Property Record
15625 S 32Nd St, Phoenix, AZ 85048
This Property Is For Sale
NEARBY LISTINGS FOR SALE OR LEASE
-
-
View all Phoenix listings for sale on LoopNet.com
Property Detail
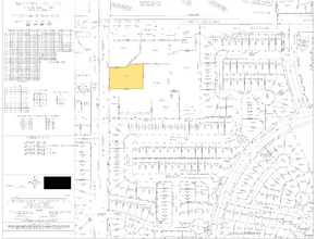
15625 S 32Nd St
Phoenix-Mesa-Scottsdale, AZ
Thirty-Second Street & Chandler Blvd Sub
306-02-848
THIRTY-SECOND STREET & CHANDLER BLVD SUBDIVISION MCR 387-37
Carwash
Maricopa
X
Arizona
04013C2695L
4
2025
0.88 AC
2025
South Tempe/Ahwatukee
116713
Phoenix
3,200 SF
DEMOGRAPHICS near 15625 S 32Nd St
1 Mile
3 Mile
5 Mile
2024 Total Population
13,575
59,206
117,119
2029 Population
14,599
63,663
126,103
Pop Growth 2024-2029
+ 7.54%
+ 7.53%
+ 7.67%
Average Age
41
40
40
2024 Total Households
5,138
23,504
46,652
HH Growth 2024-2029
+ 7.67%
+ 7.66%
+ 7.76%
Median Household Inc
$112,845
$96,318
$99,640
Avg Household Size
2.60
2.50
2.50
2024 Avg HH Vehicles
2.00
2.00
2.00
Median Home Value
$460,621
$447,376
$439,972
Median Year Built
1991
1992
1992
Nearby Places
Map Layers
- Restaurants
- Banks
- Shops
- Fitness
- Groceries
PUBLIC TRANSPORTATION
AIRPORT
Phoenix Sky Harbor International
DRIVE
WALK
Distance
Phoenix Sky Harbor International
23 min
14.3 mi
Phoenix-Mesa Gateway
DRIVE
WALK
Distance
Phoenix-Mesa Gateway
32 min
22.4 mi
Freight Ports
Port of San Diego
DRIVE
WALK
Distance
Port of San Diego
394 min
360.4 mi
Nearby Properties
Address
Land Use
TOTAL SIZE
Lot Size
Zoning
Address
Land Use
TOTAL SIZE
Lot Size
Zoning
47,945 SF
8.35 AC
C-C
Address
Land Use
TOTAL SIZE
Lot Size
Zoning
390,410 SF
47.65 AC
R-35
Address
Land Use
TOTAL SIZE
Lot Size
Zoning
400,000 SF
51.42 AC
PAD
Address
Land Use
TOTAL SIZE
Lot Size
Zoning
412,062 SF
21.84 AC
C-C
Address
Land Use
TOTAL SIZE
Lot Size
Zoning
224,116 SF
38.38 AC
R-6
Address
Land Use
TOTAL SIZE
Lot Size
Zoning
713,461 SF
38.66 AC
I-1
Address
Land Use
TOTAL SIZE
Lot Size
Zoning
300,965 SF
13.37 AC
PAD
Address
Land Use
TOTAL SIZE
Lot Size
Zoning
229,469 SF
23.78 AC
PAD
Address
Land Use
TOTAL SIZE
Lot Size
Zoning
240,814 SF
22.70 AC
C2
Address
Land Use
TOTAL SIZE
Lot Size
Zoning
422,759 SF
22.23 AC
M-H
Address
Land Use
TOTAL SIZE
Lot Size
Zoning
480,044 SF
20.47 AC
R-3A
Address
Land Use
TOTAL SIZE
Lot Size
Zoning
13,636 SF
32.62 AC
R-35
Address
Land Use
TOTAL SIZE
Lot Size
Zoning
306,300 SF
16.54 AC
PAD
Address
Land Use
TOTAL SIZE
Lot Size
Zoning
215,895 SF
17.49 AC
C-C
Address
Land Use
TOTAL SIZE
Lot Size
Zoning
177,459 SF
6.87 AC
PAD
Address
Land Use
TOTAL SIZE
Lot Size
Zoning
225,117 SF
4.85 AC
PAD
Address
Land Use
TOTAL SIZE
Lot Size
Zoning
298,447 SF
16.30 AC
M-H
Address
Land Use
TOTAL SIZE
Lot Size
Zoning
151,260 SF
34.04 AC
R-6
Address
Land Use
TOTAL SIZE
Lot Size
Zoning
288,375 SF
14.47 AC
M-H
Address
Land Use
TOTAL SIZE
Lot Size
Zoning
131,171 SF
16.80 AC
PAD
Address
Land Use
TOTAL SIZE
Lot Size
Zoning
280,276 SF
12.51 AC
M-H
Address
Land Use
TOTAL SIZE
Lot Size
Zoning
306,511 SF
13.05 AC
R-3A
Address
Land Use
TOTAL SIZE
Lot Size
Zoning
301,164 SF
11.31 AC
M-H
Address
Land Use
TOTAL SIZE
Lot Size
Zoning
59,937 SF
19.03 AC
CPGCP
Address
Land Use
TOTAL SIZE
Lot Size
Zoning
87,424 SF
11.58 AC
M-L
Address
Land Use
TOTAL SIZE
Lot Size
Zoning
130,563 SF
17.48 AC
C-C
Address
Land Use
TOTAL SIZE
Lot Size
Zoning
238,853 SF
12.95 AC
M-H
Address
Land Use
TOTAL SIZE
Lot Size
Zoning
211,008 SF
9.21 AC
M-H
Address
Land Use
TOTAL SIZE
Lot Size
Zoning
132,242 SF
16.23 AC
R-6
Address
Land Use
TOTAL SIZE
Lot Size
Zoning
80,691 SF
8.49 AC
R-35





