Property Record
1423 11Th St, Reedley, CA 93654
Property Detail
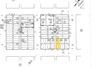
1423 11Th St
368-173-21
LOTS 16 AND D BLK 18 REEDLEY
Officebuilding
Fresno
CC
California
B and X Area of moderate flood hazard, usually the area between the limits of the 100-year and 500-year floods.
16
2025
0.14 AC
2025
E Outlying Fresno County
006602
Fresno
3,120 SF
Fresno, CA
NEARBY LISTINGS FOR SALE OR LEASE
-
-
View all Reedley listings for sale on LoopNet.com
DEMOGRAPHICS near 1423 11Th St
1 mile
3 mile
5 mile
2025 Total Population
19,453
28,946
51,469
2030 Population
19,702
29,479
52,350
Pop Growth 2025-2030
+ 1.28%
+ 1.84%
+ 1.71%
Average Age
36
36
36
2025 Total Households
5,433
8,131
14,444
HH Growth 2025-2030
+ 1.23%
+ 1.89%
+ 1.72%
Median Household Inc
$60,115
$66,866
$68,098
Avg Household Size
3.50
3.50
3.50
2025 Avg HH Vehicles
2.00
2.00
2.00
Median Home Value
$333,754
$357,285
$339,220
Median Year Built
1979
1984
1980
Nearby Places
Map Layers
Listings with unknown addresses are not visible on the map
- Restaurants
- Banks
- Shops
- Fitness
- Groceries
PUBLIC TRANSPORTATION
AIRPORT
Fresno Yosemite International
Drive
Walk
Distance
Fresno Yosemite International
39 min
26.5 mi
Freight Ports
Port of Stockton
Drive
Walk
Distance
Port of Stockton
181 min
150.9 mi
Nearby Properties
Address
Land Use
TOTAL SIZE
Lot Size
Zoning
Address
Land Use
TOTAL SIZE
Lot Size
Zoning
102,882 SF
17.20 AC
AE20
Address
Land Use
TOTAL SIZE
Lot Size
Zoning
220,134 SF
25.94 AC
AE20
Address
Land Use
TOTAL SIZE
Lot Size
Zoning
379,550 SF
28.55 AC
MP
Address
Land Use
TOTAL SIZE
Lot Size
Zoning
89,902 SF
32.05 AC
AE20
Address
Land Use
TOTAL SIZE
Lot Size
Zoning
178,455 SF
9 AC
RM2
Address
Land Use
TOTAL SIZE
Lot Size
Zoning
196,548 SF
9.81 AC
R2P
Address
Land Use
TOTAL SIZE
Lot Size
Zoning
86,883 SF
9.37 AC
RCO
Address
Land Use
TOTAL SIZE
Lot Size
Zoning
68,550 SF
12.58 AC
MP
Address
Land Use
TOTAL SIZE
Lot Size
Zoning
122,985 SF
6.32 AC
AL20
Address
Land Use
TOTAL SIZE
Lot Size
Zoning
102,803 SF
5.61 AC
RM3
Address
Land Use
TOTAL SIZE
Lot Size
Zoning
68,453 SF
4.35 AC
RMSP
Address
Land Use
TOTAL SIZE
Lot Size
Zoning
95,562 SF
4.62 AC
R3
Address
Land Use
TOTAL SIZE
Lot Size
Zoning
57,608 SF
44.37 AC
AE-20
Address
Land Use
TOTAL SIZE
Lot Size
Zoning
62,142 SF
4.18 AC
RM2
Address
Land Use
TOTAL SIZE
Lot Size
Zoning
22,834 SF
6.66 AC
MP
Address
Land Use
TOTAL SIZE
Lot Size
Zoning
40,041 SF
4.56 AC
AL20
Address
Land Use
TOTAL SIZE
Lot Size
Zoning
19,944 SF
18.76 AC
AE20
Address
Land Use
TOTAL SIZE
Lot Size
Zoning
59,906 SF
0.78 AC
RM2
Address
Land Use
TOTAL SIZE
Lot Size
Zoning
24,521 SF
2.81 AC
R1
Address
Land Use
TOTAL SIZE
Lot Size
Zoning
22,177 SF
1.99 AC
AL20
Address
Land Use
TOTAL SIZE
Lot Size
Zoning
83,071 SF
12.05 AC
MP
Address
Land Use
TOTAL SIZE
Lot Size
Zoning
109,673 SF
21.35 AC
AE20
Address
Land Use
TOTAL SIZE
Lot Size
Zoning
70,996 SF
5.72 AC
CC
Address
Land Use
TOTAL SIZE
Lot Size
Zoning
82,994 SF
38.50 AC
AE20
Address
Land Use
TOTAL SIZE
Lot Size
Zoning
26,292 SF
2.55 AC
CC
Address
Land Use
TOTAL SIZE
Lot Size
Zoning
22,064 SF
2.22 AC
RM2
Address
Land Use
TOTAL SIZE
Lot Size
Zoning
77,845 SF
7.82 AC
CC
Address
Land Use
TOTAL SIZE
Lot Size
Zoning
51,688 SF
1.43 AC
C2
Address
Land Use
TOTAL SIZE
Lot Size
Zoning
9,018 SF
19.08 AC
MH








