Property Record
1053 W Hamilton Ave, Campbell, CA 95008
Property Detail
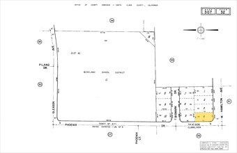
1053 W Hamilton Ave
307-32-004
TRACT 2232 CLARALINDA BOOK 97 PAGE 51 PAGE 53 LOT 33
Multifamilydwelling
Santa Clara
R-2
California
B and X Area of moderate flood hazard, usually the area between the limits of the 100-year and 500-year floods.
33
2024
0.20 AC
2025
West Campbell
506605
South Bay/San Jose
3,240 SF
San Jose-Sunnyvale-Santa Clara, CA
NEARBY LISTINGS FOR SALE OR LEASE
DEMOGRAPHICS near 1053 W Hamilton Ave
1 mile
3 mile
5 mile
2025 Total Population
36,820
225,028
560,382
2030 Population
37,519
230,063
573,672
Pop Growth 2025-2030
+ 1.90%
+ 2.24%
+ 2.37%
Average Age
40
41
41
2025 Total Households
12,985
83,241
204,699
HH Growth 2025-2030
+ 1.83%
+ 2.25%
+ 2.43%
Median Household Inc
$120,027
$148,864
$165,866
Avg Household Size
2.80
2.60
2.70
2025 Avg HH Vehicles
2.00
2.00
2.00
Median Home Value
$1,122,488
$1,122,669
$1,127,334
Median Year Built
1967
1968
1968
Nearby Places
Map Layers
Listings with unknown addresses are not visible on the map
- Restaurants
- Banks
- Shops
- Fitness
- Groceries
PUBLIC TRANSPORTATION
COMMUTER RAIL
Drive
Walk
Distance
12 min
5.7 mi
Drive
Walk
Distance
12 min
5.7 mi
AIRPORT
Norman Y Mineta San Jose International
Drive
Walk
Distance
Norman Y Mineta San Jose International
13 min
7.9 mi
San Francisco International
Drive
Walk
Distance
San Francisco International
48 min
36.8 mi
Metro Oakland International
Drive
Walk
Distance
Metro Oakland International
52 min
41.1 mi
Freight Ports
Port of Redwood City
Drive
Walk
Distance
Port of Redwood City
33 min
23.7 mi
SALE & LEASE HISTORY
LISTING DATE
SALE/LEASE
Nearby Properties
Address
Land Use
TOTAL SIZE
Lot Size
Zoning
Address
Land Use
TOTAL SIZE
Lot Size
Zoning
1,121,228 SF
7.68 AC
RM(PD
Address
Land Use
TOTAL SIZE
Lot Size
Zoning
833,956 SF
55.15 AC
PD
Address
Land Use
TOTAL SIZE
Lot Size
Zoning
4.56 AC
CP
Address
Land Use
TOTAL SIZE
Lot Size
Zoning
252,210 SF
15.85 AC
C2S
Address
Land Use
TOTAL SIZE
Lot Size
Zoning
457,162 SF
3.97 AC
A(PD)
Address
Land Use
TOTAL SIZE
Lot Size
Zoning
617,814 SF
21.96 AC
CG
Address
Land Use
TOTAL SIZE
Lot Size
Zoning
67,435 SF
11.93 AC
C2
Address
Land Use
TOTAL SIZE
Lot Size
Zoning
3.40 AC
APD
Address
Land Use
TOTAL SIZE
Lot Size
Zoning
298,461 SF
5.45 AC
C3H
Address
Land Use
TOTAL SIZE
Lot Size
Zoning
4.75 AC
CP-PD
Address
Land Use
TOTAL SIZE
Lot Size
Zoning
234,622 SF
1.89 AC
A(PD)
Address
Land Use
TOTAL SIZE
Lot Size
Zoning
295,569 SF
30.70 AC
SJ
Address
Land Use
TOTAL SIZE
Lot Size
Zoning
116,953 SF
8.61 AC
C-2
Address
Land Use
TOTAL SIZE
Lot Size
Zoning
16.11 AC
CG
Address
Land Use
TOTAL SIZE
Lot Size
Zoning
279,360 SF
9.04 AC
R3
Address
Land Use
TOTAL SIZE
Lot Size
Zoning
161,375 SF
9.27 AC
PD
Address
Land Use
TOTAL SIZE
Lot Size
Zoning
4.04 AC
CT
Address
Land Use
TOTAL SIZE
Lot Size
Zoning
172,772 SF
3.47 AC
PD
Address
Land Use
TOTAL SIZE
Lot Size
Zoning
148,429 SF
0.97 AC
CMPD
Address
Land Use
TOTAL SIZE
Lot Size
Zoning
814,622 SF
14.57 AC
R3
Address
Land Use
TOTAL SIZE
Lot Size
Zoning
147,459 SF
0.97 AC
CMPD
Address
Land Use
TOTAL SIZE
Lot Size
Zoning
16,520 SF
6.18 AC
CC
Address
Land Use
TOTAL SIZE
Lot Size
Zoning
290,688 SF
8.45 AC
APD
Address
Land Use
TOTAL SIZE
Lot Size
Zoning
209,016 SF
8.50 AC
P-D
Address
Land Use
TOTAL SIZE
Lot Size
Zoning
237,928 SF
12.58 AC
APD
Address
Land Use
TOTAL SIZE
Lot Size
Zoning
129,898 SF
1.49 AC
PMD
Address
Land Use
TOTAL SIZE
Lot Size
Zoning
190,044 SF
3.88 AC
P-D
Address
Land Use
TOTAL SIZE
Lot Size
Zoning
112,470 SF
1 AC
CMPD
Address
Land Use
TOTAL SIZE
Lot Size
Zoning
281,736 SF
9.67 AC
R3








