Property Record
1081 Sw Mt Bachelor Dr, Bend, OR 97702
Property Detail
1081 Sw Mt Bachelor Dr
Bend, OR
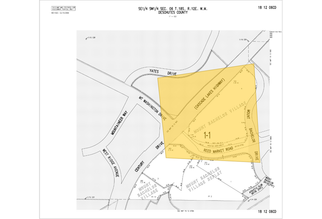
MOUNT BACHELOR VILLAGE LOT 4
206310
DESCHUTES
Commercialacreage
Oregon
MU
4
B and X Area of moderate flood hazard, usually the area between the limits of the 100-year and 500-year floods.
4.87 AC
2025
Deschutes County
2025
Portland
001402
NEARBY LISTINGS FOR SALE OR LEASE
DEMOGRAPHICS near 1081 Sw Mt Bachelor Dr
1 mile
3 mile
5 mile
2025 Total Population
8,107
60,365
106,598
2030 Population
8,534
62,126
109,144
Pop Growth 2025-2030
+ 5.27%
+ 2.92%
+ 2.39%
Average Age
44
41
41
2025 Total Households
3,224
24,922
43,602
HH Growth 2025-2030
+ 5.49%
+ 2.88%
+ 2.37%
Median Household Inc
$122,584
$103,599
$101,638
Avg Household Size
2.40
2.40
2.40
2025 Avg HH Vehicles
2.00
2.00
2.00
Median Home Value
$864,535
$791,347
$759,172
Median Year Built
2002
2001
2000
Nearby Places
Map Layers
Listings with unknown addresses are not visible on the map
- Restaurants
- Banks
- Shops
- Fitness
- Groceries
PUBLIC TRANSPORTATION
AIRPORT
Roberts Field
Drive
Walk
Distance
Roberts Field
30 min
19.0 mi
SALE & LEASE HISTORY
LISTING DATE
SALE/LEASE
Nearby Properties
Address
Land Use
TOTAL SIZE
Lot Size
Zoning
Address
Land Use
TOTAL SIZE
Lot Size
Zoning
3.74 AC
MR
Address
Land Use
TOTAL SIZE
Lot Size
Zoning
25,574 SF
3.74 AC
MR
Address
Land Use
TOTAL SIZE
Lot Size
Zoning
27,863 SF
4.23 AC
MU
Address
Land Use
TOTAL SIZE
Lot Size
Zoning
318,598 SF
9.77 AC
RS
Address
Land Use
TOTAL SIZE
Lot Size
Zoning
166,371 SF
2.52 AC
MU
Address
Land Use
TOTAL SIZE
Lot Size
Zoning
199,892 SF
19.16 AC
CG
Address
Land Use
TOTAL SIZE
Lot Size
Zoning
1.04 AC
CB
Address
Land Use
TOTAL SIZE
Lot Size
Zoning
201,575 SF
1.04 AC
CB
Address
Land Use
TOTAL SIZE
Lot Size
Zoning
165,048 SF
4.68 AC
RM
Address
Land Use
TOTAL SIZE
Lot Size
Zoning
1,248 SF
5.04 AC
RM
Address
Land Use
TOTAL SIZE
Lot Size
Zoning
129,449 SF
2.91 AC
MR
Address
Land Use
TOTAL SIZE
Lot Size
Zoning
46,317 SF
5.67 AC
RM
Address
Land Use
TOTAL SIZE
Lot Size
Zoning
170,218 SF
13.27 AC
RS
Address
Land Use
TOTAL SIZE
Lot Size
Zoning
49,923 SF
18.42 AC
PF
Address
Land Use
TOTAL SIZE
Lot Size
Zoning
132,020 SF
12.11 AC
CG
Address
Land Use
TOTAL SIZE
Lot Size
Zoning
21.41 AC
MU
Address
Land Use
TOTAL SIZE
Lot Size
Zoning
2.17 AC
Address
Land Use
TOTAL SIZE
Lot Size
Zoning
88,619 SF
2.17 AC
ME
Address
Land Use
TOTAL SIZE
Lot Size
Zoning
105,069 SF
4.97 AC
RS
Address
Land Use
TOTAL SIZE
Lot Size
Zoning
164,959 SF
9.30 AC
CG
Address
Land Use
TOTAL SIZE
Lot Size
Zoning
164,959 SF
9.30 AC
CG
Address
Land Use
TOTAL SIZE
Lot Size
Zoning
7.73 AC
MR
Address
Land Use
TOTAL SIZE
Lot Size
Zoning
7.73 AC
MR
Address
Land Use
TOTAL SIZE
Lot Size
Zoning
125,966 SF
8.19 AC
RS
Address
Land Use
TOTAL SIZE
Lot Size
Zoning
89,486 SF
8.32 AC
MR
Address
Land Use
TOTAL SIZE
Lot Size
Zoning
6,321 SF
8.32 AC
MR
Address
Land Use
TOTAL SIZE
Lot Size
Zoning
7,322 SF
8.32 AC
MR
Address
Land Use
TOTAL SIZE
Lot Size
Zoning
86,455 SF
7.55 AC
MU
Address
Land Use
TOTAL SIZE
Lot Size
Zoning
67,972 SF
5.10 AC
MR
Address
Land Use
TOTAL SIZE
Lot Size
Zoning
6.92 AC







