Property Record
115 Pa, Blakeslee, PA 18610
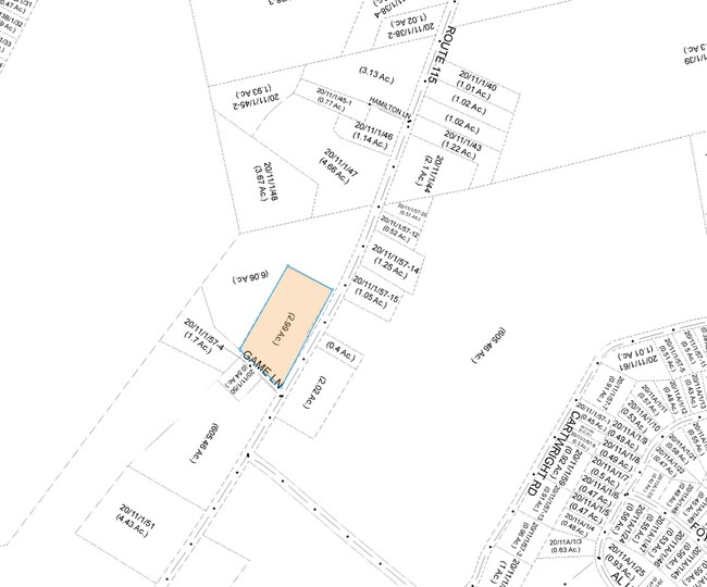
Property Detail
115 Pa
20.11.1.49-1
MONROE
Wholesaleoutletdiscountstore
Pennsylvania
C-2
2.97 AC
2025
Monroe County
2025
Philadelphia
300315
East Stroudsburg, PA
9,425 SF
DEMOGRAPHICS near 115 Pa
1 mile
3 mile
5 mile
2025 Total Population
665
1,574
13,374
2030 Population
690
1,609
13,128
Pop Growth 2025-2030
+ 3.76%
+ 2.22%
(1.84%)
Average Age
46
46
45
2025 Total Households
254
620
5,337
HH Growth 2025-2030
+ 3.54%
+ 1.94%
(2.17%)
Median Household Inc
$47,941
$48,537
$69,537
Avg Household Size
2.60
2.50
2.50
2025 Avg HH Vehicles
2.00
2.00
2.00
Median Home Value
$218,548
$216,935
$248,772
Median Year Built
1991
1989
1987
Nearby Places
Map Layers
Listings with unknown addresses are not visible on the map
- Restaurants
- Banks
- Shops
- Fitness
- Groceries
PUBLIC TRANSPORTATION
AIRPORT
Wilkes-Barre/Scranton International
Drive
Walk
Distance
Wilkes-Barre/Scranton International
47 min
34.8 mi
Lehigh Valley International
Drive
Walk
Distance
Lehigh Valley International
62 min
39.0 mi
Freight Ports
Maher Terminal
Drive
Walk
Distance
Maher Terminal
122 min
96.2 mi
SALE & LEASE HISTORY
LISTING DATE
SALE/LEASE
Nearby Properties
Address
Land Use
TOTAL SIZE
Lot Size
Zoning
Address
Land Use
TOTAL SIZE
Lot Size
Zoning
510,410 SF
65.97 AC
CI
Address
Land Use
TOTAL SIZE
Lot Size
Zoning
10,868 SF
557.17 AC
C-2
Address
Land Use
TOTAL SIZE
Lot Size
Zoning
7,124 SF
3.87 AC
CI
Address
Land Use
TOTAL SIZE
Lot Size
Zoning
6,401 SF
296.09 AC
R-1
Address
Land Use
TOTAL SIZE
Lot Size
Zoning
6,672 SF
13.38 AC
C-2
Address
Land Use
TOTAL SIZE
Lot Size
Zoning
3,000 SF
1.17 AC
C-2
Address
Land Use
TOTAL SIZE
Lot Size
Zoning
695.60 AC
R-1
Address
Land Use
TOTAL SIZE
Lot Size
Zoning
160.86 AC
C-2
Address
Land Use
TOTAL SIZE
Lot Size
Zoning
320 AC
C-2
Address
Land Use
TOTAL SIZE
Lot Size
Zoning
822.60 AC
OS
Address
Land Use
TOTAL SIZE
Lot Size
Zoning
7,563 SF
1.53 AC
C-1
Address
Land Use
TOTAL SIZE
Lot Size
Zoning
9,122 SF
5.74 AC
R-1
Address
Land Use
TOTAL SIZE
Lot Size
Zoning
367 AC
OS-W
Address
Land Use
TOTAL SIZE
Lot Size
Zoning
14,187 SF
8.87 AC
R-1
Address
Land Use
TOTAL SIZE
Lot Size
Zoning
4,704 SF
1.31 AC
C-1
Address
Land Use
TOTAL SIZE
Lot Size
Zoning
336 AC
OS-W
Address
Land Use
TOTAL SIZE
Lot Size
Zoning
3,600 SF
43.95 AC
R-1
Address
Land Use
TOTAL SIZE
Lot Size
Zoning
2.32 AC
Address
Land Use
TOTAL SIZE
Lot Size
Zoning
15,600 SF
3.60 AC
CI
Address
Land Use
TOTAL SIZE
Lot Size
Zoning
98.18 AC
OS-W
Address
Land Use
TOTAL SIZE
Lot Size
Zoning
68.94 AC
C-2
Address
Land Use
TOTAL SIZE
Lot Size
Zoning
4,150 SF
15 AC
C-2
Address
Land Use
TOTAL SIZE
Lot Size
Zoning
4,352 SF
91 AC
R-2
Address
Land Use
TOTAL SIZE
Lot Size
Zoning
5,645 SF
0.48 AC
R-1
Address
Land Use
TOTAL SIZE
Lot Size
Zoning
5,645 SF
0.47 AC
R-1
Address
Land Use
TOTAL SIZE
Lot Size
Zoning
5,645 SF
0.53 AC
R-1
Address
Land Use
TOTAL SIZE
Lot Size
Zoning
5,645 SF
0.46 AC
R-1
Address
Land Use
TOTAL SIZE
Lot Size
Zoning
5,645 SF
0.50 AC
R-1
Address
Land Use
TOTAL SIZE
Lot Size
Zoning
5,645 SF
0.50 AC
R-1







