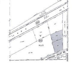
Property Record
13633 Main St, Lemont, IL 60439
Property Detail
13633 Main St
Chicago-Naperville-Elgin, IL-IN-WI
Joseph M Pews Divn Of Pt Lying S Of Il
22-15-200-021-0000
JOSEPH M (PEWS) DIVN OF PT LYING S OF ILLINOIS & MICH IGAN CANAL IN COUNTY CLERKS DIVN OF S FRAC S OF DES PLAINES RIVER SEC 1
Vacantlandnec
Cook
X
Illinois
17043C0287J
3
2023
0.98 AC
2024
South I-55 Corridor
824004
Chicago
DEMOGRAPHICS near 13633 Main St
1 Mile
3 Mile
5 Mile
2024 Total Population
183
22,113
94,127
2029 Population
177
21,512
92,152
Pop Growth 2024-2029
(3.28%)
(2.72%)
(2.10%)
Average Age
48
43
44
2024 Total Households
66
8,274
35,229
HH Growth 2024-2029
(4.55%)
(2.95%)
(2.27%)
Median Household Inc
$89,772
$99,336
$107,916
Avg Household Size
2.50
2.60
2.60
2024 Avg HH Vehicles
2.00
2.00
2.00
Median Home Value
$543,103
$404,017
$386,312
Median Year Built
1988
1987
1984
Nearby Places
Map Layers
- Restaurants
- Banks
- Shops
- Fitness
- Groceries
PUBLIC TRANSPORTATION
COMMUTER RAIL
Lemont Station (Heritage Corridor Line - Northeast Illinois Regional Commuter Railroad (Metra))
DRIVE
WALK
Distance
Lemont Station (Heritage Corridor Line - Northeast Illinois Regional Commuter Railroad (Metra))
6 min
2.8 mi
Willow Springs Station (Heritage Corridor Line - Northeast Illinois Regional Commuter Railroad (Metra))
DRIVE
WALK
Distance
Willow Springs Station (Heritage Corridor Line - Northeast Illinois Regional Commuter Railroad (Metra))
10 min
5.9 mi
AIRPORT
Chicago Midway International
DRIVE
WALK
Distance
Chicago Midway International
24 min
16.2 mi
Chicago O'Hare International
DRIVE
WALK
Distance
Chicago O'Hare International
41 min
27.7 mi
Freight Ports
Port Milwaukee
DRIVE
WALK
Distance
Port Milwaukee
122 min
99.4 mi
SALE & LEASE HISTORY
LISTING DATE
SALE/LEASE
Nearby Properties
Address
Land Use
TOTAL SIZE
Lot Size
Zoning
Address
Land Use
TOTAL SIZE
Lot Size
Zoning
204,824 SF
15.05 AC
Address
Land Use
TOTAL SIZE
Lot Size
Zoning
264,310 SF
12.21 AC
I
Address
Land Use
TOTAL SIZE
Lot Size
Zoning
18.82 AC
Address
Land Use
TOTAL SIZE
Lot Size
Zoning
119,270 SF
7 AC
I
Address
Land Use
TOTAL SIZE
Lot Size
Zoning
97,113 SF
44.53 AC
Address
Land Use
TOTAL SIZE
Lot Size
Zoning
74,782 SF
5.15 AC
Address
Land Use
TOTAL SIZE
Lot Size
Zoning
15.21 AC
Address
Land Use
TOTAL SIZE
Lot Size
Zoning
53,224 SF
4.84 AC
I
Address
Land Use
TOTAL SIZE
Lot Size
Zoning
32,044 SF
4.98 AC
C
Address
Land Use
TOTAL SIZE
Lot Size
Zoning
8.24 AC
Address
Land Use
TOTAL SIZE
Lot Size
Zoning
20,068 SF
24.55 AC
Address
Land Use
TOTAL SIZE
Lot Size
Zoning
1.96 AC
Address
Land Use
TOTAL SIZE
Lot Size
Zoning
39,929 SF
2.46 AC
V
Address
Land Use
TOTAL SIZE
Lot Size
Zoning
22.03 AC
C
Address
Land Use
TOTAL SIZE
Lot Size
Zoning
2.07 AC
Address
Land Use
TOTAL SIZE
Lot Size
Zoning
24,707 SF
2.69 AC
I
Address
Land Use
TOTAL SIZE
Lot Size
Zoning
22,000 SF
5.50 AC
Address
Land Use
TOTAL SIZE
Lot Size
Zoning
26,180 SF
3.01 AC
I
Address
Land Use
TOTAL SIZE
Lot Size
Zoning
16,897 SF
1.76 AC
C
Address
Land Use
TOTAL SIZE
Lot Size
Zoning
25,373 SF
2.39 AC
V
Address
Land Use
TOTAL SIZE
Lot Size
Zoning
12,140 SF
1.72 AC
C
Address
Land Use
TOTAL SIZE
Lot Size
Zoning
1,625 SF
0.82 AC
Address
Land Use
TOTAL SIZE
Lot Size
Zoning
33.02 AC
Address
Land Use
TOTAL SIZE
Lot Size
Zoning
36,110 SF
10.07 AC
Address
Land Use
TOTAL SIZE
Lot Size
Zoning
15,633 SF
2.52 AC
Address
Land Use
TOTAL SIZE
Lot Size
Zoning
0.13 AC
Address
Land Use
TOTAL SIZE
Lot Size
Zoning
4,284 SF
16.10 AC
Address
Land Use
TOTAL SIZE
Lot Size
Zoning
21,054 SF
1.34 AC
Address
Land Use
TOTAL SIZE
Lot Size
Zoning
11,613 SF
0.69 AC
M
Address
Land Use
TOTAL SIZE
Lot Size
Zoning
11,613 SF
0.70 AC
M




