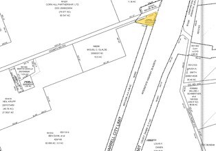
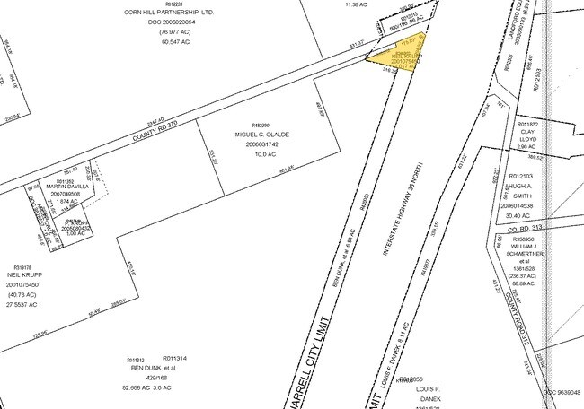
Property Record
11401 N Interstate 35 N, Jarrell, TX 76537
Property Detail
11401 N Interstate 35 N
R346303
AW0054 AW0054 - BUNKER, I. SUR., ACRES 0.081
Taxexempt
WILLIAMSON
B and X Area of moderate flood hazard, usually the area between the limits of the 100-year and 500-year floods.
Texas
0
0.08 AC
2025
Georgetown
021603
Austin
1,200 SF
Austin-Round Rock-San Marcos, TX
NEARBY LISTINGS FOR SALE OR LEASE
DEMOGRAPHICS near 11401 N Interstate 35 N
1 mile
3 mile
5 mile
2025 Total Population
5,146
19,417
21,631
2030 Population
6,041
23,182
25,850
Pop Growth 2025-2030
+ 17.39%
+ 19.39%
+ 19.50%
Average Age
35
36
36
2025 Total Households
1,750
6,675
7,447
HH Growth 2025-2030
+ 17.89%
+ 19.91%
+ 20.02%
Median Household Inc
$98,213
$91,577
$90,361
Avg Household Size
2.90
2.90
2.90
2025 Avg HH Vehicles
2.00
2.00
2.00
Median Home Value
$309,706
$324,361
$333,492
Median Year Built
2011
2011
2011
Nearby Places
Map Layers
Listings with unknown addresses are not visible on the map
- Restaurants
- Banks
- Shops
- Fitness
- Groceries
PUBLIC TRANSPORTATION
AIRPORT
Killeen Municipal
Drive
Walk
Distance
Killeen Municipal
39 min
28.3 mi
Robert Gray AAF
Drive
Walk
Distance
Robert Gray AAF
50 min
36.2 mi
Freight Ports
Port of Houston
Drive
Walk
Distance
Port of Houston
225 min
192.8 mi
Nearby Properties
Address
Land Use
TOTAL SIZE
Lot Size
Zoning
Address
Land Use
TOTAL SIZE
Lot Size
Zoning
19.23 AC
Address
Land Use
TOTAL SIZE
Lot Size
Zoning
253,037 SF
16.36 AC
Address
Land Use
TOTAL SIZE
Lot Size
Zoning
110,565 SF
14.29 AC
Address
Land Use
TOTAL SIZE
Lot Size
Zoning
300,531 SF
15.03 AC
Address
Land Use
TOTAL SIZE
Lot Size
Zoning
132,200 SF
7.92 AC
Address
Land Use
TOTAL SIZE
Lot Size
Zoning
120,837 SF
8.44 AC
Address
Land Use
TOTAL SIZE
Lot Size
Zoning
98,000 SF
74.75 AC
Address
Land Use
TOTAL SIZE
Lot Size
Zoning
29,000 SF
25 AC
Address
Land Use
TOTAL SIZE
Lot Size
Zoning
15.03 AC
Address
Land Use
TOTAL SIZE
Lot Size
Zoning
1,942 SF
17.40 AC
Address
Land Use
TOTAL SIZE
Lot Size
Zoning
20,414 SF
8.27 AC
Address
Land Use
TOTAL SIZE
Lot Size
Zoning
58,543 SF
6.74 AC
Address
Land Use
TOTAL SIZE
Lot Size
Zoning
33.99 AC
Address
Land Use
TOTAL SIZE
Lot Size
Zoning
14,297 SF
6.71 AC
Address
Land Use
TOTAL SIZE
Lot Size
Zoning
15,615 SF
2.39 AC
Address
Land Use
TOTAL SIZE
Lot Size
Zoning
68,261 SF
4.12 AC
Address
Land Use
TOTAL SIZE
Lot Size
Zoning
24.75 AC
Address
Land Use
TOTAL SIZE
Lot Size
Zoning
83,362 SF
10 AC
Address
Land Use
TOTAL SIZE
Lot Size
Zoning
43,852 SF
3 AC
Address
Land Use
TOTAL SIZE
Lot Size
Zoning
21,844 SF
3.25 AC
Address
Land Use
TOTAL SIZE
Lot Size
Zoning
30,996 SF
12.02 AC
Address
Land Use
TOTAL SIZE
Lot Size
Zoning
17.89 AC
Address
Land Use
TOTAL SIZE
Lot Size
Zoning
1,600 SF
221.78 AC
Address
Land Use
TOTAL SIZE
Lot Size
Zoning
20,000 SF
7.90 AC
Address
Land Use
TOTAL SIZE
Lot Size
Zoning
32,220 SF
4 AC
Address
Land Use
TOTAL SIZE
Lot Size
Zoning
16.79 AC
Address
Land Use
TOTAL SIZE
Lot Size
Zoning
25,000 SF
2.99 AC
Address
Land Use
TOTAL SIZE
Lot Size
Zoning
31,850 SF
20 AC
Address
Land Use
TOTAL SIZE
Lot Size
Zoning
24,668 SF
3.41 AC
Address
Land Use
TOTAL SIZE
Lot Size
Zoning
201.67 AC







