Property Record
1619 W Baseline Rd, Tempe, AZ 85283
Property Detail
1619 W Baseline Rd
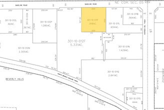
301-10-011F
W 200F N 200F OF FOL DESC PROP PT NE4 SEC 5 BEG A T A PT 205F S & 40F W NE COR TH S 633.24F TH NWLY 547F TO PT WH IS 618.55F S & 542.05F W NE COR TH N 563.55F TH W 337.03F TH S 150F TH E 165F TO PO B
Storebuilding
Maricopa
C-G
Arizona
C and X Area of minimal flood hazard, usually depicted on FIRMs as above the 500-year flood level.
0.92 AC
2025
Tempe
2025
Phoenix
320002
Phoenix-Mesa-Chandler, AZ
5,104 SF
NEARBY LISTINGS FOR SALE OR LEASE
DEMOGRAPHICS near 1619 W Baseline Rd
1 mile
3 mile
5 mile
2025 Total Population
18,477
110,772
295,419
2030 Population
19,069
114,307
305,693
Pop Growth 2025-2030
+ 3.20%
+ 3.19%
+ 3.48%
Average Age
35
37
37
2025 Total Households
7,392
45,431
118,774
HH Growth 2025-2030
+ 3.33%
+ 3.28%
+ 3.74%
Median Household Inc
$73,609
$81,207
$83,629
Avg Household Size
2.40
2.40
2.30
2025 Avg HH Vehicles
2.00
2.00
2.00
Median Home Value
$338,512
$422,092
$464,694
Median Year Built
1984
1981
1986
Nearby Places
Map Layers
Listings with unknown addresses are not visible on the map
- Restaurants
- Banks
- Shops
- Fitness
- Groceries
PUBLIC TRANSPORTATION
AIRPORT
Phoenix Sky Harbor International
Drive
Walk
Distance
Phoenix Sky Harbor International
13 min
7.0 mi
Phoenix-Mesa Gateway
Drive
Walk
Distance
Phoenix-Mesa Gateway
32 min
23.1 mi
Freight Ports
Port of San Diego
Drive
Walk
Distance
Port of San Diego
397 min
363.9 mi
Nearby Properties
Address
Land Use
TOTAL SIZE
Lot Size
Zoning
Address
Land Use
TOTAL SIZE
Lot Size
Zoning
12.93 AC
I-P
Address
Land Use
TOTAL SIZE
Lot Size
Zoning
5.13 AC
Address
Land Use
TOTAL SIZE
Lot Size
Zoning
1,479,006 SF
84.96 AC
C-R
Address
Land Use
TOTAL SIZE
Lot Size
Zoning
1,020,776 SF
11.33 AC
I-1
Address
Land Use
TOTAL SIZE
Lot Size
Zoning
331,050 SF
39 AC
I-1
Address
Land Use
TOTAL SIZE
Lot Size
Zoning
32,968 SF
2.10 AC
I-P
Address
Land Use
TOTAL SIZE
Lot Size
Zoning
746,457 SF
20.95 AC
I-1
Address
Land Use
TOTAL SIZE
Lot Size
Zoning
180,690 SF
11.20 AC
I-P
Address
Land Use
TOTAL SIZE
Lot Size
Zoning
442,642 SF
35.15 AC
GID
Address
Land Use
TOTAL SIZE
Lot Size
Zoning
586,083 SF
69.82 AC
Address
Land Use
TOTAL SIZE
Lot Size
Zoning
378,731 SF
8.68 AC
I-1
Address
Land Use
TOTAL SIZE
Lot Size
Zoning
415,228 SF
19.48 AC
I-1
Address
Land Use
TOTAL SIZE
Lot Size
Zoning
756,193 SF
23.40 AC
I-1
Address
Land Use
TOTAL SIZE
Lot Size
Zoning
309.82 AC
R-35
Address
Land Use
TOTAL SIZE
Lot Size
Zoning
283,782 SF
25.29 AC
I-1
Address
Land Use
TOTAL SIZE
Lot Size
Zoning
230,853 SF
23.41 AC
C-R
Address
Land Use
TOTAL SIZE
Lot Size
Zoning
301,102 SF
27.45 AC
Address
Land Use
TOTAL SIZE
Lot Size
Zoning
428,895 SF
14.66 AC
PAD
Address
Land Use
TOTAL SIZE
Lot Size
Zoning
317,115 SF
36.47 AC
R-6
Address
Land Use
TOTAL SIZE
Lot Size
Zoning
282,793 SF
31.08 AC
R-6
Address
Land Use
TOTAL SIZE
Lot Size
Zoning
309,057 SF
7.62 AC
I-1
Address
Land Use
TOTAL SIZE
Lot Size
Zoning
355,299 SF
10.01 AC
I-1
Address
Land Use
TOTAL SIZE
Lot Size
Zoning
569,902 SF
42.47 AC
I-1
Address
Land Use
TOTAL SIZE
Lot Size
Zoning
387,347 SF
18.83 AC
M-H
Address
Land Use
TOTAL SIZE
Lot Size
Zoning
442,003 SF
24.85 AC
M-H
Address
Land Use
TOTAL SIZE
Lot Size
Zoning
39,250 SF
119.46 AC
R1-6
Address
Land Use
TOTAL SIZE
Lot Size
Zoning
369,672 SF
22.28 AC
M-H
Address
Land Use
TOTAL SIZE
Lot Size
Zoning
762,657 SF
42.85 AC
I-1
Address
Land Use
TOTAL SIZE
Lot Size
Zoning
353,363 SF
21.29 AC
A-1
Address
Land Use
TOTAL SIZE
Lot Size
Zoning
112,968 SF
10.55 AC
R-43AG








