Property Record
1483 W 800 S, Mapleton, UT 84664
Property Detail
1483 W 800 S
Provo-Orem-Lehi, UT
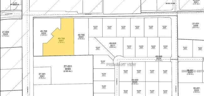
LOT 1, PLAT B, PHEASANT VIEW SUB AREA 1.598 AC.
49-768-0001
Utah
Continuumofcareseniorsfacility
Utah
2024
1
2025
1.60 AC
010305
Utah County
49,722 SF
Salt Lake City
DEMOGRAPHICS near 1483 W 800 S
1 mile
3 mile
5 mile
2025 Total Population
7,538
69,175
101,697
2030 Population
8,556
76,333
111,995
Pop Growth 2025-2030
+ 13.50%
+ 10.35%
+ 10.13%
Average Age
32
33
33
2025 Total Households
1,899
18,700
28,391
HH Growth 2025-2030
+ 14.27%
+ 11.02%
+ 10.79%
Median Household Inc
$123,846
$110,033
$103,781
Avg Household Size
4.00
3.70
3.60
2025 Avg HH Vehicles
3.00
3.00
3.00
Median Home Value
$748,293
$606,895
$549,617
Median Year Built
2010
2002
2001
Nearby Places
Map Layers
Listings with unknown addresses are not visible on the map
- Restaurants
- Banks
- Shops
- Fitness
- Groceries
PUBLIC TRANSPORTATION
COMMUTER RAIL
Drive
Walk
Distance
15 min
9.7 mi
Drive
Walk
Distance
16 min
9.7 mi
AIRPORT
Provo Municipal
Drive
Walk
Distance
Provo Municipal
19 min
11.6 mi
Nearby Properties
Address
Land Use
TOTAL SIZE
Lot Size
Zoning
Address
Land Use
TOTAL SIZE
Lot Size
Zoning
44,552 SF
29.78 AC
Address
Land Use
TOTAL SIZE
Lot Size
Zoning
243,888 SF
32.23 AC
Address
Land Use
TOTAL SIZE
Lot Size
Zoning
159,679 SF
12.91 AC
Address
Land Use
TOTAL SIZE
Lot Size
Zoning
322,432 SF
29.36 AC
Address
Land Use
TOTAL SIZE
Lot Size
Zoning
149,046 SF
12.10 AC
Address
Land Use
TOTAL SIZE
Lot Size
Zoning
124,255 SF
9.87 AC
Address
Land Use
TOTAL SIZE
Lot Size
Zoning
112,094 SF
10.34 AC
Address
Land Use
TOTAL SIZE
Lot Size
Zoning
181,993 SF
5.01 AC
Address
Land Use
TOTAL SIZE
Lot Size
Zoning
71,691 SF
5.52 AC
Address
Land Use
TOTAL SIZE
Lot Size
Zoning
96,879 SF
7.91 AC
Address
Land Use
TOTAL SIZE
Lot Size
Zoning
82,610 SF
2.46 AC
Address
Land Use
TOTAL SIZE
Lot Size
Zoning
82,610 SF
2.02 AC
Address
Land Use
TOTAL SIZE
Lot Size
Zoning
110,762 SF
6.08 AC
Address
Land Use
TOTAL SIZE
Lot Size
Zoning
62,203 SF
2.13 AC
Address
Land Use
TOTAL SIZE
Lot Size
Zoning
37,031 SF
4.73 AC
Address
Land Use
TOTAL SIZE
Lot Size
Zoning
51,530 SF
4.58 AC
Address
Land Use
TOTAL SIZE
Lot Size
Zoning
51,611 SF
9.81 AC
Address
Land Use
TOTAL SIZE
Lot Size
Zoning
89,591 SF
9.01 AC
Address
Land Use
TOTAL SIZE
Lot Size
Zoning
89,597 SF
5.92 AC
Address
Land Use
TOTAL SIZE
Lot Size
Zoning
14,844 SF
1.76 AC
Address
Land Use
TOTAL SIZE
Lot Size
Zoning
132,136 SF
6.52 AC
Address
Land Use
TOTAL SIZE
Lot Size
Zoning
61,727 SF
5.30 AC
I1
Address
Land Use
TOTAL SIZE
Lot Size
Zoning
49,436 SF
6.30 AC
Address
Land Use
TOTAL SIZE
Lot Size
Zoning
69,508 SF
4.24 AC
Address
Land Use
TOTAL SIZE
Lot Size
Zoning
88,763 SF
5.89 AC
Address
Land Use
TOTAL SIZE
Lot Size
Zoning
55,329 SF
3.84 AC
Address
Land Use
TOTAL SIZE
Lot Size
Zoning
42,092 SF
10 AC
Address
Land Use
TOTAL SIZE
Lot Size
Zoning
18,948 SF
0.21 AC
Address
Land Use
TOTAL SIZE
Lot Size
Zoning
48,880 SF
2.20 AC
Address
Land Use
TOTAL SIZE
Lot Size
Zoning
41,305 SF
1.90 AC







