Property Record
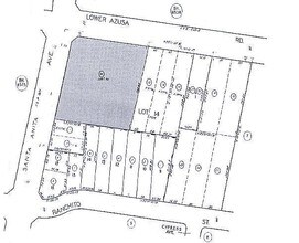
11000 Lower Azusa Rd, El Monte, CA 91731
NEARBY LISTINGS FOR SALE OR LEASE
Property Detail
11000 Lower Azusa Rd
Los Angeles-Long Beach-Glendale, CA
15227
8570-006-036
*TR=E J BALDWIN'S SUB OF LOTS 15 TO 20 AND 29 TO 35 RANCHO SAN FRANCISQUITO *LOT COM N 83 07'40 W 186.71 FT FROM NECOR OF LOT 9 TR NO 15227 TH N 15 31'30 SEE ASSESSOR MAPBOOK FOR MISSING PORTIONTH S 83 07'40 E TO BEG POR OF LOT 14
Regionalshoppingcenterormallwithanchorstore
Los Angeles
X
California
06037C1675F
14
2024
1.88 AC
2025
Western SGV
432401
Los Angeles
25,450 SF
DEMOGRAPHICS near 11000 Lower Azusa Rd
1 Mile
3 Mile
5 Mile
2024 Total Population
28,508
217,007
518,102
2029 Population
27,459
209,000
499,618
Pop Growth 2024-2029
(3.68%)
(3.69%)
(3.57%)
Average Age
42
40
41
2024 Total Households
8,366
61,337
151,477
HH Growth 2024-2029
(3.98%)
(3.94%)
(3.78%)
Median Household Inc
$69,007
$72,930
$77,681
Avg Household Size
3.30
3.40
3.30
2024 Avg HH Vehicles
2.00
2.00
2.00
Median Home Value
$692,823
$772,307
$763,225
Median Year Built
1959
1961
1959
Nearby Places
Map Layers
- Restaurants
- Banks
- Shops
- Fitness
- Groceries
PUBLIC TRANSPORTATION
COMMUTER RAIL
El Monte (San Bernardino Line - Southern California Regional Rail Authority (Metrolink))
DRIVE
WALK
Distance
El Monte (San Bernardino Line - Southern California Regional Rail Authority (Metrolink))
3 min
1.5 mi
Baldwin Park (San Bernardino Line - Southern California Regional Rail Authority (Metrolink))
DRIVE
WALK
Distance
Baldwin Park (San Bernardino Line - Southern California Regional Rail Authority (Metrolink))
9 min
4.7 mi
AIRPORT
Bob Hope
DRIVE
WALK
Distance
Bob Hope
37 min
27.3 mi
Long Beach (Daugherty Field)
DRIVE
WALK
Distance
Long Beach (Daugherty Field)
36 min
27.3 mi
Los Angeles International
DRIVE
WALK
Distance
Los Angeles International
44 min
35.5 mi
Freight Ports
Port of Long Beach
DRIVE
WALK
Distance
Port of Long Beach
43 min
33.0 mi
SALE & LEASE HISTORY
LISTING DATE
SALE/LEASE
Nearby Properties
Address
Land Use
TOTAL SIZE
Lot Size
Zoning
Address
Land Use
TOTAL SIZE
Lot Size
Zoning
1,829,870 SF
24.47 AC
BPCM*
Address
Land Use
TOTAL SIZE
Lot Size
Zoning
665,195 SF
29.38 AC
EMM2*
Address
Land Use
TOTAL SIZE
Lot Size
Zoning
572,320 SF
25.65 AC
EMM2*
Address
Land Use
TOTAL SIZE
Lot Size
Zoning
202,269 SF
4.04 AC
IRM2
Address
Land Use
TOTAL SIZE
Lot Size
Zoning
334,580 SF
8.01 AC
EMM2
Address
Land Use
TOTAL SIZE
Lot Size
Zoning
375,679 SF
39.70 AC
ARM2*
Address
Land Use
TOTAL SIZE
Lot Size
Zoning
355,209 SF
8.98 AC
IDM*
Address
Land Use
TOTAL SIZE
Lot Size
Zoning
268,736 SF
8.98 AC
EMC3*
Address
Land Use
TOTAL SIZE
Lot Size
Zoning
193,192 SF
9.37 AC
EMM2*
Address
Land Use
TOTAL SIZE
Lot Size
Zoning
150,670 SF
6.18 AC
SEM*
Address
Land Use
TOTAL SIZE
Lot Size
Zoning
398,844 SF
21.55 AC
LCM11/2*
Address
Land Use
TOTAL SIZE
Lot Size
Zoning
116,898 SF
4.36 AC
EMR3*
Address
Land Use
TOTAL SIZE
Lot Size
Zoning
328,784 SF
14.73 AC
ARM2*
Address
Land Use
TOTAL SIZE
Lot Size
Zoning
888,572 SF
21.68 AC
IRM2*
Address
Land Use
TOTAL SIZE
Lot Size
Zoning
168,334 SF
7.41 AC
EMM2*
Address
Land Use
TOTAL SIZE
Lot Size
Zoning
121,746 SF
4.91 AC
EMR4*
Address
Land Use
TOTAL SIZE
Lot Size
Zoning
8,691 SF
LCM11/2*
Address
Land Use
TOTAL SIZE
Lot Size
Zoning
85,133 SF
7.04 AC
IRM2
Address
Land Use
TOTAL SIZE
Lot Size
Zoning
95,187 SF
3.10 AC
EMC4*
Address
Land Use
TOTAL SIZE
Lot Size
Zoning
148,834 SF
14.54 AC
EMC3*
Address
Land Use
TOTAL SIZE
Lot Size
Zoning
107,394 SF
4.40 AC
EMR4*
Address
Land Use
TOTAL SIZE
Lot Size
Zoning
99,770 SF
3.67 AC
IDM*
Address
Land Use
TOTAL SIZE
Lot Size
Zoning
189,263 SF
2.81 AC
EMM2*
Address
Land Use
TOTAL SIZE
Lot Size
Zoning
213,932 SF
7.03 AC
EMM2*
Address
Land Use
TOTAL SIZE
Lot Size
Zoning
135,132 SF
12.95 AC
EMM2*
Address
Land Use
TOTAL SIZE
Lot Size
Zoning
168,364 SF
5.52 AC
IDM*
Address
Land Use
TOTAL SIZE
Lot Size
Zoning
456,097 SF
10.62 AC
IRM2S*
Address
Land Use
TOTAL SIZE
Lot Size
Zoning
139,100 SF
6.45 AC
EMM2*
Address
Land Use
TOTAL SIZE
Lot Size
Zoning
324,495 SF
20.11 AC
EMM2*





