Property Record
1321 W 9Th St, San Pedro, CA 90732
This Property Is For Sale
NEARBY LISTINGS FOR SALE OR LEASE
Property Detail
1321 W 9Th St
Los Angeles-Long Beach-Glendale, CA
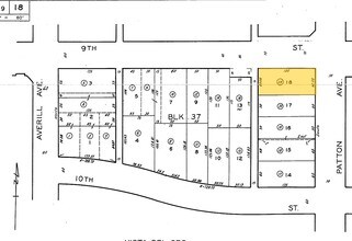
Vista Del Oro Tract
7459-018-023
VISTA DEL ORO LOT 18 BLK 37
Multifamilydwelling
Los Angeles
X
California
06037C2031G
18
2024
0.19 AC
2025
Northwest San Pedro
297002
Los Angeles
5,973 SF
DEMOGRAPHICS near 1321 W 9Th St
1 Mile
3 Mile
5 Mile
2024 Total Population
31,544
96,810
210,182
2029 Population
30,535
94,090
203,917
Pop Growth 2024-2029
(3.20%)
(2.81%)
(2.98%)
Average Age
42
42
41
2024 Total Households
12,163
36,912
74,199
HH Growth 2024-2029
(3.50%)
(3.05%)
(3.18%)
Median Household Inc
$84,866
$87,443
$81,789
Avg Household Size
2.50
2.50
2.70
2024 Avg HH Vehicles
2.00
2.00
2.00
Median Home Value
$802,435
$853,151
$825,309
Median Year Built
1958
1963
1965
Nearby Places
- Restaurants
- Banks
- Shops
- Fitness
- Groceries
PUBLIC TRANSPORTATION
AIRPORT
Long Beach (Daugherty Field)
DRIVE
WALK
Distance
Long Beach (Daugherty Field)
23 min
14.5 mi
Los Angeles International
DRIVE
WALK
Distance
Los Angeles International
29 min
21.4 mi
John Wayne/Orange County
DRIVE
WALK
Distance
John Wayne/Orange County
45 min
34.7 mi
Freight Ports
Port of Los Angeles
DRIVE
WALK
Distance
Port of Los Angeles
14 min
5.6 mi
Nearby Properties
Address
Land Use
TOTAL SIZE
Lot Size
Zoning
Address
Land Use
TOTAL SIZE
Lot Size
Zoning
414,189 SF
2.45 AC
LAC2
Address
Land Use
TOTAL SIZE
Lot Size
Zoning
5,086 SF
255.48 AC
LAM3
Address
Land Use
TOTAL SIZE
Lot Size
Zoning
426,285 SF
LAC2
Address
Land Use
TOTAL SIZE
Lot Size
Zoning
170,000 SF
7.61 AC
LARD1.5
Address
Land Use
TOTAL SIZE
Lot Size
Zoning
759,851 SF
33.72 AC
LAM3
Address
Land Use
TOTAL SIZE
Lot Size
Zoning
191,424 SF
7.71 AC
LARD1.5
Address
Land Use
TOTAL SIZE
Lot Size
Zoning
269,859 SF
11.14 AC
RPRS-4*
Address
Land Use
TOTAL SIZE
Lot Size
Zoning
512,700 SF
20.65 AC
LAM3
Address
Land Use
TOTAL SIZE
Lot Size
Zoning
131,529 SF
9.83 AC
LAM1
Address
Land Use
TOTAL SIZE
Lot Size
Zoning
173,135 SF
2.05 AC
LAC2
Address
Land Use
TOTAL SIZE
Lot Size
Zoning
169,947 SF
1.81 AC
LAC2
Address
Land Use
TOTAL SIZE
Lot Size
Zoning
340,659 SF
15.14 AC
LAM3
Address
Land Use
TOTAL SIZE
Lot Size
Zoning
24,208 SF
11.06 AC
LARD6
Address
Land Use
TOTAL SIZE
Lot Size
Zoning
233.72 AC
LAM3
Address
Land Use
TOTAL SIZE
Lot Size
Zoning
145,530 SF
5.22 AC
LARD2
Address
Land Use
TOTAL SIZE
Lot Size
Zoning
488,488 SF
1.65 AC
LAC2
Address
Land Use
TOTAL SIZE
Lot Size
Zoning
42,313 SF
27.33 AC
LAR1
Address
Land Use
TOTAL SIZE
Lot Size
Zoning
202,027 SF
4.85 AC
LAP
Address
Land Use
TOTAL SIZE
Lot Size
Zoning
202,544 SF
3.59 AC
LCC3*
Address
Land Use
TOTAL SIZE
Lot Size
Zoning
3,440 SF
19.80 AC
LAM3
Address
Land Use
TOTAL SIZE
Lot Size
Zoning
207,282 SF
11.39 AC
LAM3
Address
Land Use
TOTAL SIZE
Lot Size
Zoning
55,726 SF
1.01 AC
LAC2
Address
Land Use
TOTAL SIZE
Lot Size
Zoning
240,782 SF
12.55 AC
LAM1
Address
Land Use
TOTAL SIZE
Lot Size
Zoning
24,208 SF
LARD6
Address
Land Use
TOTAL SIZE
Lot Size
Zoning
195,211 SF
4.77 AC
LAP
Address
Land Use
TOTAL SIZE
Lot Size
Zoning
72,960 SF
1.63 AC
LAC2
Address
Land Use
TOTAL SIZE
Lot Size
Zoning
5,484 SF
3.42 AC
LARD1.5
Address
Land Use
TOTAL SIZE
Lot Size
Zoning
4,570 SF
4.03 AC
LAR4
Address
Land Use
TOTAL SIZE
Lot Size
Zoning
23,000 SF
0.60 AC
LAC2
Address
Land Use
TOTAL SIZE
Lot Size
Zoning
93,612 SF
10.09 AC
LAM1



