Property Record
1140 Tavern Rd, Alpine, CA 91901
Property Detail
1140 Tavern Rd
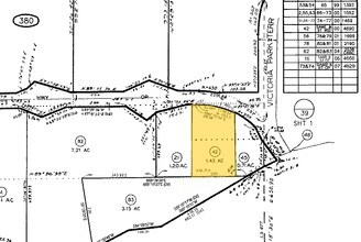
403-380-42
SEC 28-15-2E NWQ (EX DOC99-545490)DOC90-654700 IN NEQ OF
Commercialacreage
San Diego
C44
California
B and X Area of moderate flood hazard, usually the area between the limits of the 100-year and 500-year floods.
1.43 AC
2024
Outlying SD County S
2025
San Diego
021206
San Diego-Chula Vista-Carlsbad, CA
NEARBY LISTINGS FOR SALE OR LEASE
DEMOGRAPHICS near 1140 Tavern Rd
1 mile
3 mile
5 mile
2025 Total Population
4,914
16,114
23,367
2030 Population
4,923
16,130
23,363
Pop Growth 2025-2030
+ 0.18%
+ 0.10%
(0.02%)
Average Age
41
43
43
2025 Total Households
1,814
5,762
8,378
HH Growth 2025-2030
+ 0.11%
(0.05%)
(0.21%)
Median Household Inc
$114,112
$119,267
$118,898
Avg Household Size
2.70
2.70
2.70
2025 Avg HH Vehicles
2.00
2.00
2.00
Median Home Value
$760,729
$826,320
$819,770
Median Year Built
1986
1987
1987
Nearby Places
Map Layers
Listings with unknown addresses are not visible on the map
- Restaurants
- Banks
- Shops
- Fitness
- Groceries
PUBLIC TRANSPORTATION
AIRPORT
San Diego International
Drive
Walk
Distance
San Diego International
38 min
29.6 mi
SALE & LEASE HISTORY
LISTING DATE
SALE/LEASE
Nearby Properties
Address
Land Use
TOTAL SIZE
Lot Size
Zoning
Address
Land Use
TOTAL SIZE
Lot Size
Zoning
30.54 AC
RV
Address
Land Use
TOTAL SIZE
Lot Size
Zoning
72,864 SF
4.50 AC
RM
Address
Land Use
TOTAL SIZE
Lot Size
Zoning
14.05 AC
RU
Address
Land Use
TOTAL SIZE
Lot Size
Zoning
52,525 SF
6.90 AC
C36
Address
Land Use
TOTAL SIZE
Lot Size
Zoning
4.83 AC
RV
Address
Land Use
TOTAL SIZE
Lot Size
Zoning
8.70 AC
RS
Address
Land Use
TOTAL SIZE
Lot Size
Zoning
47,195 SF
3.42 AC
C37
Address
Land Use
TOTAL SIZE
Lot Size
Zoning
57,457 SF
6.91 AC
C36
Address
Land Use
TOTAL SIZE
Lot Size
Zoning
57,350 SF
3.21 AC
RU
Address
Land Use
TOTAL SIZE
Lot Size
Zoning
17,597 SF
21.22 AC
A70
Address
Land Use
TOTAL SIZE
Lot Size
Zoning
31,412 SF
4.09 AC
C34
Address
Land Use
TOTAL SIZE
Lot Size
Zoning
27,288 SF
1.71 AC
ALV1
Address
Land Use
TOTAL SIZE
Lot Size
Zoning
6.04 AC
ALV1
Address
Land Use
TOTAL SIZE
Lot Size
Zoning
12,176 SF
5.12 AC
A70
Address
Land Use
TOTAL SIZE
Lot Size
Zoning
15,748 SF
0.50 AC
C36
Address
Land Use
TOTAL SIZE
Lot Size
Zoning
3.60 AC
RU
Address
Land Use
TOTAL SIZE
Lot Size
Zoning
8,400 SF
5 AC
A70
Address
Land Use
TOTAL SIZE
Lot Size
Zoning
34,303 SF
2.65 AC
C36
Address
Land Use
TOTAL SIZE
Lot Size
Zoning
16,708 SF
2.49 AC
C36
Address
Land Use
TOTAL SIZE
Lot Size
Zoning
49,961 SF
1.25 AC
M52
Address
Land Use
TOTAL SIZE
Lot Size
Zoning
22,104 SF
0.83 AC
ALV1
Address
Land Use
TOTAL SIZE
Lot Size
Zoning
45,678 SF
2.92 AC
RU
Address
Land Use
TOTAL SIZE
Lot Size
Zoning
32,000 SF
2.40 AC
C36
Address
Land Use
TOTAL SIZE
Lot Size
Zoning
2.22 AC
RU
Address
Land Use
TOTAL SIZE
Lot Size
Zoning
2.23 AC
RU
Address
Land Use
TOTAL SIZE
Lot Size
Zoning
26,616 SF
1.98 AC
M52
Address
Land Use
TOTAL SIZE
Lot Size
Zoning
5.44 AC
A70
Address
Land Use
TOTAL SIZE
Lot Size
Zoning
23,720 SF
2.57 AC
C36
Address
Land Use
TOTAL SIZE
Lot Size
Zoning
2,500 SF
8.60 AC
RMH8
Address
Land Use
TOTAL SIZE
Lot Size
Zoning
41,364 SF
1.31 AC
RV








