Property Record
15083 W Jensen Ave, Kerman, CA 93630
Property Detail
15083 W Jensen Ave
Fresno, CA
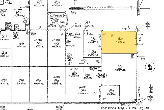
SUR RTS 99.62 AC IN N5/8 OF NE1/4 SEC 24 T14R17
020-042-44S
FRESNO
Orchard
California
B and X Area of moderate flood hazard, usually the area between the limits of the 100-year and 500-year floods.
99.62 AC
2025
W Outlying Fresno County
2025
Fresno
004004
NEARBY LISTINGS FOR SALE OR LEASE
-
-
View all Kerman listings for sale on LoopNet.com
DEMOGRAPHICS near 15083 W Jensen Ave
1 mile
3 mile
5 mile
2025 Total Population
200
18,277
20,139
2030 Population
198
18,644
20,486
Pop Growth 2025-2030
(1.00%)
+ 2.01%
+ 1.72%
Average Age
36
35
35
2025 Total Households
59
5,066
5,605
HH Growth 2025-2030
0.00%
+ 2.03%
+ 1.73%
Median Household Inc
$74,999
$60,425
$61,999
Avg Household Size
3.40
3.60
3.60
2025 Avg HH Vehicles
2.00
2.00
2.00
Median Home Value
$427,778
$373,763
$378,958
Median Year Built
1982
1994
1992
Nearby Places
Map Layers
Listings with unknown addresses are not visible on the map
- Restaurants
- Banks
- Shops
- Fitness
- Groceries
PUBLIC TRANSPORTATION
AIRPORT
Fresno Yosemite International
Drive
Walk
Distance
Fresno Yosemite International
32 min
22.8 mi
Freight Ports
Port of Stockton
Drive
Walk
Distance
Port of Stockton
152 min
123.4 mi
Nearby Properties
Address
Land Use
TOTAL SIZE
Lot Size
Zoning
Address
Land Use
TOTAL SIZE
Lot Size
Zoning
477,340 SF
21.45 AC
Address
Land Use
TOTAL SIZE
Lot Size
Zoning
151,227 SF
17.22 AC
C6
Address
Land Use
TOTAL SIZE
Lot Size
Zoning
29,746 SF
39.10 AC
AE20
Address
Land Use
TOTAL SIZE
Lot Size
Zoning
65,017 SF
4.38 AC
R2
Address
Land Use
TOTAL SIZE
Lot Size
Zoning
82,656 SF
6.76 AC
R2
Address
Land Use
TOTAL SIZE
Lot Size
Zoning
63,187 SF
3.87 AC
R3
Address
Land Use
TOTAL SIZE
Lot Size
Zoning
63,187 SF
3.90 AC
R3
Address
Land Use
TOTAL SIZE
Lot Size
Zoning
92,979 SF
5.73 AC
R1
Address
Land Use
TOTAL SIZE
Lot Size
Zoning
90,082 SF
9.12 AC
C2
Address
Land Use
TOTAL SIZE
Lot Size
Zoning
70,786 SF
5.46 AC
SDR2
Address
Land Use
TOTAL SIZE
Lot Size
Zoning
16,000 SF
2.08 AC
Address
Land Use
TOTAL SIZE
Lot Size
Zoning
28.36 AC
M2
Address
Land Use
TOTAL SIZE
Lot Size
Zoning
140,790 SF
42.01 AC
AE20
Address
Land Use
TOTAL SIZE
Lot Size
Zoning
16,834 SF
0.96 AC
CG
Address
Land Use
TOTAL SIZE
Lot Size
Zoning
1,154 SF
91.23 AC
AE20
Address
Land Use
TOTAL SIZE
Lot Size
Zoning
18,340 SF
1.21 AC
CG
Address
Land Use
TOTAL SIZE
Lot Size
Zoning
64,484 SF
13.62 AC
M1
Address
Land Use
TOTAL SIZE
Lot Size
Zoning
129,750 SF
12.52 AC
M2
Address
Land Use
TOTAL SIZE
Lot Size
Zoning
13,225 SF
1.67 AC
C5
Address
Land Use
TOTAL SIZE
Lot Size
Zoning
166,410 SF
9.80 AC
M2
Address
Land Use
TOTAL SIZE
Lot Size
Zoning
35,160 SF
3.45 AC
RM
Address
Land Use
TOTAL SIZE
Lot Size
Zoning
31,484 SF
3.03 AC
R2
Address
Land Use
TOTAL SIZE
Lot Size
Zoning
15,447 SF
1.95 AC
Address
Land Use
TOTAL SIZE
Lot Size
Zoning
1.02 AC
C5
Address
Land Use
TOTAL SIZE
Lot Size
Zoning
16,000 SF
3.97 AC
AL20
Address
Land Use
TOTAL SIZE
Lot Size
Zoning
4,416 SF
80 AC
AE20
Address
Land Use
TOTAL SIZE
Lot Size
Zoning
10,186 SF
8.19 AC
R1






