Property Record
12625 Frederick St, Moreno Valley, CA 92553
Property Detail
12625 Frederick St
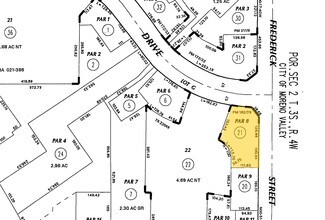
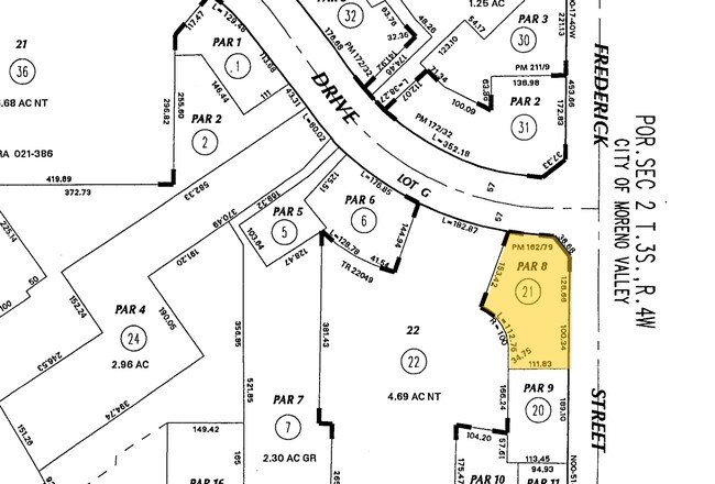
291-570-021
.80 ACRES GRS IN PAR 8 PM 162/079 PM 23748
Restaurantbuilding
Riverside
C1
California
B and X Area of moderate flood hazard, usually the area between the limits of the 100-year and 500-year floods.
8
2024
0.80 AC
2025
Moreno Valley/Perris
042523
Inland Empire (California)
3,105 SF
Riverside-San Bernardino-Ontario, CA
NEARBY LISTINGS FOR SALE OR LEASE
DEMOGRAPHICS near 12625 Frederick St
1 mile
3 mile
5 mile
2025 Total Population
24,575
126,264
241,117
2030 Population
25,036
128,913
246,325
Pop Growth 2025-2030
+ 1.88%
+ 2.10%
+ 2.16%
Average Age
34
35
35
2025 Total Households
6,977
34,684
66,111
HH Growth 2025-2030
+ 1.49%
+ 1.74%
+ 1.81%
Median Household Inc
$78,074
$82,773
$93,075
Avg Household Size
3.30
3.50
3.40
2025 Avg HH Vehicles
2.00
2.00
2.00
Median Home Value
$460,175
$492,784
$583,432
Median Year Built
1987
1985
1987
Nearby Places
Map Layers
Listings with unknown addresses are not visible on the map
- Restaurants
- Banks
- Shops
- Fitness
- Groceries
PUBLIC TRANSPORTATION
COMMUTER RAIL
Moreno Valley/March Field (Metrolink 91-Perris Valley Line - Metrolink Trains)
Drive
Walk
Distance
Moreno Valley/March Field (Metrolink 91-Perris Valley Line - Metrolink Trains)
7 min
3.6 mi
Riverside-Hunter Park/Ucr (Metrolink 91-Perris Valley Line - Metrolink Trains)
Drive
Walk
Distance
Riverside-Hunter Park/Ucr (Metrolink 91-Perris Valley Line - Metrolink Trains)
11 min
7.9 mi
AIRPORT
Ontario International
Drive
Walk
Distance
Ontario International
31 min
24.7 mi
Freight Ports
Port of Long Beach
Drive
Walk
Distance
Port of Long Beach
83 min
63.9 mi
SALE & LEASE HISTORY
LISTING DATE
SALE/LEASE
Nearby Properties
Address
Land Use
TOTAL SIZE
Lot Size
Zoning
Address
Land Use
TOTAL SIZE
Lot Size
Zoning
1,101,504 SF
59.45 AC
Address
Land Use
TOTAL SIZE
Lot Size
Zoning
709,081 SF
33.17 AC
Address
Land Use
TOTAL SIZE
Lot Size
Zoning
617,000 SF
23.91 AC
W2
Address
Land Use
TOTAL SIZE
Lot Size
Zoning
1,280,446 SF
51.47 AC
Address
Land Use
TOTAL SIZE
Lot Size
Zoning
1,012,995 SF
47.62 AC
Address
Land Use
TOTAL SIZE
Lot Size
Zoning
929,918 SF
52.44 AC
Address
Land Use
TOTAL SIZE
Lot Size
Zoning
361,346 SF
18.17 AC
Address
Land Use
TOTAL SIZE
Lot Size
Zoning
607,644 SF
26.09 AC
O
Address
Land Use
TOTAL SIZE
Lot Size
Zoning
596,090 SF
29.17 AC
IP
Address
Land Use
TOTAL SIZE
Lot Size
Zoning
95,047 SF
10.25 AC
Address
Land Use
TOTAL SIZE
Lot Size
Zoning
397,994 SF
19.70 AC
H
Address
Land Use
TOTAL SIZE
Lot Size
Zoning
283,209 SF
16.91 AC
R20
Address
Land Use
TOTAL SIZE
Lot Size
Zoning
302,116 SF
30.19 AC
RA
Address
Land Use
TOTAL SIZE
Lot Size
Zoning
620,533 SF
32.50 AC
Address
Land Use
TOTAL SIZE
Lot Size
Zoning
449,040 SF
18.86 AC
BMP
Address
Land Use
TOTAL SIZE
Lot Size
Zoning
91,891 SF
20.61 AC
R20
Address
Land Use
TOTAL SIZE
Lot Size
Zoning
579,807 SF
30.23 AC
MP
Address
Land Use
TOTAL SIZE
Lot Size
Zoning
430,647 SF
31.09 AC
Address
Land Use
TOTAL SIZE
Lot Size
Zoning
399,615 SF
24.31 AC
Address
Land Use
TOTAL SIZE
Lot Size
Zoning
532,926 SF
24.37 AC
Address
Land Use
TOTAL SIZE
Lot Size
Zoning
38,400 SF
15.73 AC
R3
Address
Land Use
TOTAL SIZE
Lot Size
Zoning
252,504 SF
13.11 AC
SP
Address
Land Use
TOTAL SIZE
Lot Size
Zoning
522,772 SF
26.26 AC
LI
Address
Land Use
TOTAL SIZE
Lot Size
Zoning
37,010 SF
12.13 AC
Address
Land Use
TOTAL SIZE
Lot Size
Zoning
Address
Land Use
TOTAL SIZE
Lot Size
Zoning
663,613 SF
44.28 AC
Address
Land Use
TOTAL SIZE
Lot Size
Zoning
16.39 AC
R3
Address
Land Use
TOTAL SIZE
Lot Size
Zoning
600,000 SF
26.89 AC
W-2
Address
Land Use
TOTAL SIZE
Lot Size
Zoning
134,474 SF
7.99 AC
C2
Address
Land Use
TOTAL SIZE
Lot Size
Zoning
253,025 SF
15.62 AC
R3







