Property Record
11089 Main St, New Middletown, OH 44442
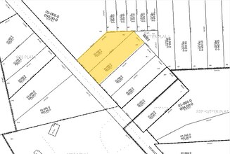
Property Detail
11089 Main St
Youngstown/Warren/Boardman
New Middletown Village
Youngstown-Warren-Boardman, OH-PA
LOT 409 86 X 300 IRR
03-006-0-091.00-0
Mahoning
Recreationalacreage
Ohio
2024
409
2024
0.50 AC
813601
Mahoning County
DEMOGRAPHICS near 11089 Main St
1 Mile
3 Mile
5 Mile
2024 Total Population
1,884
5,443
18,409
2029 Population
1,832
5,289
17,853
Pop Growth 2024-2029
(2.76%)
(2.83%)
(3.02%)
Average Age
45
46
46
2024 Total Households
800
2,286
7,613
HH Growth 2024-2029
(2.88%)
(2.93%)
(3.09%)
Median Household Inc
$63,848
$63,013
$72,760
Avg Household Size
2.30
2.30
2.40
2024 Avg HH Vehicles
2.00
2.00
2.00
Median Home Value
$198,025
$195,980
$212,580
Median Year Built
1973
1974
1973
Nearby Places
Map Layers
- Restaurants
- Banks
- Shops
- Fitness
- Groceries
PUBLIC TRANSPORTATION
AIRPORT
Pittsburgh International
DRIVE
WALK
Distance
Pittsburgh International
62 min
43.1 mi
Nearby Properties
Address
Land Use
TOTAL SIZE
Lot Size
Zoning
Address
Land Use
TOTAL SIZE
Lot Size
Zoning
29,073 SF
7.77 AC
Address
Land Use
TOTAL SIZE
Lot Size
Zoning
110,146 SF
50.48 AC
Address
Land Use
TOTAL SIZE
Lot Size
Zoning
52,847 SF
24.17 AC
Address
Land Use
TOTAL SIZE
Lot Size
Zoning
54,828 SF
10.02 AC
Address
Land Use
TOTAL SIZE
Lot Size
Zoning
50,238 SF
7.66 AC
Address
Land Use
TOTAL SIZE
Lot Size
Zoning
13,423 SF
95.55 AC
Address
Land Use
TOTAL SIZE
Lot Size
Zoning
5,673 SF
4.97 AC
RES
Address
Land Use
TOTAL SIZE
Lot Size
Zoning
15,383 SF
0.60 AC
Address
Land Use
TOTAL SIZE
Lot Size
Zoning
16,566 SF
1.47 AC
Address
Land Use
TOTAL SIZE
Lot Size
Zoning
18.18 AC
Address
Land Use
TOTAL SIZE
Lot Size
Zoning
7,190 SF
80.37 AC
Address
Land Use
TOTAL SIZE
Lot Size
Zoning
28,974 SF
2.67 AC
Address
Land Use
TOTAL SIZE
Lot Size
Zoning
11,148 SF
21.65 AC
Address
Land Use
TOTAL SIZE
Lot Size
Zoning
9,084 SF
160 AC
Address
Land Use
TOTAL SIZE
Lot Size
Zoning
5,796 SF
8.38 AC
Address
Land Use
TOTAL SIZE
Lot Size
Zoning
9,816 SF
31.09 AC
AG
Address
Land Use
TOTAL SIZE
Lot Size
Zoning
6,148 SF
3.55 AC
Address
Land Use
TOTAL SIZE
Lot Size
Zoning
12.57 AC
Address
Land Use
TOTAL SIZE
Lot Size
Zoning
12,367 SF
3.65 AC
Address
Land Use
TOTAL SIZE
Lot Size
Zoning
9,186 SF
54.06 AC
Address
Land Use
TOTAL SIZE
Lot Size
Zoning
27,884 SF
20.72 AC
Address
Land Use
TOTAL SIZE
Lot Size
Zoning
18,808 SF
5.55 AC
Address
Land Use
TOTAL SIZE
Lot Size
Zoning
5,414 SF
11.73 AC
Address
Land Use
TOTAL SIZE
Lot Size
Zoning
3,570 SF
164.09 AC
Address
Land Use
TOTAL SIZE
Lot Size
Zoning
4,800 SF
1.88 AC
Address
Land Use
TOTAL SIZE
Lot Size
Zoning
16,058 SF
11.50 AC
Address
Land Use
TOTAL SIZE
Lot Size
Zoning
3,885 SF
131.62 AC
Address
Land Use
TOTAL SIZE
Lot Size
Zoning
6,675 SF
1.95 AC
Address
Land Use
TOTAL SIZE
Lot Size
Zoning
2,898 SF
98.20 AC
Address
Land Use
TOTAL SIZE
Lot Size
Zoning
6,108 SF
17.37 AC
R1



