Property Record
16920 State Highway 14, Mojave, CA 93501
Property Detail
16920 State Highway 14
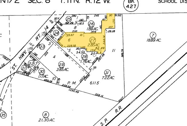
236-060-27-00-6
PARCEL MAP 6115 , LOT 6
Supermarket
Kern
M2
California
AO River or stream flood hazard areas, and areas with a 1% or greater chance of shallow flooding each year. These areas have a 26% chance of flooding over the life of a 30-year mortgage.
6
2024
2.85 AC
2025
SE Outlying Kern County
005900
Bakersfield
31,130 SF
Bakersfield-Delano, CA
NEARBY LISTINGS FOR SALE OR LEASE
DEMOGRAPHICS near 16920 State Highway 14
1 mile
3 mile
5 mile
2025 Total Population
1,010
4,584
4,729
2030 Population
1,044
4,734
4,886
Pop Growth 2025-2030
+ 3.37%
+ 3.27%
+ 3.32%
Average Age
36
35
35
2025 Total Households
383
1,653
1,711
HH Growth 2025-2030
+ 3.39%
+ 3.21%
+ 3.33%
Median Household Inc
$56,874
$54,592
$54,921
Avg Household Size
2.60
2.70
2.70
2025 Avg HH Vehicles
2.00
2.00
2.00
Median Home Value
$216,667
$232,673
$237,735
Median Year Built
1968
1972
1975
Nearby Places
Map Layers
Listings with unknown addresses are not visible on the map
- Restaurants
- Banks
- Shops
- Fitness
- Groceries
Nearby Properties
Address
Land Use
TOTAL SIZE
Lot Size
Zoning
Address
Land Use
TOTAL SIZE
Lot Size
Zoning
1,500 SF
23.13 AC
M1
Address
Land Use
TOTAL SIZE
Lot Size
Zoning
405 SF
60 AC
M-3 PD FPS
Address
Land Use
TOTAL SIZE
Lot Size
Zoning
87,756 SF
6.03 AC
R2
Address
Land Use
TOTAL SIZE
Lot Size
Zoning
81.94 AC
R1
Address
Land Use
TOTAL SIZE
Lot Size
Zoning
0.86 AC
Address
Land Use
TOTAL SIZE
Lot Size
Zoning
31,198 SF
4.77 AC
C-2 PD FPS
Address
Land Use
TOTAL SIZE
Lot Size
Zoning
4,000 SF
47.96 AC
M-3 PD FPS
Address
Land Use
TOTAL SIZE
Lot Size
Zoning
31,652 SF
8.50 AC
C-2 PD FPS
Address
Land Use
TOTAL SIZE
Lot Size
Zoning
142.31 AC
M-3 PD FPS
Address
Land Use
TOTAL SIZE
Lot Size
Zoning
33,294 SF
2.63 AC
R-2 PD
Address
Land Use
TOTAL SIZE
Lot Size
Zoning
8,320 SF
0.87 AC
C2
Address
Land Use
TOTAL SIZE
Lot Size
Zoning
12,000 SF
0.69 AC
M-2 PD FPS
Address
Land Use
TOTAL SIZE
Lot Size
Zoning
2.73 AC
R-1 FPS
Address
Land Use
TOTAL SIZE
Lot Size
Zoning
19,120 SF
1.89 AC
M-2
Address
Land Use
TOTAL SIZE
Lot Size
Zoning
2,400 SF
1.03 AC
R-3 PD FPS
Address
Land Use
TOTAL SIZE
Lot Size
Zoning
10,351 SF
0.52 AC
C-2 PD H F
Address
Land Use
TOTAL SIZE
Lot Size
Zoning
1,257 SF
0.61 AC
C-2 PD H F
Address
Land Use
TOTAL SIZE
Lot Size
Zoning
9,956 SF
1.76 AC
M-2 PD FPS
Address
Land Use
TOTAL SIZE
Lot Size
Zoning
16,875 SF
1.30 AC
C-2 PD FPS
Address
Land Use
TOTAL SIZE
Lot Size
Zoning
7,256 SF
0.70 AC
C-2 PD H F
Address
Land Use
TOTAL SIZE
Lot Size
Zoning
9,414 SF
1.51 AC
C2
Address
Land Use
TOTAL SIZE
Lot Size
Zoning
22,120 SF
1.56 AC
M-1 PD H F
Address
Land Use
TOTAL SIZE
Lot Size
Zoning
375 SF
3.40 AC
C1
Address
Land Use
TOTAL SIZE
Lot Size
Zoning
2,752 SF
0.68 AC
C2
Address
Land Use
TOTAL SIZE
Lot Size
Zoning
2,800 SF
89.48 AC
M-3 PD FPS
Address
Land Use
TOTAL SIZE
Lot Size
Zoning
2,763 SF
0.69 AC
C2
Address
Land Use
TOTAL SIZE
Lot Size
Zoning
9,527 SF
0.43 AC
C-2 PD H F
Address
Land Use
TOTAL SIZE
Lot Size
Zoning
1.46 AC
M-1 PD H F
Address
Land Use
TOTAL SIZE
Lot Size
Zoning
0.52 AC
C-2 PD FPS







