Property Record
120 Ste Vic Ave, Lancaster, CA 93535
Property Detail
120 Ste Vic Ave
Los Angeles-Long Beach-Glendale, CA
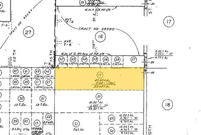
39.4 MORE OR LESS ACS BEING EX OF ST N 1/2 OF N 1/2 OF SE 1/4 OF SEC 34 T 8N R 10W
3310-015-017
LOS ANGELES
Desertorbarrenland
California
LCA21*
34
B and X Area of moderate flood hazard, usually the area between the limits of the 100-year and 500-year floods.
40.01 AC
2024
NE LA County Outlying
2025
Los Angeles
900508
NEARBY LISTINGS FOR SALE OR LEASE
-
-
View all Lancaster listings for sale on LoopNet.com
DEMOGRAPHICS near 120 Ste Vic Ave
1 mile
3 mile
5 mile
2025 Total Population
17
539
1,266
2030 Population
17
563
1,323
Pop Growth 2025-2030
0.00%
+ 4.45%
+ 4.50%
Average Age
40
40
40
2025 Total Households
6
176
419
HH Growth 2025-2030
0.00%
+ 3.98%
+ 4.30%
Median Household Inc
$87,500
$63,928
$61,956
Avg Household Size
2.40
3.00
2.90
2025 Avg HH Vehicles
2.00
3.00
3.00
Median Home Value
$625,000
$446,153
$451,851
Median Year Built
1979
1982
1981
Nearby Places
Map Layers
Listings with unknown addresses are not visible on the map
- Restaurants
- Banks
- Shops
- Fitness
- Groceries
Nearby Properties
Address
Land Use
TOTAL SIZE
Lot Size
Zoning
Address
Land Use
TOTAL SIZE
Lot Size
Zoning
161.53 AC
LCA21*
Address
Land Use
TOTAL SIZE
Lot Size
Zoning
158.96 AC
LCA21*
Address
Land Use
TOTAL SIZE
Lot Size
Zoning
13,447 SF
162.89 AC
LCA21*
Address
Land Use
TOTAL SIZE
Lot Size
Zoning
77.80 AC
LCA21*
Address
Land Use
TOTAL SIZE
Lot Size
Zoning
81.01 AC
LCA21*
Address
Land Use
TOTAL SIZE
Lot Size
Zoning
3,268 SF
19.18 AC
LCA21*
Address
Land Use
TOTAL SIZE
Lot Size
Zoning
79.32 AC
LCA21*
Address
Land Use
TOTAL SIZE
Lot Size
Zoning
158.64 AC
LCA21*
Address
Land Use
TOTAL SIZE
Lot Size
Zoning
4.61 AC
LCA21*
Address
Land Use
TOTAL SIZE
Lot Size
Zoning
80.86 AC
LCA11*
Address
Land Use
TOTAL SIZE
Lot Size
Zoning
11.63 AC
LCA21*
Address
Land Use
TOTAL SIZE
Lot Size
Zoning
120.49 AC
LCA11*
Address
Land Use
TOTAL SIZE
Lot Size
Zoning
32.45 AC
LCA21*
Address
Land Use
TOTAL SIZE
Lot Size
Zoning
40.03 AC
LCA21*
Address
Land Use
TOTAL SIZE
Lot Size
Zoning
20.05 AC
LCA21*
Address
Land Use
TOTAL SIZE
Lot Size
Zoning
41.28 AC
LCA21*
Address
Land Use
TOTAL SIZE
Lot Size
Zoning
2,500 SF
158.69 AC
LCA21*
Address
Land Use
TOTAL SIZE
Lot Size
Zoning
4,030 SF
19.97 AC
LCA21*
Address
Land Use
TOTAL SIZE
Lot Size
Zoning
38.59 AC
LCA21*
Address
Land Use
TOTAL SIZE
Lot Size
Zoning
39.09 AC
LCA21*
Address
Land Use
TOTAL SIZE
Lot Size
Zoning
41.46 AC
LCA21*
Address
Land Use
TOTAL SIZE
Lot Size
Zoning
18.37 AC
LCA21*
Address
Land Use
TOTAL SIZE
Lot Size
Zoning
81.64 AC
LCA21*
Address
Land Use
TOTAL SIZE
Lot Size
Zoning
728 SF
19.96 AC
LCA21*
Address
Land Use
TOTAL SIZE
Lot Size
Zoning
164.95 AC
LCA21*
Address
Land Use
TOTAL SIZE
Lot Size
Zoning
81.06 AC
LCA21*
Address
Land Use
TOTAL SIZE
Lot Size
Zoning
156.23 AC
LCA21*
Address
Land Use
TOTAL SIZE
Lot Size
Zoning
115.48 AC
LCA21*
Address
Land Use
TOTAL SIZE
Lot Size
Zoning
164.78 AC
LCA21*
Address
Land Use
TOTAL SIZE
Lot Size
Zoning
4.76 AC
LCA21*






