Property Record
10380 Quality Dr, Spring Hill, FL 34609
Property Detail
10380 Quality Dr
Tampa-St. Petersburg-Clearwater, FL
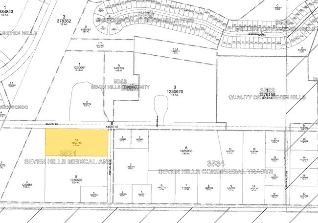
SEVEN HILLS MEDICAL AND BUSINESS CENTER THE N285 FT OF LOT 5
R31-223-18-3521-0000-0051
Hernando
Multifamilydwelling
Florida
AE The base floodplain where base flood elevations are provided. AE Zones are now used on new format FIRMs instead of A1-A30 Zones.
5
2025
4.29 AC
2025
Hernando County
040913
Tampa/St Petersburg
125,210 SF
NEARBY LISTINGS FOR SALE OR LEASE
DEMOGRAPHICS near 10380 Quality Dr
1 mile
3 mile
5 mile
2025 Total Population
5,557
44,690
116,220
2030 Population
6,104
49,218
128,006
Pop Growth 2025-2030
+ 9.84%
+ 10.13%
+ 10.14%
Average Age
54
45
45
2025 Total Households
2,580
17,839
46,811
HH Growth 2025-2030
+ 9.84%
+ 9.98%
+ 10.00%
Median Household Inc
$64,322
$71,515
$68,834
Avg Household Size
2.10
2.50
2.40
2025 Avg HH Vehicles
2.00
2.00
2.00
Median Home Value
$332,641
$316,076
$300,402
Median Year Built
2001
1992
1992
Nearby Places
Map Layers
Listings with unknown addresses are not visible on the map
- Restaurants
- Banks
- Shops
- Fitness
- Groceries
PUBLIC TRANSPORTATION
AIRPORT
Tampa International
Drive
Walk
Distance
Tampa International
56 min
42.0 mi
Freight Ports
Port of Tampa Bay
Drive
Walk
Distance
Port of Tampa Bay
68 min
40.7 mi
Nearby Properties
Address
Land Use
TOTAL SIZE
Lot Size
Zoning
Address
Land Use
TOTAL SIZE
Lot Size
Zoning
154,284 SF
14 AC
Address
Land Use
TOTAL SIZE
Lot Size
Zoning
155,335 SF
16.50 AC
Address
Land Use
TOTAL SIZE
Lot Size
Zoning
97,132 SF
8.50 AC
Address
Land Use
TOTAL SIZE
Lot Size
Zoning
186,711 SF
11.77 AC
Address
Land Use
TOTAL SIZE
Lot Size
Zoning
80,341 SF
9.50 AC
Address
Land Use
TOTAL SIZE
Lot Size
Zoning
114,356 SF
4.34 AC
Address
Land Use
TOTAL SIZE
Lot Size
Zoning
105,534 SF
9.10 AC
Address
Land Use
TOTAL SIZE
Lot Size
Zoning
82,396 SF
4.28 AC
Address
Land Use
TOTAL SIZE
Lot Size
Zoning
125,940 SF
4.92 AC
Address
Land Use
TOTAL SIZE
Lot Size
Zoning
65,581 SF
5.77 AC
C2
Address
Land Use
TOTAL SIZE
Lot Size
Zoning
56,523 SF
7.25 AC
Address
Land Use
TOTAL SIZE
Lot Size
Zoning
80,124 SF
7.40 AC
Address
Land Use
TOTAL SIZE
Lot Size
Zoning
93,227 SF
7.52 AC
Address
Land Use
TOTAL SIZE
Lot Size
Zoning
40,687 SF
4.09 AC
Address
Land Use
TOTAL SIZE
Lot Size
Zoning
32,217 SF
3.12 AC
Address
Land Use
TOTAL SIZE
Lot Size
Zoning
106,899 SF
4.12 AC
Address
Land Use
TOTAL SIZE
Lot Size
Zoning
61,011 SF
3.10 AC
Address
Land Use
TOTAL SIZE
Lot Size
Zoning
43,470 SF
6.20 AC
Address
Land Use
TOTAL SIZE
Lot Size
Zoning
91,166 SF
6.40 AC
Address
Land Use
TOTAL SIZE
Lot Size
Zoning
18,663 SF
1.89 AC
Address
Land Use
TOTAL SIZE
Lot Size
Zoning
9,510 SF
2.03 AC
Address
Land Use
TOTAL SIZE
Lot Size
Zoning
26,128 SF
9 AC
Address
Land Use
TOTAL SIZE
Lot Size
Zoning
23,072 SF
2 AC
Address
Land Use
TOTAL SIZE
Lot Size
Zoning
32,801 SF
4.80 AC
Address
Land Use
TOTAL SIZE
Lot Size
Zoning
62,457 SF
14.74 AC
AR
Address
Land Use
TOTAL SIZE
Lot Size
Zoning
16,030 SF
4.99 AC
AR
Address
Land Use
TOTAL SIZE
Lot Size
Zoning
27,555 SF
2.95 AC
Address
Land Use
TOTAL SIZE
Lot Size
Zoning
25,457 SF
7.60 AC
Address
Land Use
TOTAL SIZE
Lot Size
Zoning
11,178 SF
3.94 AC
C2






