Property Record
14132 Hubbard St, Sylmar, CA 91342
NEARBY LISTINGS FOR SALE OR LEASE
-
-
View all Sylmar listings for sale on LoopNet.com
Property Detail
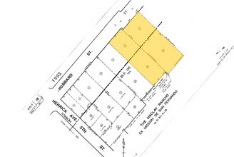
14132 Hubbard St
Los Angeles-Long Beach-Glendale, CA
Maclay Rancho Ex Mission De San Fernando
2517-016-001
THE MACLAY RANCHO THAT PART (EX OF ST) IN L A CITY OF LOT ON SE LINE OF HUBBARD ST COM NE THEREON 500 FT FROM MOST W COR OF BLK 156 TH NE ON SD SE LINE 130 FT TH S 43 0346 E 360 FT TH S 43 0140 W TO N 43 0014 W TO BEG PART OF LOT 156
Hospitalprivate
Los Angeles
X
California
06037C1075G
156
2024
0.41 AC
2025
Eastern SFV
107010
Los Angeles
18,688 SF
DEMOGRAPHICS near 14132 Hubbard St
1 Mile
3 Mile
5 Mile
2024 Total Population
39,280
171,054
360,814
2029 Population
37,862
164,019
347,704
Pop Growth 2024-2029
(3.61%)
(4.11%)
(3.63%)
Average Age
37
38
38
2024 Total Households
10,107
43,119
95,676
HH Growth 2024-2029
(3.78%)
(4.39%)
(3.85%)
Median Household Inc
$70,783
$77,081
$78,545
Avg Household Size
3.70
3.70
3.60
2024 Avg HH Vehicles
2.00
2.00
2.00
Median Home Value
$615,038
$646,131
$679,273
Median Year Built
1963
1965
1966
Nearby Places
Map Layers
- Restaurants
- Banks
- Shops
- Fitness
- Groceries
PUBLIC TRANSPORTATION
COMMUTER RAIL
Sylmar/San Fernando (Antelope Valley Line - Southern California Regional Rail Authority (Metrolink))
DRIVE
WALK
Distance
Sylmar/San Fernando (Antelope Valley Line - Southern California Regional Rail Authority (Metrolink))
2 min
15 min
0.8 mi
Van Nuys (Ventura County Line - Southern California Regional Rail Authority (Metrolink))
DRIVE
WALK
Distance
Van Nuys (Ventura County Line - Southern California Regional Rail Authority (Metrolink))
12 min
7.1 mi
AIRPORT
Bob Hope
DRIVE
WALK
Distance
Bob Hope
15 min
9.0 mi
Los Angeles International
DRIVE
WALK
Distance
Los Angeles International
39 min
28.6 mi
Freight Ports
Port of Long Beach
DRIVE
WALK
Distance
Port of Long Beach
60 min
47.9 mi
Nearby Properties
Address
Land Use
TOTAL SIZE
Lot Size
Zoning
Address
Land Use
TOTAL SIZE
Lot Size
Zoning
237,451 SF
13.93 AC
LAA2
Address
Land Use
TOTAL SIZE
Lot Size
Zoning
124,418 SF
6.80 AC
LAC1
Address
Land Use
TOTAL SIZE
Lot Size
Zoning
302,813 SF
13.10 AC
LAM1
Address
Land Use
TOTAL SIZE
Lot Size
Zoning
Address
Land Use
TOTAL SIZE
Lot Size
Zoning
196,404 SF
10.06 AC
LARD1.5
Address
Land Use
TOTAL SIZE
Lot Size
Zoning
185,568 SF
9.06 AC
LARD1.5
Address
Land Use
TOTAL SIZE
Lot Size
Zoning
182,309 SF
13.98 AC
LAM1
Address
Land Use
TOTAL SIZE
Lot Size
Zoning
169,259 SF
2.56 AC
LAC1
Address
Land Use
TOTAL SIZE
Lot Size
Zoning
176,704 SF
4.10 AC
LAR3
Address
Land Use
TOTAL SIZE
Lot Size
Zoning
176,160 SF
3.19 AC
LAR3
Address
Land Use
TOTAL SIZE
Lot Size
Zoning
Address
Land Use
TOTAL SIZE
Lot Size
Zoning
219,582 SF
13.16 AC
LAM1
Address
Land Use
TOTAL SIZE
Lot Size
Zoning
100,967 SF
11.78 AC
LAP
Address
Land Use
TOTAL SIZE
Lot Size
Zoning
150,041 SF
10.46 AC
LAA2
Address
Land Use
TOTAL SIZE
Lot Size
Zoning
105,541 SF
7.29 AC
LARA
Address
Land Use
TOTAL SIZE
Lot Size
Zoning
146,718 SF
7.36 AC
Address
Land Use
TOTAL SIZE
Lot Size
Zoning
146,718 SF
7.11 AC
SFM
Address
Land Use
TOTAL SIZE
Lot Size
Zoning
154,575 SF
12.20 AC
LAM3
Address
Land Use
TOTAL SIZE
Lot Size
Zoning
120,590 SF
9.52 AC
SFM2-C1P*
Address
Land Use
TOTAL SIZE
Lot Size
Zoning
179,394 SF
6.44 AC
LAC1
Address
Land Use
TOTAL SIZE
Lot Size
Zoning
108,012 SF
6.40 AC
LAR3
Address
Land Use
TOTAL SIZE
Lot Size
Zoning
140,411 SF
10.79 AC
LAM3
Address
Land Use
TOTAL SIZE
Lot Size
Zoning
44,480 SF
2.72 AC
LAM2
Address
Land Use
TOTAL SIZE
Lot Size
Zoning
110,096 SF
6.14 AC
LAM2
Address
Land Use
TOTAL SIZE
Lot Size
Zoning
99,966 SF
4.53 AC
LAM1
Address
Land Use
TOTAL SIZE
Lot Size
Zoning
138,229 SF
4.67 AC
SFM2*
Address
Land Use
TOTAL SIZE
Lot Size
Zoning
85,301 SF
2.29 AC
LARD2
Address
Land Use
TOTAL SIZE
Lot Size
Zoning
50,424 SF
3.32 AC
LAR3



