Property Record
1214 E 14Th St, Brooklyn, NY 11230
Current Lease Availabilities
Property Detail
1214 E 14Th St
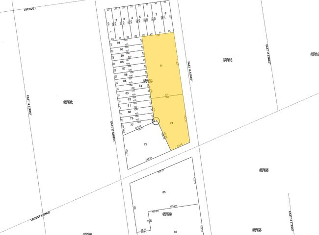
06733-0011
DOCID-2020022600896004ADDL BLK-LOT: 6733-21
Parkinglot
KINGS
M1-1
New York
B and X Area of moderate flood hazard, usually the area between the limits of the 100-year and 500-year floods.
11
2025
0.46 AC
2026
South Brooklyn
053400
Long Island (New York)
20,000 SF
New York-Jersey City-White Plains, NY-NJ
NEARBY LISTINGS FOR SALE OR LEASE
DEMOGRAPHICS near 1214 E 14Th St
1 mile
3 mile
5 mile
2025 Total Population
134,082
1,076,703
1,972,511
2030 Population
134,208
1,052,878
1,940,528
Pop Growth 2025-2030
+ 0.09%
(2.21%)
(1.62%)
Average Age
39
41
40
2025 Total Households
45,135
365,397
714,386
HH Growth 2025-2030
(0.10%)
(2.43%)
(1.81%)
Median Household Inc
$72,657
$72,198
$75,557
Avg Household Size
2.80
2.80
2.60
2025 Avg HH Vehicles
1.00
1.00
1.00
Median Home Value
$952,261
$848,741
$891,043
Median Year Built
1948
1948
1948
Nearby Places
Map Layers
Listings with unknown addresses are not visible on the map
- Restaurants
- Banks
- Shops
- Fitness
- Groceries
PUBLIC TRANSPORTATION
TRANSIT/SUBWAY
Avenue M (Q - New York MTA Subway (The Subway))
Drive
Walk
Distance
Avenue M (Q - New York MTA Subway (The Subway))
1 min
4 min
0.2 mi
Avenue J (Q - New York MTA Subway (The Subway))
Drive
Walk
Distance
Avenue J (Q - New York MTA Subway (The Subway))
3 min
10 min
0.5 mi
Avenue H (Q - New York MTA Subway (The Subway))
Drive
Walk
Distance
Avenue H (Q - New York MTA Subway (The Subway))
5 min
17 min
0.9 mi
Avenue N (F - New York MTA Subway (The Subway))
Drive
Walk
Distance
Avenue N (F - New York MTA Subway (The Subway))
4 min
18 min
0.9 mi
Bay Parkway (F Line) (F - New York MTA Subway (The Subway))
Drive
Walk
Distance
Bay Parkway (F Line) (F - New York MTA Subway (The Subway))
4 min
20 min
1.0 mi
COMMUTER RAIL
Nostrand Avenue Station (Far Rockaway Branch - Long Island Rail Road, Hempstead Branch - Long Island Rail Road, Long Beach Branch - Long Island Rail Road, West Hempstead Branch - Long Island Rail Road)
Drive
Walk
Distance
Nostrand Avenue Station (Far Rockaway Branch - Long Island Rail Road, Hempstead Branch - Long Island Rail Road, Long Beach Branch - Long Island Rail Road, West Hempstead Branch - Long Island Rail Road)
15 min
5.6 mi
Drive
Walk
Distance
14 min
5.7 mi
AIRPORT
John F Kennedy International
Drive
Walk
Distance
John F Kennedy International
25 min
13.7 mi
LaGuardia
Drive
Walk
Distance
LaGuardia
31 min
14.7 mi
Newark Liberty International
Drive
Walk
Distance
Newark Liberty International
36 min
20.6 mi
Freight Ports
NY - Red Hook Container Terminal
Drive
Walk
Distance
NY - Red Hook Container Terminal
12 min
5.9 mi
Nearby Properties
Address
Land Use
TOTAL SIZE
Lot Size
Zoning
Address
Land Use
TOTAL SIZE
Lot Size
Zoning
1,281,577 SF
20.78 AC
M3-1
Address
Land Use
TOTAL SIZE
Lot Size
Zoning
1,503,150 SF
20.47 AC
R5
Address
Land Use
TOTAL SIZE
Lot Size
Zoning
1,078,317 SF
10.45 AC
R4
Address
Land Use
TOTAL SIZE
Lot Size
Zoning
10,250 SF
773.50 AC
PARK
Address
Land Use
TOTAL SIZE
Lot Size
Zoning
965,600 SF
6.65 AC
R5
Address
Land Use
TOTAL SIZE
Lot Size
Zoning
1,061,228 SF
8.86 AC
R5
Address
Land Use
TOTAL SIZE
Lot Size
Zoning
1,073,920 SF
16.53 AC
R6
Address
Land Use
TOTAL SIZE
Lot Size
Zoning
561,945 SF
11.58 AC
R6
Address
Land Use
TOTAL SIZE
Lot Size
Zoning
54.78 AC
PARK
Address
Land Use
TOTAL SIZE
Lot Size
Zoning
335,800 SF
1.51 AC
R6
Address
Land Use
TOTAL SIZE
Lot Size
Zoning
785,450 SF
14.22 AC
R6
Address
Land Use
TOTAL SIZE
Lot Size
Zoning
61.60 AC
PARK
Address
Land Use
TOTAL SIZE
Lot Size
Zoning
393,092 SF
1.07 AC
R8A
Address
Land Use
TOTAL SIZE
Lot Size
Zoning
371,139 SF
3.22 AC
R5
Address
Land Use
TOTAL SIZE
Lot Size
Zoning
301,400 SF
22.27 AC
M3-1
Address
Land Use
TOTAL SIZE
Lot Size
Zoning
308,757 SF
0.74 AC
R7-1
Address
Land Use
TOTAL SIZE
Lot Size
Zoning
222,265 SF
0.74 AC
R6
Address
Land Use
TOTAL SIZE
Lot Size
Zoning
635,994 SF
17.90 AC
R5
Address
Land Use
TOTAL SIZE
Lot Size
Zoning
241,735 SF
1.99 AC
C8-4
Address
Land Use
TOTAL SIZE
Lot Size
Zoning
540,672 SF
10.65 AC
R6
Address
Land Use
TOTAL SIZE
Lot Size
Zoning
139,557 SF
11.47 AC
M1-1
Address
Land Use
TOTAL SIZE
Lot Size
Zoning
7,948 SF
65.50 AC
R4
Address
Land Use
TOTAL SIZE
Lot Size
Zoning
846,056 SF
20.71 AC
R5
Address
Land Use
TOTAL SIZE
Lot Size
Zoning
185,926 SF
0.62 AC
R7-1
Address
Land Use
TOTAL SIZE
Lot Size
Zoning
247,400 SF
4.34 AC
C44A
Address
Land Use
TOTAL SIZE
Lot Size
Zoning
292,528 SF
1.05 AC
R6
Address
Land Use
TOTAL SIZE
Lot Size
Zoning
137,500 SF
2.13 AC
M1-1
Address
Land Use
TOTAL SIZE
Lot Size
Zoning
351,762 SF
1.65 AC
R7A
Address
Land Use
TOTAL SIZE
Lot Size
Zoning
356,000 SF
8.19 AC
R5
Address
Land Use
TOTAL SIZE
Lot Size
Zoning
987,444 SF
21.01 AC
R3-2






