Property Record
1319 W 50 S, Centerville, UT 84014
Current Lease Availabilities
NEARBY LISTINGS FOR SALE OR LEASE
Property Detail
1319 W 50 S
Ogden, UT
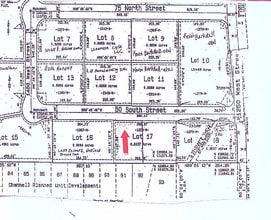
Evergreen Bussiness Park No 2
06-196-0201
ALL OF LOT 201, EVERGREEN BUSINESS PARK NO 2. CONTAINS 0.4569 ACRES
Commercialnec
Davis
X
Utah
49011C0392F
201
2025
0.46 AC
2025
Davis North
126304
Salt Lake City
5,640 SF
DEMOGRAPHICS near 1319 W 50 S
1 Mile
3 Mile
5 Mile
2024 Total Population
7,824
48,296
102,495
2029 Population
8,216
50,635
107,710
Pop Growth 2024-2029
+ 5.01%
+ 4.84%
+ 5.09%
Average Age
37
37
36
2024 Total Households
2,766
16,319
33,234
HH Growth 2024-2029
+ 5.10%
+ 4.93%
+ 5.15%
Median Household Inc
$102,879
$91,541
$98,602
Avg Household Size
2.80
2.90
3.10
2024 Avg HH Vehicles
2.00
2.00
2.00
Median Home Value
$461,956
$453,775
$459,499
Median Year Built
1989
1979
1982
Nearby Places
Map Layers
- Restaurants
- Banks
- Shops
- Fitness
- Groceries
PUBLIC TRANSPORTATION
COMMUTER RAIL
Woods Cross (FrontRunner North - Utah Transit Authority (UTA))
DRIVE
WALK
Distance
Woods Cross (FrontRunner North - Utah Transit Authority (UTA))
7 min
3.8 mi
Farmington (FrontRunner North - Utah Transit Authority (UTA))
DRIVE
WALK
Distance
Farmington (FrontRunner North - Utah Transit Authority (UTA))
8 min
5.8 mi
AIRPORT
Salt Lake City International
DRIVE
WALK
Distance
Salt Lake City International
21 min
15.3 mi
Freight Ports
Port of Stockton
DRIVE
WALK
Distance
Port of Stockton
721 min
705.7 mi
Nearby Properties
Address
Land Use
TOTAL SIZE
Lot Size
Zoning
Address
Land Use
TOTAL SIZE
Lot Size
Zoning
123,416 SF
14.85 AC
R4
Address
Land Use
TOTAL SIZE
Lot Size
Zoning
181,804 SF
24.72 AC
Address
Land Use
TOTAL SIZE
Lot Size
Zoning
168,369 SF
10.14 AC
H
Address
Land Use
TOTAL SIZE
Lot Size
Zoning
113,419 SF
16.45 AC
R4
Address
Land Use
TOTAL SIZE
Lot Size
Zoning
92,796 SF
2.22 AC
DN
Address
Land Use
TOTAL SIZE
Lot Size
Zoning
67,712 SF
4.98 AC
CVH
Address
Land Use
TOTAL SIZE
Lot Size
Zoning
219,598 SF
19.99 AC
CVH
Address
Land Use
TOTAL SIZE
Lot Size
Zoning
113,265 SF
0.55 AC
CG
Address
Land Use
TOTAL SIZE
Lot Size
Zoning
45,956 SF
8.44 AC
Address
Land Use
TOTAL SIZE
Lot Size
Zoning
167,410 SF
12.89 AC
CG
Address
Land Use
TOTAL SIZE
Lot Size
Zoning
532 SF
144.31 AC
A1
Address
Land Use
TOTAL SIZE
Lot Size
Zoning
280,221 SF
30.36 AC
R4
Address
Land Use
TOTAL SIZE
Lot Size
Zoning
167,405 SF
13.81 AC
CVH
Address
Land Use
TOTAL SIZE
Lot Size
Zoning
3,986 SF
13 AC
CG
Address
Land Use
TOTAL SIZE
Lot Size
Zoning
90,104 SF
9.62 AC
CVH
Address
Land Use
TOTAL SIZE
Lot Size
Zoning
66,855 SF
5.84 AC
CVH
Address
Land Use
TOTAL SIZE
Lot Size
Zoning
81,147 SF
4.10 AC
CVH
Address
Land Use
TOTAL SIZE
Lot Size
Zoning
146,381 SF
18.50 AC
PFL
Address
Land Use
TOTAL SIZE
Lot Size
Zoning
72,560 SF
2.32 AC
Address
Land Use
TOTAL SIZE
Lot Size
Zoning
9,747 SF
7.73 AC
R4
Address
Land Use
TOTAL SIZE
Lot Size
Zoning
37,334 SF
9.72 AC
RM19
Address
Land Use
TOTAL SIZE
Lot Size
Zoning
105,770 SF
9.07 AC
IVH
Address
Land Use
TOTAL SIZE
Lot Size
Zoning
61,031 SF
6.82 AC
CVH
Address
Land Use
TOTAL SIZE
Lot Size
Zoning
25,740 SF
54.36 AC
CG
Address
Land Use
TOTAL SIZE
Lot Size
Zoning
1,634 SF
6.72 AC
Address
Land Use
TOTAL SIZE
Lot Size
Zoning
141,732 SF
12.12 AC
CG
Address
Land Use
TOTAL SIZE
Lot Size
Zoning
117,670 SF
5.45 AC
Address
Land Use
TOTAL SIZE
Lot Size
Zoning
143,368 SF
10.45 AC
CG
Address
Land Use
TOTAL SIZE
Lot Size
Zoning
55,311 SF
2.92 AC
CVH
Address
Land Use
TOTAL SIZE
Lot Size
Zoning
42,561 SF
4.81 AC
CG





