Property Record
105 Green Pasture, Hutto, TX 78634
Property Detail
105 Green Pasture
Austin-Round Rock-San Marcos, TX
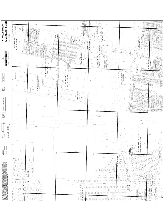
S5847 - GARDEN PARK, SEC 3, LOT 1PT, ACRES 2.406
R340580
Williamson
Industrialgeneral
Texas
B and X Area of moderate flood hazard, usually the area between the limits of the 100-year and 500-year floods.
1
2024
2.41 AC
2025
Georgetown
020817
Austin
16,279 SF
NEARBY LISTINGS FOR SALE OR LEASE
-
-
-
-
-
SE Corner of Innovation Blvd. and Limmer loop
Hutto, TX 78634
Rent Upon Request
102,060 SF
Industrial
-
-
-
View all Hutto listings for sale on LoopNet.com
DEMOGRAPHICS near 105 Green Pasture
1 mile
3 mile
5 mile
2025 Total Population
3,533
75,282
176,121
2030 Population
4,053
86,146
199,245
Pop Growth 2025-2030
+ 14.72%
+ 14.43%
+ 13.13%
Average Age
35
36
36
2025 Total Households
1,157
24,514
59,228
HH Growth 2025-2030
+ 15.21%
+ 14.90%
+ 13.63%
Median Household Inc
$137,705
$132,768
$123,231
Avg Household Size
3.10
3.00
2.90
2025 Avg HH Vehicles
2.00
2.00
2.00
Median Home Value
$452,491
$447,630
$441,396
Median Year Built
2011
2010
2009
Nearby Places
Map Layers
Listings with unknown addresses are not visible on the map
- Restaurants
- Banks
- Shops
- Fitness
- Groceries
PUBLIC TRANSPORTATION
AIRPORT
Austin-Bergstrom International
Drive
Walk
Distance
Austin-Bergstrom International
41 min
32.9 mi
Freight Ports
Calhoun Port
Drive
Walk
Distance
Calhoun Port
201 min
175.8 mi
Nearby Properties
Address
Land Use
TOTAL SIZE
Lot Size
Zoning
Address
Land Use
TOTAL SIZE
Lot Size
Zoning
533,782 SF
79.41 AC
Address
Land Use
TOTAL SIZE
Lot Size
Zoning
425,891 SF
20.85 AC
Address
Land Use
TOTAL SIZE
Lot Size
Zoning
409,416 SF
22.65 AC
Address
Land Use
TOTAL SIZE
Lot Size
Zoning
336,672 SF
15.09 AC
Address
Land Use
TOTAL SIZE
Lot Size
Zoning
302,465 SF
15.79 AC
Address
Land Use
TOTAL SIZE
Lot Size
Zoning
331,584 SF
21.09 AC
Address
Land Use
TOTAL SIZE
Lot Size
Zoning
315,884 SF
15.05 AC
Address
Land Use
TOTAL SIZE
Lot Size
Zoning
253,225 SF
12.25 AC
Address
Land Use
TOTAL SIZE
Lot Size
Zoning
301,721 SF
16.54 AC
Address
Land Use
TOTAL SIZE
Lot Size
Zoning
304,814 SF
17.04 AC
Address
Land Use
TOTAL SIZE
Lot Size
Zoning
308,759 SF
13.93 AC
Address
Land Use
TOTAL SIZE
Lot Size
Zoning
290,840 SF
20.08 AC
Address
Land Use
TOTAL SIZE
Lot Size
Zoning
165,534 SF
26.91 AC
Address
Land Use
TOTAL SIZE
Lot Size
Zoning
76.14 AC
Address
Land Use
TOTAL SIZE
Lot Size
Zoning
230,841 SF
17.51 AC
Address
Land Use
TOTAL SIZE
Lot Size
Zoning
183,310 SF
10.78 AC
Address
Land Use
TOTAL SIZE
Lot Size
Zoning
123,325 SF
14.13 AC
SF2
Address
Land Use
TOTAL SIZE
Lot Size
Zoning
8,640 SF
30.11 AC
RREXP
Address
Land Use
TOTAL SIZE
Lot Size
Zoning
338,229 SF
15.38 AC
Address
Land Use
TOTAL SIZE
Lot Size
Zoning
160,070 SF
13.68 AC
Address
Land Use
TOTAL SIZE
Lot Size
Zoning
195,520 SF
14.89 AC
Address
Land Use
TOTAL SIZE
Lot Size
Zoning
161,782 SF
12.32 AC
Address
Land Use
TOTAL SIZE
Lot Size
Zoning
154,528 SF
7.23 AC
Address
Land Use
TOTAL SIZE
Lot Size
Zoning
220,850 SF
12.06 AC
Address
Land Use
TOTAL SIZE
Lot Size
Zoning
107,588 SF
10.82 AC
Address
Land Use
TOTAL SIZE
Lot Size
Zoning
161,190 SF
8.82 AC
Address
Land Use
TOTAL SIZE
Lot Size
Zoning
215,475 SF
21.31 AC
PUD
Address
Land Use
TOTAL SIZE
Lot Size
Zoning
141,718 SF
24.12 AC
Address
Land Use
TOTAL SIZE
Lot Size
Zoning
535,408 SF
30.16 AC
Address
Land Use
TOTAL SIZE
Lot Size
Zoning
7,000 SF
94.53 AC
LI






