Property Record
116 Palmer Ct, Dayton, NV 89403
Property Detail
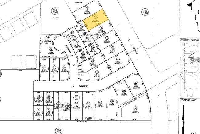
116 Palmer Ct
019-701-02
CREATED FROM SPLIT OF PARCEL # 016-362-09 PRIMARY NEW PARCEL IS PARCEL # 019-702-17 PHEASANT RUN PHASE I
Multifamilydwelling
Lyon
C1
Nevada
B and X Area of moderate flood hazard, usually the area between the limits of the 100-year and 500-year floods.
2
2026
0.21 AC
2025
Lyon County
960303
Reno/Sparks
4,107 SF
Reno, NV
DEMOGRAPHICS near 116 Palmer Ct
1 mile
3 mile
5 mile
2025 Total Population
3,221
9,922
16,547
2030 Population
3,378
10,447
17,451
Pop Growth 2025-2030
+ 4.87%
+ 5.29%
+ 5.46%
Average Age
48
44
44
2025 Total Households
1,352
3,956
6,458
HH Growth 2025-2030
+ 4.81%
+ 5.21%
+ 5.40%
Median Household Inc
$101,468
$90,438
$91,463
Avg Household Size
2.40
2.50
2.50
2025 Avg HH Vehicles
2.00
2.00
2.00
Median Home Value
$484,832
$431,847
$429,200
Median Year Built
2001
2000
2000
Nearby Places
Map Layers
Listings with unknown addresses are not visible on the map
- Restaurants
- Banks
- Shops
- Fitness
- Groceries
PUBLIC TRANSPORTATION
AIRPORT
Reno/Tahoe International
Drive
Walk
Distance
Reno/Tahoe International
69 min
42.6 mi
Freight Ports
Port of Stockton
Drive
Walk
Distance
Port of Stockton
238 min
164.3 mi
Nearby Properties
Address
Land Use
TOTAL SIZE
Lot Size
Zoning
Address
Land Use
TOTAL SIZE
Lot Size
Zoning
619,375 SF
42.46 AC
ME
Address
Land Use
TOTAL SIZE
Lot Size
Zoning
350,286 SF
14.77 AC
ME
Address
Land Use
TOTAL SIZE
Lot Size
Zoning
32,460 SF
37.48 AC
RR5
Address
Land Use
TOTAL SIZE
Lot Size
Zoning
9,804 SF
3.31 AC
MFR
Address
Land Use
TOTAL SIZE
Lot Size
Zoning
184,000 SF
16.63 AC
ME
Address
Land Use
TOTAL SIZE
Lot Size
Zoning
64,532 SF
7 AC
C2
Address
Land Use
TOTAL SIZE
Lot Size
Zoning
47,941 SF
10.33 AC
MULT
Address
Land Use
TOTAL SIZE
Lot Size
Zoning
144,761 SF
11.73 AC
ME
Address
Land Use
TOTAL SIZE
Lot Size
Zoning
38,576 SF
80.45 AC
RR5
Address
Land Use
TOTAL SIZE
Lot Size
Zoning
104,928 SF
10 AC
ME
Address
Land Use
TOTAL SIZE
Lot Size
Zoning
1,579 SF
6.73 AC
C2
Address
Land Use
TOTAL SIZE
Lot Size
Zoning
5,760 SF
3 AC
M1
Address
Land Use
TOTAL SIZE
Lot Size
Zoning
19,934 SF
2.18 AC
C2
Address
Land Use
TOTAL SIZE
Lot Size
Zoning
105,645 SF
6.33 AC
ME
Address
Land Use
TOTAL SIZE
Lot Size
Zoning
20,100 SF
6.58 AC
C1
Address
Land Use
TOTAL SIZE
Lot Size
Zoning
21,119 SF
3.10 AC
C2
Address
Land Use
TOTAL SIZE
Lot Size
Zoning
2,989 SF
3.21 AC
C2
Address
Land Use
TOTAL SIZE
Lot Size
Zoning
15,264 SF
1.60 AC
C2
Address
Land Use
TOTAL SIZE
Lot Size
Zoning
60,610 SF
6 AC
ME
Address
Land Use
TOTAL SIZE
Lot Size
Zoning
9,880 SF
2.31 AC
NR2
Address
Land Use
TOTAL SIZE
Lot Size
Zoning
35,000 SF
3 AC
M1
Address
Land Use
TOTAL SIZE
Lot Size
Zoning
3,600 SF
56.13 AC
MULT
Address
Land Use
TOTAL SIZE
Lot Size
Zoning
37,992 SF
5.03 AC
ME
Address
Land Use
TOTAL SIZE
Lot Size
Zoning
21,349 SF
1.82 AC
C2
Address
Land Use
TOTAL SIZE
Lot Size
Zoning
17.04 AC
C2
Address
Land Use
TOTAL SIZE
Lot Size
Zoning
672 SF
5.37 AC
C2
Address
Land Use
TOTAL SIZE
Lot Size
Zoning
42.04 AC
C2
Address
Land Use
TOTAL SIZE
Lot Size
Zoning
29,290 SF
2 AC
M1
Address
Land Use
TOTAL SIZE
Lot Size
Zoning
15,773 SF
1.80 AC
NR1
Address
Land Use
TOTAL SIZE
Lot Size
Zoning
18,456 SF
1.35 AC
C2







