Property Record
10825 Production Ave, Fontana, CA 92337
NEARBY LISTINGS FOR SALE OR LEASE
Property Detail
10825 Production Ave
0255-061-30
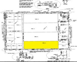
Parcel Map No 16264
Miscellaneous
PARCEL 16 PARCEL MAP 16264 TOGETHER WITH NORTHERLY 70.63 FT PARCEL 15
X
San Bernardino
06065C0045H
California
2024
29.72 AC
2025
Airport Area
002608
Inland Empire (California)
748,560 SF
Riverside-San Bernardino-Ontario, CA
DEMOGRAPHICS near 10825 Production Ave
1 Mile
3 Mile
5 Mile
2024 Total Population
8,433
110,784
316,461
2029 Population
8,510
112,490
323,271
Pop Growth 2024-2029
+ 0.91%
+ 1.54%
+ 2.15%
Average Age
36
35
35
2024 Total Households
2,078
27,756
80,753
HH Growth 2024-2029
+ 0.96%
+ 1.56%
+ 2.09%
Median Household Inc
$87,462
$74,697
$75,185
Avg Household Size
3.90
3.90
3.80
2024 Avg HH Vehicles
3.00
3.00
3.00
Median Home Value
$493,866
$419,561
$413,386
Median Year Built
2000
1979
1981
Nearby Places
Map Layers
- Restaurants
- Banks
- Shops
- Fitness
- Groceries
PUBLIC TRANSPORTATION
COMMUTER RAIL
Fontana (San Bernardino Line - Southern California Regional Rail Authority (Metrolink))
DRIVE
WALK
Distance
Fontana (San Bernardino Line - Southern California Regional Rail Authority (Metrolink))
6 min
3.3 mi
Rialto (San Bernardino Line - Southern California Regional Rail Authority (Metrolink))
DRIVE
WALK
Distance
Rialto (San Bernardino Line - Southern California Regional Rail Authority (Metrolink))
11 min
7.2 mi
AIRPORT
Ontario International
DRIVE
WALK
Distance
Ontario International
16 min
11.4 mi
Freight Ports
Port of Long Beach
DRIVE
WALK
Distance
Port of Long Beach
79 min
63.7 mi
SALE & LEASE HISTORY
LISTING DATE
SALE/LEASE
Nearby Properties
Address
Land Use
TOTAL SIZE
Lot Size
Zoning
Address
Land Use
TOTAL SIZE
Lot Size
Zoning
2,027,688 SF
46.50 AC
Address
Land Use
TOTAL SIZE
Lot Size
Zoning
1,101,400 SF
45.91 AC
Address
Land Use
TOTAL SIZE
Lot Size
Zoning
690,967 SF
33.39 AC
Address
Land Use
TOTAL SIZE
Lot Size
Zoning
1,264,064 SF
64.44 AC
Address
Land Use
TOTAL SIZE
Lot Size
Zoning
444,668 SF
20.74 AC
Address
Land Use
TOTAL SIZE
Lot Size
Zoning
677,280 SF
34.53 AC
BLRS1AA
Address
Land Use
TOTAL SIZE
Lot Size
Zoning
615,310 SF
49.91 AC
Address
Land Use
TOTAL SIZE
Lot Size
Zoning
344,360 SF
17.32 AC
Address
Land Use
TOTAL SIZE
Lot Size
Zoning
1,003,567 SF
42.97 AC
Address
Land Use
TOTAL SIZE
Lot Size
Zoning
436,424 SF
19.04 AC
Address
Land Use
TOTAL SIZE
Lot Size
Zoning
311,363 SF
34.60 AC
BLRS20M
Address
Land Use
TOTAL SIZE
Lot Size
Zoning
401,106 SF
16.91 AC
Address
Land Use
TOTAL SIZE
Lot Size
Zoning
19,440 SF
20.95 AC
M2
Address
Land Use
TOTAL SIZE
Lot Size
Zoning
174,780 SF
8.83 AC
Address
Land Use
TOTAL SIZE
Lot Size
Zoning
282,224 SF
11.91 AC
Address
Land Use
TOTAL SIZE
Lot Size
Zoning
970,747 SF
19.56 AC
Address
Land Use
TOTAL SIZE
Lot Size
Zoning
194,595 SF
8.61 AC
Address
Land Use
TOTAL SIZE
Lot Size
Zoning
325,161 SF
14.49 AC
Address
Land Use
TOTAL SIZE
Lot Size
Zoning
630,784 SF
25.83 AC
Address
Land Use
TOTAL SIZE
Lot Size
Zoning
651,120 SF
28.11 AC
Address
Land Use
TOTAL SIZE
Lot Size
Zoning
261,632 SF
13.16 AC
Address
Land Use
TOTAL SIZE
Lot Size
Zoning
616,501 SF
37.22 AC
Address
Land Use
TOTAL SIZE
Lot Size
Zoning
610,400 SF
27.41 AC
BLIR
Address
Land Use
TOTAL SIZE
Lot Size
Zoning
208,510 SF
47.30 AC
BLIC
Address
Land Use
TOTAL SIZE
Lot Size
Zoning
173,121 SF
7.83 AC
Address
Land Use
TOTAL SIZE
Lot Size
Zoning
1,101,400 SF
45.92 AC
Address
Land Use
TOTAL SIZE
Lot Size
Zoning
508,002 SF
19.78 AC
Address
Land Use
TOTAL SIZE
Lot Size
Zoning
453,020 SF
18.81 AC
Address
Land Use
TOTAL SIZE
Lot Size
Zoning
375,921 SF
17.59 AC




