Property Record
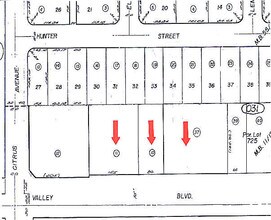
16190 Valley Blvd, Fontana, CA 92335
This Property Is For Sale
NEARBY LISTINGS FOR SALE OR LEASE
Property Detail
16190 Valley Blvd
Riverside-San Bernardino-Ontario, CA
Semi Tropic Land &
0251-031-10
S T L AND W CO S B L PTN LOT 725 COM AT 1NTERSECT1ON PRESENT NLY L1 VALLEY BLVD AND E L1 C1TRUS AVE TH E 36O FT TO TRUE POB TH N 185.36 FT TH E 8O FT TH S 185.36 FT TH W TO POB EX ST ***** 11-01-95 #95-378272 STREET *****
Vacantlandnec
San Bernardino
X
California
06071C8654H
725
2024
0.34 AC
2025
Airport Area
003301
Inland Empire (California)
DEMOGRAPHICS near 16190 Valley Blvd
1 Mile
3 Mile
5 Mile
2024 Total Population
14,894
130,637
319,285
2029 Population
14,976
132,571
325,246
Pop Growth 2024-2029
+ 0.55%
+ 1.48%
+ 1.87%
Average Age
35
34
35
2024 Total Households
3,819
33,331
81,860
HH Growth 2024-2029
+ 0.60%
+ 1.53%
+ 1.85%
Median Household Inc
$69,225
$72,562
$80,129
Avg Household Size
3.80
3.80
3.80
2024 Avg HH Vehicles
2.00
2.00
3.00
Median Home Value
$414,370
$405,277
$437,554
Median Year Built
1975
1981
1984
Nearby Places
- Restaurants
- Banks
- Shops
- Fitness
- Groceries
PUBLIC TRANSPORTATION
COMMUTER RAIL
Fontana (San Bernardino Line - Southern California Regional Rail Authority (Metrolink))
DRIVE
WALK
Distance
Fontana (San Bernardino Line - Southern California Regional Rail Authority (Metrolink))
5 min
2.7 mi
Rialto (San Bernardino Line - Southern California Regional Rail Authority (Metrolink))
DRIVE
WALK
Distance
Rialto (San Bernardino Line - Southern California Regional Rail Authority (Metrolink))
11 min
6.3 mi
AIRPORT
Ontario International
DRIVE
WALK
Distance
Ontario International
14 min
9.5 mi
Freight Ports
Port of Long Beach
DRIVE
WALK
Distance
Port of Long Beach
76 min
61.9 mi
Nearby Properties
Address
Land Use
TOTAL SIZE
Lot Size
Zoning
Address
Land Use
TOTAL SIZE
Lot Size
Zoning
2,027,688 SF
46.50 AC
Address
Land Use
TOTAL SIZE
Lot Size
Zoning
1,101,400 SF
45.91 AC
Address
Land Use
TOTAL SIZE
Lot Size
Zoning
425.43 AC
SDCOM
Address
Land Use
TOTAL SIZE
Lot Size
Zoning
690,967 SF
33.39 AC
Address
Land Use
TOTAL SIZE
Lot Size
Zoning
1,286,569 SF
53.96 AC
Address
Land Use
TOTAL SIZE
Lot Size
Zoning
444,668 SF
20.74 AC
Address
Land Use
TOTAL SIZE
Lot Size
Zoning
748,560 SF
29.72 AC
Address
Land Use
TOTAL SIZE
Lot Size
Zoning
319,375 SF
14.66 AC
Address
Land Use
TOTAL SIZE
Lot Size
Zoning
344,360 SF
17.32 AC
Address
Land Use
TOTAL SIZE
Lot Size
Zoning
1,003,567 SF
42.97 AC
Address
Land Use
TOTAL SIZE
Lot Size
Zoning
55.52 AC
Address
Land Use
TOTAL SIZE
Lot Size
Zoning
436,424 SF
19.04 AC
Address
Land Use
TOTAL SIZE
Lot Size
Zoning
300,205 SF
12.63 AC
Address
Land Use
TOTAL SIZE
Lot Size
Zoning
76.50 AC
Address
Land Use
TOTAL SIZE
Lot Size
Zoning
19,440 SF
20.95 AC
M2
Address
Land Use
TOTAL SIZE
Lot Size
Zoning
174,780 SF
8.83 AC
Address
Land Use
TOTAL SIZE
Lot Size
Zoning
282,224 SF
11.91 AC
Address
Land Use
TOTAL SIZE
Lot Size
Zoning
291,742 SF
12.10 AC
Address
Land Use
TOTAL SIZE
Lot Size
Zoning
193,077 SF
8.75 AC
Address
Land Use
TOTAL SIZE
Lot Size
Zoning
970,747 SF
19.56 AC
Address
Land Use
TOTAL SIZE
Lot Size
Zoning
194,595 SF
8.61 AC
Address
Land Use
TOTAL SIZE
Lot Size
Zoning
214,495 SF
9.89 AC
SDCOM
Address
Land Use
TOTAL SIZE
Lot Size
Zoning
236,129 SF
10.45 AC
Address
Land Use
TOTAL SIZE
Lot Size
Zoning
330,048 SF
13.37 AC
Address
Land Use
TOTAL SIZE
Lot Size
Zoning
325,161 SF
14.49 AC
Address
Land Use
TOTAL SIZE
Lot Size
Zoning
630,784 SF
25.83 AC
Address
Land Use
TOTAL SIZE
Lot Size
Zoning
651,120 SF
28.11 AC
Address
Land Use
TOTAL SIZE
Lot Size
Zoning
700,709 SF
34.99 AC
IR
Address
Land Use
TOTAL SIZE
Lot Size
Zoning
616,501 SF
37.22 AC
Address
Land Use
TOTAL SIZE
Lot Size
Zoning
610,400 SF
27.41 AC
BLIR


