lot Size
Zoning
259,466 SF
13.26 AC
RM-25
Address
Land Use
TOTAL SIZE
Lot Size
Zoning
528,954 SF
3.85 AC
7703
Address
Land Use
TOTAL SIZE
Lot Size
Zoning
438,041 SF
17.43 AC
3800
Address
Land Use
TOTAL SIZE
Lot Size
Zoning
523,233 SF
2.30 AC
ND-3
Address
Land Use
TOTAL SIZE
Lot Size
Zoning
445,250 SF
1.77 AC
6572
Address
Land Use
TOTAL SIZE
Lot Size
Zoning
473,019 SF
24.10 AC
3800
Address
Land Use
TOTAL SIZE
Lot Size
Zoning
220,260 SF
3.77 AC
PD
Address
Land Use
TOTAL SIZE
Lot Size
Zoning
446,657 SF
38.59 AC
PLAC
Address
Land Use
TOTAL SIZE
Lot Size
Zoning
235,123 SF
6.43 AC
9500
Address
Land Use
TOTAL SIZE
Lot Size
Zoning
447,673 SF
10.01 AC
PUD
Address
Land Use
TOTAL SIZE
Lot Size
Zoning
271,410 SF
4.07 AC
CR-A
Address
Land Use
TOTAL SIZE
Lot Size
Zoning
286,476 SF
24.21 AC
6800
Address
Land Use
TOTAL SIZE
Lot Size
Zoning
751,901 SF
16.65 AC
4100
Address
Land Use
TOTAL SIZE
Lot Size
Zoning
148,824 SF
9.36 AC
6200



