Property Record
108 N County Line Rd, Elko, GA 31025
NEARBY LISTINGS FOR SALE OR LEASE
Property Detail
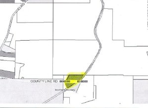
108 N County Line Rd
Warner Robins, GA
27.38 ACRES TRACT B LL211 13LD & LL80 3LD
000680010000
Houston
Privatepreserveopenspacevacantlandforestlandconservation
Georgia
X
80&211
13093C0090D
27.38 AC
2024
Perry/Warner Robins
2024
Other Market Areas
021502
DEMOGRAPHICS near 108 N County Line Rd
1 Mile
3 Mile
5 Mile
2024 Total Population
25
2,030
3,236
2029 Population
23
1,928
3,134
Pop Growth 2024-2029
(8.00%)
(5.02%)
(3.15%)
Average Age
43
43
43
2024 Total Households
9
510
883
HH Growth 2024-2029
(11.11%)
(5.10%)
(2.49%)
Median Household Inc
$34,166
$59,782
$63,913
Avg Household Size
2.00
2.40
2.40
2024 Avg HH Vehicles
2.00
2.00
2.00
Median Home Value
$62,499
$79,866
$88,075
Median Year Built
1973
1975
1976
Nearby Places
Map Layers
- Restaurants
- Banks
- Shops
- Fitness
- Groceries
Nearby Properties
Address
Land Use
TOTAL SIZE
Lot Size
Zoning
Address
Land Use
TOTAL SIZE
Lot Size
Zoning
2,090 SF
44.74 AC
AG
Address
Land Use
TOTAL SIZE
Lot Size
Zoning
796.47 AC
RAG
Address
Land Use
TOTAL SIZE
Lot Size
Zoning
641.90 AC
RAG
Address
Land Use
TOTAL SIZE
Lot Size
Zoning
829.96 AC
RAG
Address
Land Use
TOTAL SIZE
Lot Size
Zoning
29,020 SF
40.40 AC
C-2
Address
Land Use
TOTAL SIZE
Lot Size
Zoning
342.83 AC
RAG
Address
Land Use
TOTAL SIZE
Lot Size
Zoning
439.76 AC
RAG
Address
Land Use
TOTAL SIZE
Lot Size
Zoning
13,128 SF
6.91 AC
C-2
Address
Land Use
TOTAL SIZE
Lot Size
Zoning
15,185 SF
3.20 AC
C-2
Address
Land Use
TOTAL SIZE
Lot Size
Zoning
215 AC
C-2,I
Address
Land Use
TOTAL SIZE
Lot Size
Zoning
1,800 SF
2.13 AC
R-2
Address
Land Use
TOTAL SIZE
Lot Size
Zoning
7,818 SF
0.24 AC
C-1
Address
Land Use
TOTAL SIZE
Lot Size
Zoning
290 AC
I-1
Address
Land Use
TOTAL SIZE
Lot Size
Zoning
10 SF
9.33 AC
R-2
Address
Land Use
TOTAL SIZE
Lot Size
Zoning
188 AC
R-1
Address
Land Use
TOTAL SIZE
Lot Size
Zoning
260 AC
RAG
Address
Land Use
TOTAL SIZE
Lot Size
Zoning
10,580 SF
1 AC
Address
Land Use
TOTAL SIZE
Lot Size
Zoning
185 AC
R-1
Address
Land Use
TOTAL SIZE
Lot Size
Zoning
124.22 AC
RAG
Address
Land Use
TOTAL SIZE
Lot Size
Zoning
23,140 SF
12.90 AC
C-1
Address
Land Use
TOTAL SIZE
Lot Size
Zoning
315.91 AC
RAG
Address
Land Use
TOTAL SIZE
Lot Size
Zoning
8,770 SF
1.50 AC
C-1
Address
Land Use
TOTAL SIZE
Lot Size
Zoning
4,800 SF
2.02 AC
A-F
Address
Land Use
TOTAL SIZE
Lot Size
Zoning
202.50 AC
AG
Address
Land Use
TOTAL SIZE
Lot Size
Zoning
95 AC
RAG
Address
Land Use
TOTAL SIZE
Lot Size
Zoning
176.92 AC
RAG
Address
Land Use
TOTAL SIZE
Lot Size
Zoning
98.81 AC
RAG
Address
Land Use
TOTAL SIZE
Lot Size
Zoning
133.13 AC
RAG
Address
Land Use
TOTAL SIZE
Lot Size
Zoning
221.04 AC
R-1
Address
Land Use
TOTAL SIZE
Lot Size
Zoning
167.06 AC
RAG



