Property Record
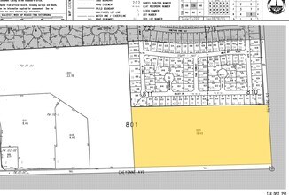
This page contains information about the property located at 1020 W Cheyenne Ave, North Las Vegas, NV, 89032.

1020 W Cheyenne Ave, North Las Vegas, NV 89032

NEARBY LISTINGS FOR SALE OR LEASE

Property Detail

Information for the property located at 1020 W Cheyenne Ave North Las Vegas, NV includes data gathered from Clark County tax records, public records data providers and LoopNet historical data records.
1020 W Cheyenne Ave
139-09-801-005
PT SE4 SE4 SEC 09 20 61
Vacantlandnec
Clark
X
Nevada
32003C2160F
17.34 AC
2025
North Las Vegas
2025
Las Vegas
003613
Las Vegas-Henderson-Paradise, NV

DEMOGRAPHICS near 1020 W Cheyenne Ave

1 Mile
3 Mile
5 Mile
2024 Total Population
16,353
165,228
498,419
2029 Population
17,460
177,034
534,816
Pop Growth 2024-2029
+ 6.77%
+ 7.15%
+ 7.30%
Average Age
36
36
36
2024 Total Households
5,102
50,975
165,293
HH Growth 2024-2029
+ 6.72%
+ 7.20%
+ 7.31%
Median Household Inc
$62,679
$51,026
$51,548
Avg Household Size
3.10
3.10
2.90
2024 Avg HH Vehicles
2.00
2.00
2.00
Median Home Value
$270,609
$279,510
$297,721
Median Year Built
1997
1994
1992

Nearby Places

Map Layers
Map Styles
Street
Aerial

PUBLIC TRANSPORTATION

AIRPORT
Harry Reid International
DRIVE
WALK
Distance
Harry Reid International
21 min
11.4 mi
Boulder City Municipal
DRIVE
WALK
Distance
Boulder City Municipal
40 min
30.0 mi
Freight Ports
Port of Long Beach
DRIVE
WALK
Distance
Port of Long Beach
322 min
286.9 mi

SALE & LEASE HISTORY

LoopNet.com has seen the following sale and lease activity for the property located at 1020 W Cheyenne Ave, North Las Vegas, NV
 
LISTING DATE
SALE/LEASE
Sep 24, 2016
For Sale

Nearby Properties

Address
Land Use
TOTAL SIZE
Lot Size
Zoning
Address
Land Use
TOTAL SIZE
Lot Size
Zoning
Address
Land Use
TOTAL SIZE
Lot Size
Zoning
Address
Land Use
TOTAL SIZE
Lot Size
Zoning
252,005 SF
27.94 AC
C3
Address
Land Use
TOTAL SIZE
Lot Size
Zoning
Address
Land Use
TOTAL SIZE
Lot Size
Zoning
Address
Land Use
TOTAL SIZE
Lot Size
Zoning
Address
Land Use
TOTAL SIZE
Lot Size
Zoning
Address
Land Use
TOTAL SIZE
Lot Size
Zoning
617,670 SF
27.90 AC
M2
Address
Land Use
TOTAL SIZE
Lot Size
Zoning
7,724 SF
108.84 AC
R1
Address
Land Use
TOTAL SIZE
Lot Size
Zoning
Address
Land Use
TOTAL SIZE
Lot Size
Zoning
Address
Land Use
TOTAL SIZE
Lot Size
Zoning
Address
Land Use
TOTAL SIZE
Lot Size
Zoning
Address
Land Use
TOTAL SIZE
Lot Size
Zoning
390,851 SF
48.43 AC
PUD
Address
Land Use
TOTAL SIZE
Lot Size
Zoning
504,501 SF
23.08 AC
M2
Address
Land Use
TOTAL SIZE
Lot Size
Zoning
Address
Land Use
TOTAL SIZE
Lot Size
Zoning
Address
Land Use
TOTAL SIZE
Lot Size
Zoning
Address
Land Use
TOTAL SIZE
Lot Size
Zoning
Address
Land Use
TOTAL SIZE
Lot Size
Zoning
Address
Land Use
TOTAL SIZE
Lot Size
Zoning
Address
Land Use
TOTAL SIZE
Lot Size
Zoning
Address
Land Use
TOTAL SIZE
Lot Size
Zoning
Address
Land Use
TOTAL SIZE
Lot Size
Zoning
Address
Land Use
TOTAL SIZE
Lot Size
Zoning
Address
Land Use
TOTAL SIZE
Lot Size
Zoning
34,765 SF
16.85 AC
M2
Address
Land Use
TOTAL SIZE
Lot Size
Zoning
See More See Less

The World's #1 Commercial Real Estate Marketplace

What is a Walk Score®, Transit Score® & Bike Score®?
Walk Score® measures the walkability of any address.
Transit Score® measures access to public transit.
Bike Score® measures bikeability of a location.
What is a Walk Score®
, Transit Score® & Bike Score?
Walk Score® measures the walkability
of any address. Transit Score®
measures access to public transit. Bike Score®
measures bikeability of a location.®