Property Record
1500 N Us Highway 1, Tequesta, FL 33469
NEARBY LISTINGS FOR SALE OR LEASE
Property Detail
1500 N Us Highway 1
West Palm Beach-Boca Raton-Delray Beach, FL
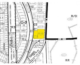
Supplemental Plat
30-43-40-31-06-002-0069
POTTER SURVEY GOV LT 2 LT 5 LYG E OF & ADJ TO OLD DIXIE HWY (LESS NLY 911.34 FT & SR 707 R/W)
Retailwithmorethanonenonretailuse
Palm Beach
X
Florida
12099C0179F
2,5
2024
1.07 AC
2025
Jupiter
000102
South Florida
8,218 SF
DEMOGRAPHICS near 1500 N Us Highway 1
1 Mile
3 Mile
5 Mile
2024 Total Population
7,545
46,377
91,017
2029 Population
8,068
49,279
95,350
Pop Growth 2024-2029
+ 6.93%
+ 6.26%
+ 4.76%
Average Age
51
50
47
2024 Total Households
3,575
20,811
39,191
HH Growth 2024-2029
+ 6.88%
+ 6.70%
+ 4.91%
Median Household Inc
$85,782
$93,123
$99,045
Avg Household Size
2.10
2.10
2.20
2024 Avg HH Vehicles
2.00
2.00
2.00
Median Home Value
$479,036
$497,427
$498,255
Median Year Built
1982
1984
1987
Nearby Places
Map Layers
- Restaurants
- Banks
- Shops
- Fitness
- Groceries
PUBLIC TRANSPORTATION
AIRPORT
Palm Beach International
DRIVE
WALK
Distance
Palm Beach International
34 min
22.0 mi
Freight Ports
Port of Palm Beach
DRIVE
WALK
Distance
Port of Palm Beach
26 min
13.2 mi
Nearby Properties
Address
Land Use
TOTAL SIZE
Lot Size
Zoning
Address
Land Use
TOTAL SIZE
Lot Size
Zoning
518,371 SF
27.36 AC
MC
Address
Land Use
TOTAL SIZE
Lot Size
Zoning
383,361 SF
24.88 AC
R3
Address
Land Use
TOTAL SIZE
Lot Size
Zoning
46,972 SF
3.15 AC
R-3
Address
Land Use
TOTAL SIZE
Lot Size
Zoning
367,095 SF
50.80 AC
PI
Address
Land Use
TOTAL SIZE
Lot Size
Zoning
136,141 SF
7.47 AC
R3
Address
Land Use
TOTAL SIZE
Lot Size
Zoning
3,022 SF
34.81 AC
RS
Address
Land Use
TOTAL SIZE
Lot Size
Zoning
34,908 SF
49.67 AC
PI
Address
Land Use
TOTAL SIZE
Lot Size
Zoning
184,686 SF
15.92 AC
I3
Address
Land Use
TOTAL SIZE
Lot Size
Zoning
189,349 SF
13.34 AC
I2
Address
Land Use
TOTAL SIZE
Lot Size
Zoning
45,000 SF
2.29 AC
R-3
Address
Land Use
TOTAL SIZE
Lot Size
Zoning
190,348 SF
6.52 AC
US-1/ICW
Address
Land Use
TOTAL SIZE
Lot Size
Zoning
143,460 SF
18.72 AC
PI
Address
Land Use
TOTAL SIZE
Lot Size
Zoning
241,373 SF
11.61 AC
I1
Address
Land Use
TOTAL SIZE
Lot Size
Zoning
165,992 SF
4.68 AC
US-1/ICW
Address
Land Use
TOTAL SIZE
Lot Size
Zoning
152,592 SF
9.81 AC
WGC
Address
Land Use
TOTAL SIZE
Lot Size
Zoning
208,493 SF
24.68 AC
C2
Address
Land Use
TOTAL SIZE
Lot Size
Zoning
6,015 SF
74.59 AC
PI
Address
Land Use
TOTAL SIZE
Lot Size
Zoning
140,490 SF
11.37 AC
C2
Address
Land Use
TOTAL SIZE
Lot Size
Zoning
6,903 SF
21.46 AC
PO
Address
Land Use
TOTAL SIZE
Lot Size
Zoning
119,351 SF
11.70 AC
C2
Address
Land Use
TOTAL SIZE
Lot Size
Zoning
64,072 SF
121.29 AC
R2
Address
Land Use
TOTAL SIZE
Lot Size
Zoning
56,548 SF
5.54 AC
C2
Address
Land Use
TOTAL SIZE
Lot Size
Zoning
4,153 SF
9.74 AC
R3
Address
Land Use
TOTAL SIZE
Lot Size
Zoning
163,127 SF
13.94 AC
C2
Address
Land Use
TOTAL SIZE
Lot Size
Zoning
110,628 SF
12.10 AC
C-2
Address
Land Use
TOTAL SIZE
Lot Size
Zoning
114,225 SF
2.39 AC
M-U
Address
Land Use
TOTAL SIZE
Lot Size
Zoning
139,785 SF
17.82 AC
C2
Address
Land Use
TOTAL SIZE
Lot Size
Zoning
4.10 AC
B40
Address
Land Use
TOTAL SIZE
Lot Size
Zoning
51,630 SF
1.05 AC
US-1/ICW
Address
Land Use
TOTAL SIZE
Lot Size
Zoning
75,226 SF
5.56 AC
C-2




