Property Record
16959 E Colonial Dr, Orlando, FL 32820
Property Detail
16959 E Colonial Dr
20-2232-0000-00-008
THAT PART OF NE1/4 OF SE1/4 N OF HIWAY & E OF LAKE PICKETT R D IN SEC 20-22-32
Storebuilding
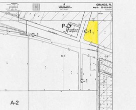
Orange
C-1
Florida
B and X Area of moderate flood hazard, usually the area between the limits of the 100-year and 500-year floods.
8
2025
1.98 AC
2026
SE Orange Outlying
016603
Orlando
5,360 SF
Orlando-Kissimmee-Sanford, FL
NEARBY LISTINGS FOR SALE OR LEASE
DEMOGRAPHICS near 16959 E Colonial Dr
1 mile
3 mile
5 mile
2025 Total Population
5,234
42,237
124,991
2030 Population
5,663
45,675
134,858
Pop Growth 2025-2030
+ 8.20%
+ 8.14%
+ 7.89%
Average Age
40
39
37
2025 Total Households
1,743
14,039
40,479
HH Growth 2025-2030
+ 8.66%
+ 8.60%
+ 8.71%
Median Household Inc
$102,598
$97,553
$92,276
Avg Household Size
3.00
2.90
2.80
2025 Avg HH Vehicles
2.00
2.00
2.00
Median Home Value
$422,500
$389,481
$411,310
Median Year Built
2002
2003
2001
Nearby Places
Map Layers
Listings with unknown addresses are not visible on the map
- Restaurants
- Banks
- Shops
- Fitness
- Groceries
PUBLIC TRANSPORTATION
AIRPORT
Orlando International
Drive
Walk
Distance
Orlando International
31 min
20.2 mi
Orlando Sanford International
Drive
Walk
Distance
Orlando Sanford International
36 min
23.2 mi
Freight Ports
Port Canaveral
Drive
Walk
Distance
Port Canaveral
46 min
36.0 mi
SALE & LEASE HISTORY
LISTING DATE
SALE/LEASE
Nearby Properties
Address
Land Use
TOTAL SIZE
Lot Size
Zoning
Address
Land Use
TOTAL SIZE
Lot Size
Zoning
867,901 SF
36.21 AC
P-D
Address
Land Use
TOTAL SIZE
Lot Size
Zoning
385,922 SF
106.04 AC
P-D
Address
Land Use
TOTAL SIZE
Lot Size
Zoning
184,271 SF
28.15 AC
P-D
Address
Land Use
TOTAL SIZE
Lot Size
Zoning
750,802 SF
87.71 AC
P-D
Address
Land Use
TOTAL SIZE
Lot Size
Zoning
195,363 SF
38.13 AC
P-D
Address
Land Use
TOTAL SIZE
Lot Size
Zoning
163,762 SF
29.87 AC
P-D
Address
Land Use
TOTAL SIZE
Lot Size
Zoning
180,455 SF
25.49 AC
P-D
Address
Land Use
TOTAL SIZE
Lot Size
Zoning
353,882 SF
21.01 AC
P-D
Address
Land Use
TOTAL SIZE
Lot Size
Zoning
99,905 SF
14.12 AC
P-D
Address
Land Use
TOTAL SIZE
Lot Size
Zoning
110,734 SF
9.41 AC
P-D
Address
Land Use
TOTAL SIZE
Lot Size
Zoning
106,207 SF
9.12 AC
P-D
Address
Land Use
TOTAL SIZE
Lot Size
Zoning
87,850 SF
1.42 AC
C-1
Address
Land Use
TOTAL SIZE
Lot Size
Zoning
90,435 SF
7.99 AC
C-1
Address
Land Use
TOTAL SIZE
Lot Size
Zoning
34,710 SF
3.91 AC
P-D
Address
Land Use
TOTAL SIZE
Lot Size
Zoning
86,524 SF
8.71 AC
RSTD C-2
Address
Land Use
TOTAL SIZE
Lot Size
Zoning
36,600 SF
5.09 AC
P-D
Address
Land Use
TOTAL SIZE
Lot Size
Zoning
68,229 SF
7.25 AC
P-D
Address
Land Use
TOTAL SIZE
Lot Size
Zoning
47,832 SF
4.35 AC
RSTD C-1
Address
Land Use
TOTAL SIZE
Lot Size
Zoning
47,261 SF
5.19 AC
P-D
Address
Land Use
TOTAL SIZE
Lot Size
Zoning
74.37 AC
P-D
Address
Land Use
TOTAL SIZE
Lot Size
Zoning
23,706 SF
8.42 AC
RSTD C-2
Address
Land Use
TOTAL SIZE
Lot Size
Zoning
10,924 SF
15.38 AC
C-3
Address
Land Use
TOTAL SIZE
Lot Size
Zoning
14,329 SF
1.74 AC
P-D
Address
Land Use
TOTAL SIZE
Lot Size
Zoning
16,654 SF
2.33 AC
P-D
Address
Land Use
TOTAL SIZE
Lot Size
Zoning
11,797 SF
1.60 AC
P-D
Address
Land Use
TOTAL SIZE
Lot Size
Zoning
14,130 SF
2.31 AC
P-D
Address
Land Use
TOTAL SIZE
Lot Size
Zoning
11,880 SF
15.87 AC
C-3
Address
Land Use
TOTAL SIZE
Lot Size
Zoning
130 AC
U-ORG-P-D
Address
Land Use
TOTAL SIZE
Lot Size
Zoning
16,375 SF
1.77 AC
C-1
Address
Land Use
TOTAL SIZE
Lot Size
Zoning
14,083 SF
1.91 AC
C-1








