Property Record
11 E Laurel Dr, Salinas, CA 93906
This Property Is For Sale
Property Detail
11 E Laurel Dr
Salinas, CA
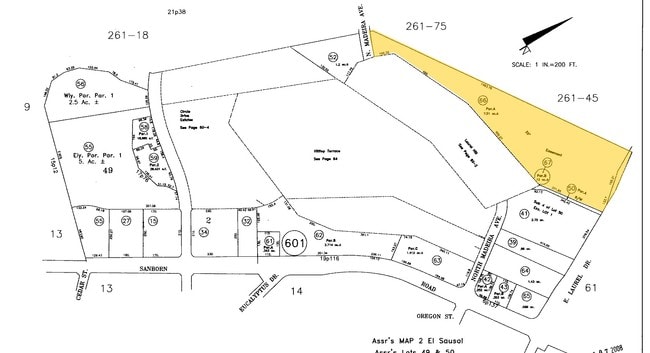
PARCEL A AS DESC IN VOL 22PARCEL MAPS PG. 92 .7.51 AC
004-601-066-000
MONTEREY
Residentialacreage
California
AE The base floodplain where base flood elevations are provided. AE Zones are now used on new format FIRMs instead of A1-A30 Zones.
7.51 AC
2024
Salinas
2025
Salinas
000105
NEARBY LISTINGS FOR SALE OR LEASE
DEMOGRAPHICS near 11 E Laurel Dr
1 mile
3 mile
5 mile
2025 Total Population
38,098
143,476
165,744
2030 Population
37,379
142,079
164,104
Pop Growth 2025-2030
(1.89%)
(0.97%)
(0.99%)
Average Age
32
35
35
2025 Total Households
8,052
36,966
43,418
HH Growth 2025-2030
(2.35%)
(1.24%)
(1.23%)
Median Household Inc
$65,516
$85,024
$85,876
Avg Household Size
4.30
3.70
3.60
2025 Avg HH Vehicles
2.00
2.00
2.00
Median Home Value
$574,054
$680,726
$675,681
Median Year Built
1970
1976
1975
Nearby Places
Map Layers
Listings with unknown addresses are not visible on the map
- Restaurants
- Banks
- Shops
- Fitness
- Groceries
PUBLIC TRANSPORTATION
COMMUTER RAIL
Salinas (Coast Starlight - Amtrak)
Drive
Walk
Distance
Salinas (Coast Starlight - Amtrak)
6 min
2.6 mi
AIRPORT
Monterey Regional
Drive
Walk
Distance
Monterey Regional
24 min
17.8 mi
Freight Ports
Port of Redwood City
Drive
Walk
Distance
Port of Redwood City
99 min
82.7 mi
Nearby Properties
Address
Land Use
TOTAL SIZE
Lot Size
Zoning
Address
Land Use
TOTAL SIZE
Lot Size
Zoning
1.28 AC
Address
Land Use
TOTAL SIZE
Lot Size
Zoning
230,236 SF
15.57 AC
Address
Land Use
TOTAL SIZE
Lot Size
Zoning
1.21 AC
Address
Land Use
TOTAL SIZE
Lot Size
Zoning
4.37 AC
Address
Land Use
TOTAL SIZE
Lot Size
Zoning
13.86 AC
Address
Land Use
TOTAL SIZE
Lot Size
Zoning
156,370 SF
58.55 AC
Address
Land Use
TOTAL SIZE
Lot Size
Zoning
326,236 SF
28.41 AC
Address
Land Use
TOTAL SIZE
Lot Size
Zoning
154,360 SF
19.96 AC
Address
Land Use
TOTAL SIZE
Lot Size
Zoning
303,260 SF
30.31 AC
Address
Land Use
TOTAL SIZE
Lot Size
Zoning
181,089 SF
11 AC
Address
Land Use
TOTAL SIZE
Lot Size
Zoning
75,772 SF
2.04 AC
Address
Land Use
TOTAL SIZE
Lot Size
Zoning
13.86 AC
Address
Land Use
TOTAL SIZE
Lot Size
Zoning
0.09 AC
Address
Land Use
TOTAL SIZE
Lot Size
Zoning
5.54 AC
Address
Land Use
TOTAL SIZE
Lot Size
Zoning
14,960 SF
16.02 AC
Address
Land Use
TOTAL SIZE
Lot Size
Zoning
192,296 SF
15.59 AC
Address
Land Use
TOTAL SIZE
Lot Size
Zoning
66,004 SF
12.03 AC
Address
Land Use
TOTAL SIZE
Lot Size
Zoning
193,480 SF
16.27 AC
Address
Land Use
TOTAL SIZE
Lot Size
Zoning
1.37 AC
Address
Land Use
TOTAL SIZE
Lot Size
Zoning
76,737 SF
3.36 AC
Address
Land Use
TOTAL SIZE
Lot Size
Zoning
1.97 AC
Address
Land Use
TOTAL SIZE
Lot Size
Zoning
89,770 SF
10 AC
Address
Land Use
TOTAL SIZE
Lot Size
Zoning
9.80 AC
Address
Land Use
TOTAL SIZE
Lot Size
Zoning
162,297 SF
12 AC
Address
Land Use
TOTAL SIZE
Lot Size
Zoning
112,816 SF
9.91 AC
Address
Land Use
TOTAL SIZE
Lot Size
Zoning
8.10 AC
Address
Land Use
TOTAL SIZE
Lot Size
Zoning
9.22 AC
Address
Land Use
TOTAL SIZE
Lot Size
Zoning
Address
Land Use
TOTAL SIZE
Lot Size
Zoning
118,797 SF
8.83 AC







