Property Record
1550 E Panama Ln, Bakersfield, CA 93307
Property Detail
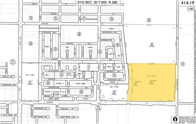
1550 E Panama Ln
Bakersfield-Delano, CA
PARCEL MAP 11250 , LOT PTN4
414-190-32-00-6
KERN
Vacantlandnec
California
B and X Area of moderate flood hazard, usually the area between the limits of the 100-year and 500-year floods.
44.21 AC
0
Southeast Bakersfield
2025
Bakersfield
003103
NEARBY LISTINGS FOR SALE OR LEASE
DEMOGRAPHICS near 1550 E Panama Ln
1 mile
3 mile
5 mile
2025 Total Population
6,642
68,659
208,270
2030 Population
6,787
69,148
210,226
Pop Growth 2025-2030
+ 2.18%
+ 0.71%
+ 0.94%
Average Age
31
33
34
2025 Total Households
1,629
18,318
58,786
HH Growth 2025-2030
+ 2.21%
+ 0.68%
+ 0.89%
Median Household Inc
$65,341
$63,885
$62,667
Avg Household Size
4.00
3.60
3.40
2025 Avg HH Vehicles
2.00
2.00
2.00
Median Home Value
$299,551
$291,317
$305,695
Median Year Built
1977
1984
1979
Nearby Places
Map Layers
Listings with unknown addresses are not visible on the map
- Restaurants
- Banks
- Shops
- Fitness
- Groceries
PUBLIC TRANSPORTATION
COMMUTER RAIL
Bakersfield (San Joaquins - Amtrak)
Drive
Walk
Distance
Bakersfield (San Joaquins - Amtrak)
12 min
6.9 mi
AIRPORT
Meadows Field
Drive
Walk
Distance
Meadows Field
23 min
13.3 mi
Freight Ports
The Port of Hueneme
Drive
Walk
Distance
The Port of Hueneme
148 min
117.1 mi
SALE & LEASE HISTORY
LISTING DATE
SALE/LEASE
Nearby Properties
Address
Land Use
TOTAL SIZE
Lot Size
Zoning
Address
Land Use
TOTAL SIZE
Lot Size
Zoning
17.96 AC
C2
Address
Land Use
TOTAL SIZE
Lot Size
Zoning
218,345 SF
19.54 AC
PCD
Address
Land Use
TOTAL SIZE
Lot Size
Zoning
127,308 SF
8.25 AC
R-2
Address
Land Use
TOTAL SIZE
Lot Size
Zoning
11,780 SF
11.25 AC
C1
Address
Land Use
TOTAL SIZE
Lot Size
Zoning
69,414 SF
4.47 AC
M1
Address
Land Use
TOTAL SIZE
Lot Size
Zoning
149,499 SF
13.20 AC
GC
Address
Land Use
TOTAL SIZE
Lot Size
Zoning
30,854 SF
12.17 AC
M1
Address
Land Use
TOTAL SIZE
Lot Size
Zoning
41,507 SF
10.37 AC
C2
Address
Land Use
TOTAL SIZE
Lot Size
Zoning
1,100 SF
6.28 AC
R-3
Address
Land Use
TOTAL SIZE
Lot Size
Zoning
74,890 SF
3.61 AC
SP
Address
Land Use
TOTAL SIZE
Lot Size
Zoning
34,306 SF
12.39 AC
R-2
Address
Land Use
TOTAL SIZE
Lot Size
Zoning
94,240 SF
4.95 AC
C-2
Address
Land Use
TOTAL SIZE
Lot Size
Zoning
7.62 AC
C2
Address
Land Use
TOTAL SIZE
Lot Size
Zoning
4.02 AC
C2
Address
Land Use
TOTAL SIZE
Lot Size
Zoning
5,000 SF
0.34 AC
Address
Land Use
TOTAL SIZE
Lot Size
Zoning
10.37 AC
C2
Address
Land Use
TOTAL SIZE
Lot Size
Zoning
22,944 SF
6.51 AC
R2
Address
Land Use
TOTAL SIZE
Lot Size
Zoning
41.06 AC
Address
Land Use
TOTAL SIZE
Lot Size
Zoning
41,231 SF
6 AC
M-1
Address
Land Use
TOTAL SIZE
Lot Size
Zoning
106,562 SF
5.30 AC
R3
Address
Land Use
TOTAL SIZE
Lot Size
Zoning
74,294 SF
7.71 AC
C2
Address
Land Use
TOTAL SIZE
Lot Size
Zoning
53,620 SF
5.15 AC
M1
Address
Land Use
TOTAL SIZE
Lot Size
Zoning
28,864 SF
4.78 AC
R-2
Address
Land Use
TOTAL SIZE
Lot Size
Zoning
14,736 SF
1.71 AC
C2
Address
Land Use
TOTAL SIZE
Lot Size
Zoning
69,716 SF
4.71 AC
Address
Land Use
TOTAL SIZE
Lot Size
Zoning
37,869 SF
4.80 AC
M-1
Address
Land Use
TOTAL SIZE
Lot Size
Zoning
16,466 SF
4.52 AC
M1
Address
Land Use
TOTAL SIZE
Lot Size
Zoning
21,704 SF
3.44 AC
C-2
Address
Land Use
TOTAL SIZE
Lot Size
Zoning
98,493 SF
4 AC
C2
Address
Land Use
TOTAL SIZE
Lot Size
Zoning
83.70 AC
A






